|
|
| |
|
|
| |
|
|
| |
|
|
| |
|
|
| |
|
|
| |
|
| |
|
|
|
日 時 |
. |
| お名前 |
. |
| コメント |
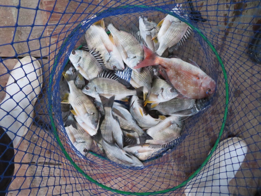
9月14日
変更します
出船6:30 最終4:30
|
|
| |
|
|
| |
|
|
| |
|
|
| |
|
|
| |
|
 |
日 時 |
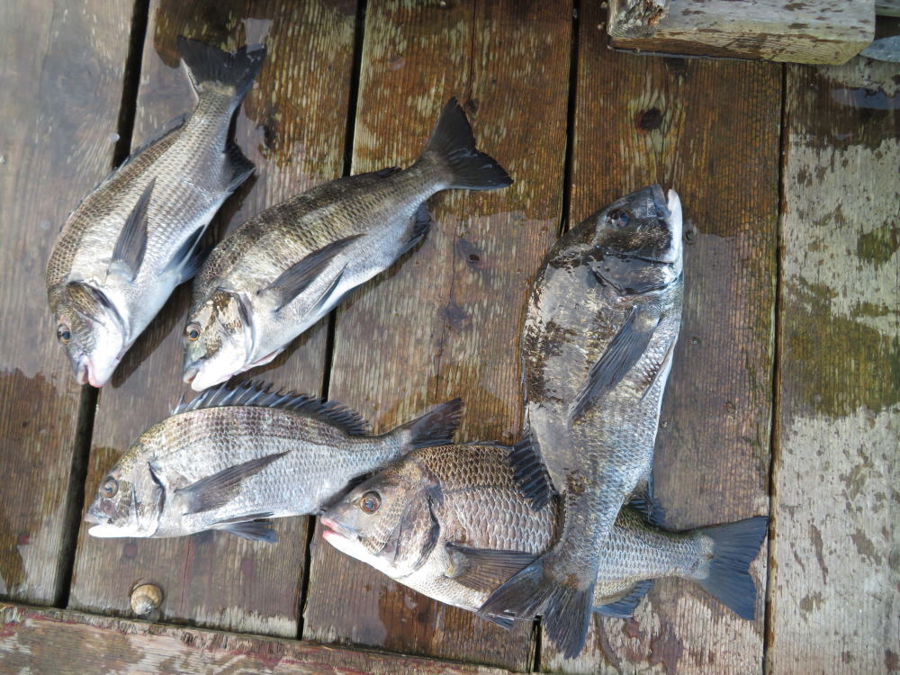
.10月8日土曜日 |
| お名前 |
.広瀬さん |
| コメント |
. チヌ52p
イガイ
☆大チヌ撃沈! |
|
| |
|
 |
日 時 |
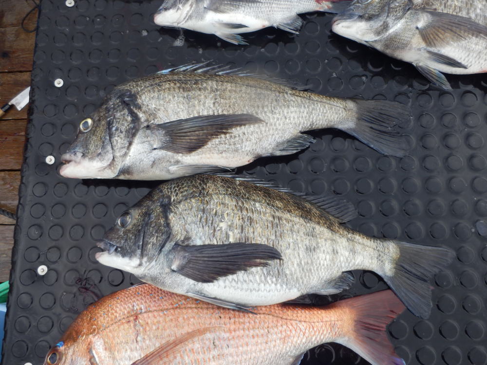
.10月4日火曜日 |
| お名前 |
.前野さん 顔無し希望 |
| コメント |
. チヌ52p
イガイ
☆大チヌ撃沈! バラシも何回かありました |
|

小島さん 51p |
|
 |
日 時 |
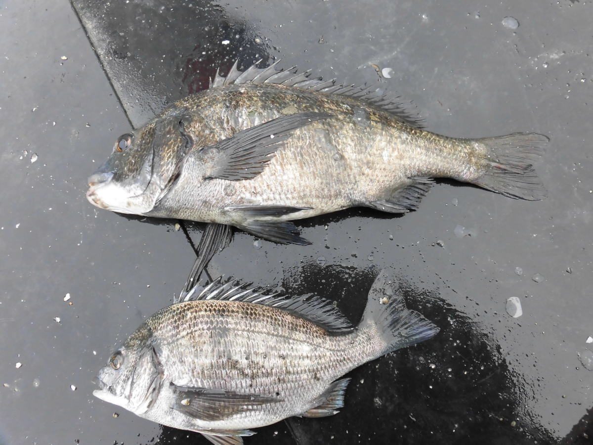
.10月3日月曜日 |
| お名前 |
.小島さん |
| コメント |
. チヌ51p 49p
イガイ
☆大チヌ撃沈!
|
|
| |
|
 |
日 時 |
.9月29日木曜日 |
| お名前 |
.土屋さん 伊藤さん |
| コメント |
. チヌ56p
イガイ
☆大チヌ撃沈! |
|

丹賀さん 56p |
|
 |
日 時 |
.9月25日日曜日 |
| お名前 |
.丹賀さん |
| コメント |
. チヌ56p
イガイ
☆大チヌ撃沈! |
|
| |
|
 |
日 時 |
.9月21日水曜日 |
| お名前 |
.奥田さん |
| コメント |
. |
|
| |
|
 |
日 時 |
.9月21日水曜日 |
| お名前 |
.松波さん |
| コメント |
.イガイで石鯛 |
|

小島さん |
|
 |
日 時 |
.9月14日水曜日 |
| お名前 |
.小島さん |
| コメント |
. イガイ 今日の主人公です |
|
| |
|
 |
日 時 |
.9月14日水曜日 |
| お名前 |
.小島さん |
| コメント |
. チヌ52p
イガイ
☆大チヌ撃沈! |
|
| |
|
 |
日 時 |
.9月14日水曜日 |
| お名前 |
.櫻井さん |
| コメント |
. イガイ |
|
| |
|
 |
日 時 |
.9月13日火曜日 |
| お名前 |
.岡崎さん |
| コメント |
. チヌ51p
イガイ
☆大チヌ撃沈! |
|
| |
|
 |
日 時 |
. |
| お名前 |
.こうすけ |
| コメント |
. 真鯛65p |
|
| |
|
 |
日 時 |
. |
| お名前 |
.長谷川さん |
| コメント |
. チヌ50.5p
イガイ
☆大チヌ撃沈! |
|
| |
|
 |
日 時 |
. |
| お名前 |
.松波さん |
| コメント |
. チヌ51.5p
イガイ
☆大チヌ撃沈! |
|
| |
|
 |
日 時 |
. |
| お名前 |
.奥田さん |
| コメント |
. イガイ |
|
| |
|
 |
日 時 |
.8月12日金曜日 |
| お名前 |
.こうすけ |
| コメント |
. |
|
| |
|
 |
日 時 |
.8月11日木曜日 |
| お名前 |
.丹賀さん |
| コメント |
. |
|

長谷川さん 73p |
|
 |
日 時 |
.8月11日木曜日 |
| お名前 |
.長谷川さん |
| コメント |
. 大真鯛73p |
|
| |
|
 |
日 時 |
.8月8日月曜日 |
| お名前 |
.熊崎さん |
| コメント |
. チヌ54p
☆大チヌ撃沈! |
|
| |
|
 |
日 時 |
.8月6日土曜日 |
| お名前 |
.こうすけ |
| コメント |
. |
|
| |
|
 |
日 時 |
.8月5日金曜日 |
| お名前 |
.酒井さん |
| コメント |
. |
|
| |
|
 |
日 時 |
.8月5日金曜日 |
| お名前 |
.松波さん |
| コメント |
. |
|
| |
|
 |
日 時 |
.8月4日木曜日 |
| お名前 |
.伊藤さん |
| コメント |
. |
|
| |
|
 |
日 時 |
.8月3日水曜日 |
| お名前 |
.丹賀さん |
| コメント |
. 真鯛61p 61p |
|
| |
|
 |
日 時 |
.8月3日水曜日 |
| お名前 |
.今村さん |
| コメント |
. チヌ51p 50p
イガイ初めて!
☆大チヌ撃沈! |
|
| |
|
 |
日 時 |
.7月31日日曜日 |
| お名前 |
.山崎さん |
| コメント |
. |
|
| |
|
 |
日 時 |
.7月30日土曜日 |
| お名前 |
.酒井さん 柴田さん |
| コメント |
. |
|
| |
|
 |
日 時 |
.7月30日土曜日 |
| お名前 |
.奥田さん |
| コメント |
. |
|
| |
|
 |
日 時 |
.7月29日金曜日 |
| お名前 |
.こうすけ |
| コメント |
. 他の人 大真鯛ブチぎられ |
|
| |
|
 |
日 時 |
.7月28日木曜日 |
| お名前 |
.黒霧軍団 弓削さん |
| コメント |
. 真鯛66p |
|
| |
|
 |
日 時 |
.7月24日日曜日 |
| お名前 |
.丹賀さん |
| コメント |
. イガイ |
|
| |
|
 |
日 時 |
.7月24日日曜日 |
| お名前 |
.石原さん |
| コメント |
. イガイ |
|
| |
|
 |
日 時 |
.7月21日木曜日 |
| お名前 |
.浅井さん |
| コメント |
. チヌ49p 今日は3人が大真鯛ブチぎられ! |
|
| |
|
 |
日 時 |
.7月21日木曜日 |
| お名前 |
.新美さん |
| コメント |
. チヌ55p
☆大チヌ撃沈! |
|
| |
|
 |
日 時 |
.7月19日火曜日 |
| お名前 |
.岡崎さん |
| コメント |
. チヌ54.5p
☆大チヌ撃沈! |
|
| |
|
 |
日 時 |
.7月19日火曜日 |
| お名前 |
.岩倉君 |
| コメント |
. チヌ52p
☆大チヌ撃沈! |
|
| |
|
 |
日 時 |
.7月18日月曜日 |
| お名前 |
.林さん |
| コメント |
. 真鯛57p |
|
| |
|
 |
日 時 |
.7月18日月曜日 |
| お名前 |
.丹賀さん |
| コメント |
. チヌ50p
☆大チヌ撃沈! |
|
| |
|
 |
日 時 |
. |
| お名前 |
. |
| コメント |
. |
|
| |
|
 |
日 時 |
.7月17日日曜日 |
| お名前 |
.かんぴんたん 阪口さん |
| コメント |
. |
|
| |
|
 |
日 時 |
..7月16日土曜日 |
| お名前 |
.こうすけ |
| コメント |
. |
|
| |
|
 |
日 時 |
.7月16日土曜日 |
| お名前 |
.山北さん |
| コメント |
. チヌ52p
☆大チヌ撃沈! |
|
| |
|
 |
日 時 |
.7月14日木曜日 |
| お名前 |
.塚本さん |
| コメント |
. チヌ50p
☆大チヌ撃沈! |
|
| |
|
 |
日 時 |
.7月12日火曜日 |
| お名前 |
.岡崎さん |
| コメント |
. 大真鯛70p 3時上がり |
|
| |
|
 |
日 時 |
.7月12日火曜日 |
| お名前 |
.岩倉君 |
| コメント |
. チヌ50.5p
☆大チヌ撃沈! |
|
| |
|
 |
日 時 |
.7月11日月曜日 |
| お名前 |
.小島さん |
| コメント |
. 今日は2回ブチぎられた!又大真鯛か? |
|
| |
|
 |
日 時 |
.7月10日日曜日 |
| お名前 |
.こうすけ |
| コメント |
. チヌ50p
☆大チヌ撃沈! |
|
| |
|
 |
日 時 |
.7月9日土曜日 |
| お名前 |
.松本さん |
| コメント |
. 今日は2人のお客さんが大真鯛ブチぎられ
ました。若潮なのに潮がぶっ飛んだ1日でした |
|
| |
|
 |
日 時 |
.7月9日土曜日 |
| お名前 |
.中西さん |
| コメント |
. |
|
| |
|
 |
日 時 |
.7月8日金曜日 |
| お名前 |
.四日市の杉村さん |
| コメント |
. チヌ53p
☆大チヌ撃沈! |
|
| |
|
 |
日 時 |
.7月7日木曜日 |
| お名前 |
.若林さん |
| コメント |
. チヌ54p
☆大チヌ撃沈! |
|
| |
|
 |
日 時 |
.7月7日木曜日 |
| お名前 |
.丹賀さん |
| コメント |
. |
|
| |
|
 |
日 時 |
.7月7日木曜日 |
| お名前 |
.林さん |
| コメント |
. チヌ47p |
|
| |
|
 |
日 時 |
.7月3日日曜日 |
| お名前 |
.かんぴんたんと阪口さん |
| コメント |
. チヌ52p
☆大チヌ撃沈! |
|
| |
|
 |
日 時 |
..7月3日日曜日 |
| お名前 |
.櫻井さん |
| コメント |
. |
|
| |
|
 |
日 時 |
..7月3日日曜日 |
| お名前 |
.新美さん |
| コメント |
. |
|
| |
|
 |
日 時 |
..7月3日日曜日 |
| お名前 |
.カンピンタンしんちゃん |
| コメント |
. |
|
| |
|
 |
日 時 |
.6月28日火曜日 |
| お名前 |
.岡崎さん |
| コメント |
. 大真鯛70p 60p
チヌ52p
☆大チヌ撃沈! 毎日ブチぎられ |
|
| |
|
 |
日 時 |
.6月27日月曜日 |
| お名前 |
.新美さん |
| コメント |
. 大真鯛 拓寸71p
止まらない大真鯛ぶちぎられ |
|

こうすけ 53p 50.5p |
|
 |
日 時 |
.6月26日日曜日 |
| お名前 |
.こうすけ |
| コメント |
. チヌ53p 50.5p
☆大チヌ撃沈! 又大真鯛出てきました |
|
| |
|
|
| |
|
 |
日 時 |
.6月26日日曜日 |
| お名前 |
.山崎さん |
| コメント |
. |
|
| |
|
 |
日 時 |
..6月25日土曜日 |
| お名前 |
.柴田さん |
| コメント |
. |
|
| |
|
 |
日 時 |
.6月22日水曜日 |
| お名前 |
.四日市の杉村さん |
| コメント |
. |
|
| |
|
 |
日 時 |
.6月22日水曜日 |
| お名前 |
.新美さん |
| コメント |
. |
|
| |
|
 |
日 時 |
.6月20日月曜日 |
| お名前 |
.櫻井さん |
| コメント |
. |
|
| |
|
 |
日 時 |
.6月20日月曜日 |
| お名前 |
.塚本さん |
| コメント |
. |
|
| |
|
 |
日 時 |
.6月20日月曜日 |
| お名前 |
.岡崎さん |
| コメント |
. |
|
| |
|
 |
日 時 |
.6月20日月曜日 |
| お名前 |
.林さん |
| コメント |
. |
|
| |
|
 |
日 時 |
.6月18日土曜日 |
| お名前 |
.中西さん |
| コメント |
. チヌ50p
☆大チヌ撃沈! |
|
| |
|
 |
日 時 |
..6月18日土曜日 |
| お名前 |
.新美さん |
| コメント |
. チヌ49p
大真鯛ストリンガーから脱獄 |
|
| |
|
 |
日 時 |
6月17日金曜日 |
| お名前 |
.丹賀さん |
| コメント |
. 真鯛63p |
|
| |
|
 |
日 時 |
.6月16日木曜日 |
| お名前 |
.若林さん |
| コメント |
. 真鯛60p
チヌ47、5p |
|
| |
|
 |
日 時 |
.6月3日金曜日 |
| お名前 |
.こうすけ |
| コメント |
. チヌ51.5p
☆大チヌ撃沈!
日曜日〜大村島の筏の移動が始まります |
|
| |
|
 |
日 時 |
5月20日金曜日 |
| お名前 |
.櫻井さん |
| コメント |
. 日曜日〜海底掃除、大村島の筏の移動が4日間
始まります |
|
| |
|
 |
日 時 |
. |
| お名前 |
.鬼頭さん |
| コメント |
. 5月9日〜筏の移動が始まりました
今年は大村島の海底掃除をしますので
全部の終了は6月下旬です |
|
| |
|
 |
日 時 |
.5月5日木曜日 |
| お名前 |
.こうすけ |
| コメント |
. チヌ50p
大チヌ撃沈! |
|
| |
|
 |
日 時 |
.5月3日火曜日 |
| お名前 |
|
| コメント |
. 岡崎さん50p 南ちゃん53p
大チヌ撃沈! |
|
| |
|
 |
日 時 |
.4月28日木曜日 |
| お名前 |
.塚本さん |
| コメント |
. チヌ48p |
|
 |
|
 |
日 時 |
.4月25日月曜日 |
| お名前 |
.丹賀さん |
| コメント |
. 大真鯛92p チヌ49p
およそ7分間の戦いでした |
|
| |
|
 |
日 時 |
.4月20日水曜日 |
| お名前 |
.勢志さん |
| コメント |
今日はショウヤ君に会いにきました |
|
| |
|
 |
日 時 |
.4月9日土曜日 |
| お名前 |
.松本さん |
| コメント |
. チヌ50.5p
☆大チヌ撃沈! 人生初の年なし |
|
| |
|
 |
日 時 |
..4月9日土曜日 |
| お名前 |
.村木さん |
| コメント |
. チヌ49.5p 今日は魔の土曜 日曜 |
|
| |
|
 |
日 時 |
.4月8日金曜日 |
| お名前 |
.若林さん |
| コメント |
. チヌ48p 48p
今年は伊勢尼13号がよく針外れします。15号でやると
バラシも無くなるかもしれません |
|

四日市の杉村さん 68p |
|
 |
日 時 |
.4月7日木曜日 |
| お名前 |
.四日市の杉村さん |
| コメント |
. 真鯛68p |
|
| |
|
 |
日 時 |
.4月7日木曜日 |
| お名前 |
.森田さん |
| コメント |
. |
|
| |
|
 |
日 時 |
4月6日水曜日 |
| お名前 |
.北岡さん |
| コメント |
. チヌ46.5p 46p |
|
| |
|
 |
日 時 |
.4月6日水曜日 |
| お名前 |
.津の藤田さん |
| コメント |
. チヌ48p |
|
| |
|
 |
日 時 |
.4月3日日曜日 |
| お名前 |
.こうすけ |
| コメント |
. チヌ51p
☆大チヌ撃沈! |
|
| |
|
 |
日 時 |
.4月3日日曜日 |
| お名前 |
.北名古屋の伊藤さん |
| コメント |
. チヌ46.5p 46p |
|
| |
|
 |
日 時 |
.4月2日土曜日 |
| お名前 |
.鈴木さん |
| コメント |
. |
|

後藤さん 54.5p |
|
 |
日 時 |
.4月2日土曜日 |
| お名前 |
.後藤さん |
| コメント |
. チヌ54.5p
☆大チヌ撃沈! |
|
| |
|
 |
日 時 |
.4月2日土曜日 |
| お名前 |
.村木さん |
| コメント |
. 動画が消えてしまいました |
|
| |
|
 |
日 時 |
.4月2日土曜日 |
| お名前 |
.長谷川さん |
| コメント |
. |
|
| |
|
 |
日 時 |
.4月2日土曜日 |
| お名前 |
.可児の松本さん |
| コメント |
. |
|
| |
|
 |
日 時 |
.3月31日木曜日 |
| お名前 |
.一宮の伊藤さん |
| コメント |
. 雨が降ってきたので3時上がり |
|
| |
|
 |
日 時 |
.3月30日水曜日 |
| お名前 |
.丹賀さん |
| コメント |
. |
|
| |
|
 |
日 時 |
.3月30日水曜日 |
| お名前 |
.こうすけ |
| コメント |
. |
|
  |
|
 |
日 時 |
.3月29日火曜日 |
| お名前 |
.岩倉君と岡崎さん |
| コメント |
. チヌ54p 52p
☆大チヌ撃沈! |
|
| |
|
 |
日 時 |
3月29日火曜日 |
| お名前 |
.下呂の田口さん |
| コメント |
. |
|
| |
|
 |
日 時 |
.3月26日土曜日 |
| お名前 |
.こうすけ |
| コメント |
. |
|
| |
|
 |
日 時 |
.3月25日金曜日 |
| お名前 |
.鈴木さん |
| コメント |
. チヌ49.5p |
|
| |
|
 |
日 時 |
.3月25日金曜日 |
| お名前 |
.浅川さん |
| コメント |
. |
|
| |
|
 |
日 時 |
.3月23日水曜日 |
| お名前 |
.一宮の伊藤さん |
| コメント |
. |
|

岡崎さん 50.5p |
|
 |
日 時 |
.3月21日月曜日 |
| お名前 |
.岡崎さん |
| コメント |
. チヌ50.5p
☆大チヌ撃沈! |
|
| |
|
 |
日 時 |
.3月21日月曜日 |
| お名前 |
.櫻井さん |
| コメント |
. |
|
| |
|
 |
日 時 |
.3月20日日曜日 |
| お名前 |
.鈴木さん |
| コメント |
. |
|
| |
|
 |
日 時 |
.3月18日金曜日 |
| お名前 |
.鬼頭さん |
| コメント |
. |
|
| |
|
 |
日 時 |
.3月17日木曜日 |
| お名前 |
.丹賀さん |
| コメント |
. |
|
| |
|
 |
日 時 |
.3月16日水曜日 |
| お名前 |
.若林さん |
| コメント |
. |
|

小島さん 53p |
|
 |
日 時 |
.3月15日火曜日 |
| お名前 |
.小島さん |
| コメント |
. チヌ53p
☆大チヌ撃沈! |
|
| |
|
 |
日 時 |
.3月15日火曜日 |
| お名前 |
.岡崎さん |
| コメント |
. チヌ51.5p
☆大チヌ撃沈! |
|

佐分利さん 52.5p |
|
 |
日 時 |
.3月14日月曜日 |
| お名前 |
.佐分利さん |
| コメント |
. チヌ52.5p
☆大チヌ撃沈! |
|
| |
|
 |
日 時 |
.3月11日金曜日 |
| お名前 |
.津の林さん |
| コメント |
. チヌ48.5p |
|
| |
|
 |
日 時 |
.3月11日金曜日 |
| お名前 |
.佐古さん |
| コメント |
. チヌ47p |
|
| |
|
 |
日 時 |
.3月8日火曜日 |
| お名前 |
.中村さん |
| コメント |
. チヌ49・7p |
|
| |
|
 |
日 時 |
.3月6日日曜日 |
| お名前 |
.多頓会 渡辺さん |
| コメント |
. チヌ52p
☆大チヌ撃沈! |
|
| |
|
 |
日 時 |
.3月6日日曜日 |
| お名前 |
.多頓会 清水さん |
| コメント |
. チヌ47p |
|
| |
|
 |
日 時 |
.3月5日土曜日 |
| お名前 |
.鈴木さん |
| コメント |
. |
|
| |
|
 |
日 時 |
.3月5日土曜日 |
| お名前 |
.員弁の後藤さん |
| コメント |
. |
|
| |
|
 |
日 時 |
.3月5日土曜日 |
| お名前 |
.田中さん |
| コメント |
. |
|
| |
|
 |
日 時 |
.3月4日金曜日 |
| お名前 |
.若林さん |
| コメント |
. チヌ53.5p
☆大チヌ撃沈! |
|
| |
|
 |
日 時 |
.3月2日水曜日 |
| お名前 |
.林さん |
| コメント |
. チヌ47p 47p |
|
| |
|
 |
日 時 |
.3月2日水曜日 |
| お名前 |
.藤田さん |
| コメント |
. 念願の牡蠣チヌ |
|
| |
|
 |
日 時 |
.3月1日火曜日 |
| お名前 |
.岡崎さん |
| コメント |
. |
|
| |
|
 |
日 時 |
.3月1日火曜日 |
| お名前 |
.中村さん |
| コメント |
. |
|
| |
|
 |
日 時 |
.3月1日火曜日 |
| お名前 |
.石川さん |
| コメント |
. チヌ50p 52p 53p 53p
☆大チヌ撃沈! |
|

小島さん 56p |
|
 |
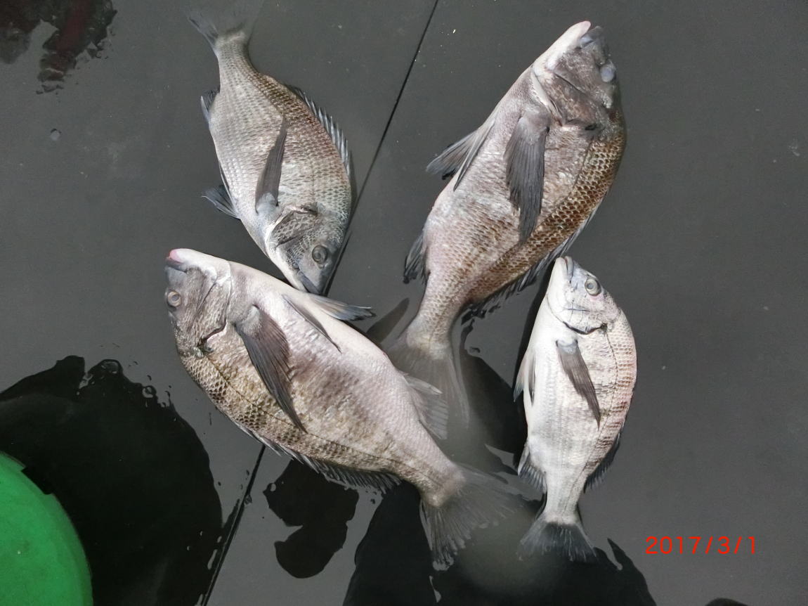
日 時 |
.3月1日火曜日 |
| お名前 |
.小島さん |
| コメント |
. チヌ56p
☆大チヌ撃沈! 画像ぼけてしまいました |
|
| |
|
 |
日 時 |
.3月1日火曜日 |
| お名前 |
.下呂の田口さん |
| コメント |
. |
|
| |
|
 |
日 時 |
.2月28日月曜日 |
| お名前 |
.馬場さん |
| コメント |
. チヌ50.5p
☆大チヌ撃沈! |
|
| |
|
 |
日 時 |
..2月28日月曜日 |
| お名前 |
.佐分利さん |
| コメント |
. |
|
| |
|
 |
日 時 |
.2月27日日曜日 |
| お名前 |
.かんぴんたん |
| コメント |
. 2人で4回ばらしか? |
|
| |
|
 |
日 時 |
.2月27日日曜日 |
| お名前 |
.松本さん |
| コメント |
. 真鯛58p |
|
| |
|
 |
日 時 |
.2月27日日曜日 |
| お名前 |
.大村さん |
| コメント |
. |
|
| |
|
 |
日 時 |
.2月26日土曜日 |
| お名前 |
.渡辺さん |
| コメント |
. |
|
| |
|
 |
日 時 |
.2月26日土曜日 |
| お名前 |
.中西さん |
| コメント |
. チヌ47p |
|
| |
|
 |
日 時 |
.2月26日土曜日 |
| お名前 |
.広瀬さん |
| コメント |
. |
|
| |
|
 |
日 時 |
.2月26日土曜日 |
| お名前 |
.広瀬さん |
| コメント |
. |
|
| |
|
 |
日 時 |
.2月25日金曜日 |
| お名前 |
.鵜飼さん |
| コメント |
. チヌ49p |
|
| |
|
 |
日 時 |
.2月24日木曜日 |
| お名前 |
.若林さん |
| コメント |
. チヌ46p |
|
| |
|
 |
日 時 |
.2月23日水曜日 |
| お名前 |
.熊崎さん |
| コメント |
. チヌ48p 今日は冷たい風とウネリで釣りにくかった |
|
| |
|
 |
日 時 |
.2月22日火曜日 |
| お名前 |
.下呂の田口さん |
| コメント |
. チヌ48.5p |
|

伊藤さん 51p |
|
 |
日 時 |
.2月21日月曜日 |
| お名前 |
.尾張黒鯛クラブ伊藤さん 岡崎さん |
| コメント |
. チヌ51p
☆大チヌ撃沈! 今日はめちゃくちゃ寒かった |
|
| |
|
 |
日 時 |
.2月19日土曜日 |
| お名前 |
.鈴木さん |
| コメント |
. チヌ48p |
|
| |
|
 |
日 時 |
.2月19日土曜日 |
| お名前 |
.こうすけ |
| コメント |
. チヌ52p
☆大チヌ撃沈! |
|
| |
|
 |
日 時 |
.2月18日金曜日 |
| お名前 |
.津市の林さん |
| コメント |
. チヌ51.5p
☆大チヌ撃沈! |
|
| |
|
 |
日 時 |
.2月17日木曜日 |
| お名前 |
.丹賀さん |
| コメント |
. チヌ50p 50p
☆大チヌ撃沈! |
|

高野さん 54.5p 51p |
|
 |
日 時 |
.2月16日水曜日 |
| お名前 |
.鈴鹿の高野さん |
| コメント |
. チヌ54.5p 51p
☆大チヌ撃沈! |
|
| |
|
 |
日 時 |
.2月15日火曜日 |
| お名前 |
.かんぴんたん しんちゃん |
| コメント |
.
2時半上がり |
|
| |
|
 |
日 時 |
.2月14日月曜日 |
| お名前 |
.ナカムラさん |
| コメント |
. チヌ47p 46p
牡蠣チヌ 牡蠣チヌ初めて 10分講習 |
|
| |
|
 |
日 時 |
.2月12日土曜日 |
| お名前 |
.松本さん |
| コメント |
. チヌ41p
牡蠣チヌ |
|
| |
|
 |
日 時 |
.2月8日火曜日 |
| お名前 |
.若林さん |
| コメント |
. チヌ54p 52.5p
牡蠣チヌ
☆大チヌ撃沈! |
|
| |
|
 |
日 時 |
.2月8日火曜日 |
| お名前 |
.一宮の伊藤さん |
| コメント |
. 牡蠣チヌ |
|
| |
|
 |
日 時 |
.2月8日火曜日 |
| お名前 |
.奈良の木下さん |
| コメント |
. 牡蠣チヌ |
|
| |
|
 |
日 時 |
.2月6日日曜日 |
| お名前 |
.土屋さん |
| コメント |
. 牡蠣チヌ
3匹スカりから逃げた! |
|
| |
|
 |
日 時 |
.2月6日日曜日 |
| お名前 |
.藤田さん |
| コメント |
. チヌ53p
牡蠣チヌ
☆大チヌ撃沈! 初牡蠣チヌ初年なし |
|
| |
|
 |
日 時 |
.2月5日土曜日 |
| お名前 |
.こうすけ |
| コメント |
. 牡蠣チヌ |
|
| |
|
 |
日 時 |
.2月3日木曜日 |
| お名前 |
.かんぴんたん |
| コメント |
. チヌ51.5p
牡蠣チヌ
☆大チヌ撃沈! 寒かったので2時半上がり |
|
| |
|
 |
日 時 |
.2月2日水曜日 |
| お名前 |
.丹賀さん |
| コメント |
. 牡蠣チヌ ようやく津波復旧から復活しました |
|
| |
|
 |
日 時 |
.1月10日月曜日 |
| お名前 |
.岡崎さん |
| コメント |
. 牡蠣チヌ アクアリザスター ジギング
ワラサは後ろの発泡の中です |
|
| |
|
 |
日 時 |
1月6日木曜日 |
| お名前 |
.丹賀さん |
| コメント |
. チヌ47p
牡蠣チヌ |
|

こうすけ 56.5p |
|
 |
日 時 |
.12月15日水曜日 |
| お名前 |
.こうすけ |
| コメント |
. チヌ56.5p 50.5p
牡蠣チヌ
☆大チヌ撃沈! アクアリザスターでスズキ |
|
| |
|
 |
日 時 |
.12月12日日曜日 |
| お名前 |
.水野さん |
| コメント |
. チヌ51.5p
牡蠣チヌ
☆大チヌ撃沈! 頑張ってくれました |
|
| |
|
 |
日 時 |
.12月11日土曜日 |
| お名前 |
.太田さん |
| コメント |
. チヌ53p
牡蠣チヌ
☆大チヌ撃沈! |
|
| |
|
 |
日 時 |
.12月10日金曜日 |
| お名前 |
.若林さん |
| コメント |
. 牡蠣チヌ |
|
| |
|
 |
日 時 |
.12月3日金曜日 |
| お名前 |
.浅井さん |
| コメント |
. 牡蠣チヌ |
|
| |
|
 |
日 時 |
.12月2日木曜日 |
| お名前 |
.四日市の杉村さん |
| コメント |
. チヌ51p 大真鯛66p
牡蠣チヌ
☆大チヌ撃沈! ようやくアイゴもいなくなりました |
|

船頭 アジ36p |
|
 |
日 時 |
.11月15日月曜日 |
| お名前 |
.桜井さん |
| コメント |
. チヌ46p
イガイ |
|
| |
|
 |
日 時 |
.11月14日日曜日 |
| お名前 |
.広田さん |
| コメント |
. 牡蠣チヌ |
|
| |
|
 |
日 時 |
.11月13日土曜日 |
| お名前 |
.内田さん |
| コメント |
. 団子 |
|
| |
|
 |
日 時 |
.11月13日土曜日 |
| お名前 |
.北名古屋市 伊藤さん |
| コメント |
. 牡蠣チヌ |
|
| |
|
 |
日 時 |
.11月11日木曜日 |
| お名前 |
.丹賀さん |
| コメント |
. 大真鯛69p
イガイ
かわはぎも牡蠣チヌで釣れました |
|
| |
|
 |
日 時 |
.11月6日土曜日 |
| お名前 |
.こうすけ |
| コメント |
. イガイ |
|
| |
|
 |
日 時 |
.11月3日水曜日 |
| お名前 |
.岡崎さん 大久保さん |
| コメント |
. 団子 |
|
| |
|
 |
日 時 |
.11月2日火曜日 |
| お名前 |
.岡崎さん |
| コメント |
. アジ32p チヌも釣ってました |
|
| |
|
 |
日 時 |
.11月1日月曜日 |
| お名前 |
.しょうや君 |
| コメント |
. アジ32.5p 夕方2時間 |
|
| |
|
 |
日 時 |
.10月31日日曜日 |
| お名前 |
.塚本さんと中西君 |
| コメント |
. 今日は鯵釣り 30p〜35p |
|
| |
|
 |
日 時 |
.10月31日日曜日 |
| お名前 |
.山北さん |
| コメント |
. 鯵釣り 30p〜35p |
|
| |
|
 |
日 時 |
.10月30日土曜日 |
| お名前 |
.鈴鹿の伊藤さん |
| コメント |
. チヌ56p
イガイ
☆大チヌ撃沈! こうすけ 大真鯛バラシ |
|
| |
|
 |
日 時 |
.10月30日土曜日 |
| お名前 |
.滋賀の中西さん |
| コメント |
. チヌ52p
イガイ
☆大チヌ撃沈! |
|
| |
|
 |
日 時 |
.10月30日土曜日 |
| お名前 |
.深草さん |
| コメント |
. 団子 |
|
| |
|
 |
日 時 |
.10月30日土曜日 |
| お名前 |
.高野さん |
| コメント |
. 団子 |
|
| |
|
 |
日 時 |
.10月30日土曜日 |
| お名前 |
.臼井さん |
| コメント |
. 団子 |
|
| |
|
 |
日 時 |
.10月30日土曜日 |
| お名前 |
.内田さん |
| コメント |
. アジ30pオーバー |
|
| |
|
 |
日 時 |
.10月29日金曜日 |
| お名前 |
.丹賀さん |
| コメント |
. アジ34p |
|

塚本さん 62p |
|
 |
日 時 |
.10月27日水曜日 |
| お名前 |
.塚本さん |
| コメント |
. 真鯛62p アジ34pサビキ
大真鯛1枚バラシ どうにもできなかったみたい |
|
| |
|
 |
日 時 |
.10月25日月曜日 |
| お名前 |
.岐阜の小島さん |
| コメント |
. チヌ50.5p
イガイ
☆大チヌ撃沈! |
|
| |
|
 |
日 時 |
.10月24日日曜日 |
| お名前 |
.登さん |
| コメント |
. チヌ51p
イガイ
☆大チヌ撃沈! |
|
| |
|
 |
日 時 |
.10月24日日曜日 |
| お名前 |
.大久保さん |
| コメント |
. 団子 |
|
| |
|
 |
日 時 |
.10月23日土曜日 |
| お名前 |
.こうすけ |
| コメント |
. イガイ |
|
| |
|
 |
日 時 |
.10月21日木曜日 |
| お名前 |
.塚本さん |
| コメント |
. イガイ 風が強かった! |
|
| |
|
 |
日 時 |
.10月16日土曜日 |
| お名前 |
.こうすけ |
| コメント |
. イガイ |
|
| |
|
 |
日 時 |
.10月15日金曜日 |
| お名前 |
.舩橋さん |
| コメント |
. チヌ50p
イガイ
☆大チヌ撃沈! |
|
| |
|
 |
日 時 |
.10月15日金曜日 |
| お名前 |
.新美さん |
| コメント |
. チヌ50p
イガイ
☆大チヌ撃沈! |
|
| |
|
 |
日 時 |
.10月14日木曜日 |
| お名前 |
. |
| コメント |
. イガイ |
|
| |
|
|
日 時 |
.10月13日水曜日 |
| お名前 |
. |
| コメント |
. 今日はお客さん釣果ありました
むき身牡蠣 から付牡蠣販売します
牡蠣チヌ始まりました |
|
| |
|
伊勢海老 |
日 時 |
.10月11日月曜日 |
| お名前 |
.丹賀さん |
| コメント |
. チヌ54.5p
イガイ
☆大チヌ撃沈! 潮が透き通っているので食いが悪い |
|
| |
|
 |
日 時 |
.10月11日月曜日 |
| お名前 |
.岡崎さん |
| コメント |
. イガイ |
|
| |
|
伊勢海老 |
日 時 |
.10月10日日曜日 |
| お名前 |
.鈴鹿の伊藤さん |
| コメント |
. チヌ53p
イガイ
☆大チヌ撃沈! |
|
| |
|
伊勢海老 |
日 時 |
.10月9日土曜日 |
| お名前 |
.こうすけ |
| コメント |
. チヌ51p
イガイ
☆大チヌ撃沈! 他の人も釣ってました |
|
| |
|
伊勢海老 |
日 時 |
.10月5日火曜日 |
| お名前 |
.若林さん |
| コメント |
. チヌ54p
イガイ
☆大チヌ撃沈! |
|
| |
|
 |
日 時 |
.10月5日火曜日 |
| お名前 |
.岡崎さん |
| コメント |
. チヌ48p
イガイ |
|
| |
|
 |
日 時 |
.10月5日火曜日 |
| お名前 |
.桑原さん |
| コメント |
. イガイ |
|
| |
|
 |
日 時 |
.10月5日火曜日 |
| お名前 |
.塚本さん |
| コメント |
. イガイ |
|
| |
|
 |
日 時 |
.10月5日火曜日 |
| お名前 |
.舩橋さん |
| コメント |
. チヌ48p
イガイ |
|
| |
|
 |
日 時 |
.9月24日金曜日 |
| お名前 |
.こうすけ |
| コメント |
. チヌ48p
イガイ |
|
| |
|
 |
日 時 |
.9月24日金曜日 |
| お名前 |
.新美さん |
| コメント |
. 真鯛60p
イガイ 大真鯛バラシ 潮早かった!
急用で11時上がり |
|
| |
|
伊勢海老 |
日 時 |
.9月23日木曜日 |
| お名前 |
.新美さん |
| コメント |
. チヌ51p
イガイ
☆大チヌ撃沈! |
|
| |
|
伊勢海老 |
日 時 |
.9月21日火曜日 |
| お名前 |
.今日は名前なし |
| コメント |
. チヌ51.5p
イガイ
☆大チヌ撃沈! 大真鯛2回ブチ切られ! |
|
| |
|
伊勢海老 |
日 時 |
.9月19日日曜日 |
| お名前 |
.佐藤さん |
| コメント |
. チヌ54.5p
イガイ
☆大チヌ撃沈! 水潮で食い悪い! |
|
| |
|
 |
日 時 |
..9月19日日曜日 |
| お名前 |
.鈴木主水 |
| コメント |
. 真鯛57p |
|
| |
|
 |
日 時 |
.9月15日水曜日 |
| お名前 |
.高木さん |
| コメント |
. チヌ48.5p
イガイ 今日はあちらこちらで大真鯛バラシ! |
|
| |
|
 |
日 時 |
..9月15日水曜日 |
| お名前 |
.小島尚登さん |
| コメント |
. イガイ |
|
| |
|
 |
日 時 |
.9月14日火曜日 |
| お名前 |
.岡崎さん2人 |
| コメント |
. イガイ 今日も沢山バラシ!大真鯛も |
|
| |
|
伊勢海老 |
日 時 |
.9月13日月曜日 |
| お名前 |
.佐分利さん |
| コメント |
. 大真鯛72p
イガイ
|
|
| |
|
 |
日 時 |
.9月12日日曜日 |
| お名前 |
.鈴木主水 |
| コメント |
. 真鯛64p チヌ48.5p
イガイ 湾内激渋! |
|
| |
|
 |
日 時 |
.9月12日日曜日 |
| お名前 |
.員弁の後藤さん |
| コメント |
. イガイ |
|
| |
|
伊勢海老 |
日 時 |
.9月11日土曜日 |
| お名前 |
.左 新美さん 右 こうすけ |
| コメント |
. チヌ2人が51pずつ
イガイ
☆大チヌ撃沈! |
|
| |
|
伊勢海老 |
日 時 |
.9月11日土曜日 |
| お名前 |
.登さん |
| コメント |
. チヌ51p
イガイ
☆大チヌ撃沈! |
|
| |
|
 |
日 時 |
.9月11日土曜日 |
| お名前 |
.牛島さん |
| コメント |
. 真鯛55p
イガイ |
|
| |
|
 |
日 時 |
9月10日金曜日 |
| お名前 |
.鬼頭さん |
| コメント |
. イガイ |
|
| |
|
 |
日 時 |
.9月10日金曜日 |
| お名前 |
.若林さん |
| コメント |
. イガイ |
|
| |
|
伊勢海老 |
日 時 |
.9月9日木曜日 |
| お名前 |
.小島さん |
| コメント |
. 大真鯛69p
イガイ
|
|
| |
|
 |
日 時 |
.9月9日木曜日 |
| お名前 |
.中村さん |
| コメント |
. 大真鯛ぶちぎられ |
|
| |
|
伊勢海老 |
日 時 |
.9月8日水曜日 |
| お名前 |
.塚本さん |
| コメント |
. チヌ49p
イガイ
|
|
| |
|
伊勢海老
|
日 時 |
.9月7日火曜日 |
| お名前 |
.舩橋さん |
| コメント |
. 大真鯛78p
イガイ 納竿間際に釣れました
|
|
| |
|
 |
日 時 |
.9月5日日曜日 |
| お名前 |
.鈴木主水 |
| コメント |
. イガイ 1線と4線では潮の流れが違う
4線は潮が早い |
|
| |
|
 |
日 時 |
.9月4日土曜日 |
| お名前 |
.こうすけ |
| コメント |
. 真鯛62p チヌ48p
イガイ |
|
| |
|
 |
日 時 |
.9月4日土曜日 |
| お名前 |
.新美さん |
| コメント |
. イガイ |
|
| |
|
 |
日 時 |
.9月4日土曜日 |
| お名前 |
.登さん |
| コメント |
. イガイ よく当ったけどウネリで釣りにくかった |
|
| |
|
 |
日 時 |
.9月1日水曜日 |
| お名前 |
.新美さん |
| コメント |
. イガイ |
|
| |
|
 |
日 時 |
.9月1日水曜日 |
| お名前 |
.若林さん |
| コメント |
. イガイ 大真鯛3回ばらしか? |
|
| |
|
 |
日 時 |
.9月1日水曜日 |
| お名前 |
.新美さん息子さん |
| コメント |
. |
|
| |
|
 |
日 時 |
.8月31日火曜日 |
| お名前 |
.中村さん |
| コメント |
. イガイ 大真鯛バラシも |
|
| |
|
 |
日 時 |
.8月30日月曜日 |
| お名前 |
.佐分利さん |
| コメント |
. イガイ 針外れ多かった 針は伊勢尼13以上で! |
|
 |
|
伊勢海老
|
日 時 |
.8月29日日曜日 |
| お名前 |
.鈴木主水 |
| コメント |
. 大真鯛77p
イガイ
|
|
| |
|
 |
日 時 |
.8月28日土曜日 |
| お名前 |
.新美さん |
| コメント |
. イガイ |
|
| |
|
伊勢海老
|
日 時 |
.8月28日土曜日 |
| お名前 |
.こうすけ |
| コメント |
. チヌ49p
イガイ
|
|
| |
|
 |
日 時 |
.8月28日土曜日 |
| お名前 |
.野村さん |
| コメント |
. イガイ |
|
| |
|
 |
日 時 |
.8月28日土曜日 |
| お名前 |
.宮崎さん |
| コメント |
. 鯵釣り |
|
| |
|
 |
日 時 |
.8月26日木曜日 |
| お名前 |
.黒霧軍団 k さん |
| コメント |
. イガイ カメラ水没しました 丹賀さん49p頭に4枚 |
|
| |
|
 |
日 時 |
.8月26日木曜日 |
| お名前 |
.若林さん |
| コメント |
. チヌ46p |
|
| |
|
伊勢海老 |
日 時 |
.8月25日水曜日 |
| お名前 |
.熊崎さん 2日目 |
| コメント |
. チヌ53.5p 1匹スカりから取り忘れチヌ4枚
イガイ
☆大チヌ撃沈! 全体でバラシ多数 |
|
| |
|

伊勢海老 |
日 時 |
.8月24日火曜日 |
| お名前 |
.熊崎さん |
| コメント |
. チヌ53.5p
イガイ
☆大チヌ撃沈! 他もばらし沢山 |
|
| |
|
伊勢海老 |
日 時 |
..8月24日火曜日 |
| お名前 |
.岡崎さん |
| コメント |
. チヌ51p
イガイ
☆大チヌ撃沈! |
|
| |
|
 |
日 時 |
.8月22日日曜日 |
| お名前 |
.鈴木主水 |
| コメント |
. 真鯛66p
イガイ 今日もバラシ沢山 |
|
| |
|
 |
日 時 |
.8月22日日曜日 |
| お名前 |
.鬼頭さん |
| コメント |
. イガイ |
|
| |
|
 |
日 時 |
.8月22日日曜日 |
| お名前 |
.登さん |
| コメント |
. イガイ |
|
| |
|
 |
日 時 |
.8月22日日曜日 |
| お名前 |
.塚本さんと中西君 |
| コメント |
. 鯵釣り 31p |
|
| |
|
 |
日 時 |
.8月21日土曜日 |
| お名前 |
.こうすけ |
| コメント |
. イガイ 3回ばらし |
|
| |
|
 |
日 時 |
.8月21日土曜日 |
| お名前 |
.新美さん |
| コメント |
. イガイ |
|
| |
|
 |
日 時 |
.8月20日金曜日 |
| お名前 |
.こうすけ |
| コメント |
. 真鯛59p 大真鯛ぶちぎられ |
|
| |
|
|
日 時 |
.8月18日水曜日 |
| お名前 |
.石原さん |
| コメント |
. 今日は2枚でした。昼から天気も回復
コロナも増えてきました。 |
|
| |
|
 |
日 時 |
.8月13日金曜日 |
| お名前 |
.工藤さん |
| コメント |
. 真鯛57p イガイ |
|
| |
|
 |
日 時 |
.8月12日木曜日 |
| お名前 |
.滋賀 中西さん |
| コメント |
. 大真鯛71p
イガイ |
|
| |
|
 |
日 時 |
..8月12日木曜日 |
| お名前 |
.塚本さんと中西君 |
| コメント |
. アジ釣りやけど横でこっそりイガイで67p真鯛 |
|
| |
|
 |
日 時 |
..8月12日木曜日 |
| お名前 |
.鈴木主水 |
| コメント |
. 筏が狭かったため、大真鯛やられました |
|
| |
|
 |
日 時 |
.8月11日水曜日 |
| お名前 |
.丹賀さん |
| コメント |
. 大真鯛ぶちぎられ |
|
| |
|
 |
日 時 |
.8月11日水曜日 |
| お名前 |
.牛島さん |
| コメント |
. チヌ49p 48p |
|
| |
|
 |
日 時 |
.8月11日水曜日 |
| お名前 |
.福山さん2人 |
| コメント |
. 鯵釣り |
|

ナンチャン |
|
 |
日 時 |
.8月10日火曜日 |
| お名前 |
.岡崎さん ナンチャン |
| コメント |
. イガイ 大真鯛何回もブチぎられ |
|
| |
|
 |
日 時 |
.8月10日火曜日 |
| お名前 |
.広瀬さん |
| コメント |
.
真鯛59p |
|
| |
|
 |
日 時 |
.8月9日月曜日 |
| お名前 |
.鬼頭さん |
| コメント |
. イガイ 朝〜暴風 頑張ってくれました |
|
| |
|
 |
日 時 |
.8月8日日曜日 |
| お名前 |
.鬼頭さん |
| コメント |
. イガイ |
|
| |
|
 |
日 時 |
.8月8日日曜日 |
| お名前 |
.鈴木主水 |
| コメント |
. 真鯛61p
イガイ |
|
| |
|
 |
日 時 |
.8月7日土曜日 |
| お名前 |
.鈴木主水 |
| コメント |
. イガイ 出船時間更新しました |
|
| |
|
 |
日 時 |
.8月3日火曜日 |
| お名前 |
.熊崎さん |
| コメント |
. イガイ |
|
| |
|
 |
日 時 |
..8月3日火曜日 |
| お名前 |
.岡崎さん |
| コメント |
. 他にもよく当たりました イガイ |
|
| |
|
|
日 時 |
.7月26日月曜日 |
| お名前 |
. |
| コメント |
. 今日も大真鯛2回ぶちぎられました
今、大真鯛 回っているようです |
|
| |
|
 |
日 時 |
.7月25日日曜日 |
| お名前 |
.員弁の後藤さん |
| コメント |
. 今日は4人さん大型バラシ |
|
| |
|
 |
日 時 |
.7月25日日曜日 |
| お名前 |
.安達さん |
| コメント |
. チヌ51p
☆大チヌ撃沈! |
|
| |
|
 |
日 時 |
.7月25日日曜日 |
| お名前 |
.工藤さん |
| コメント |
. |
|
| |
|
 |
日 時 |
.7月24日土曜日 |
| お名前 |
.水野さん |
| コメント |
. |
|
| |
|
 |
日 時 |
.7月24日土曜日 |
| お名前 |
.塚本さんと中西君 |
| コメント |
. アジ専門 |
|
| |
|
 |
日 時 |
.7月23日金曜日 |
| お名前 |
.浅川さん |
| コメント |
. 工藤さんも40前後2枚釣ってました |
|
| |
|
 |
日 時 |
.7月22日木曜日 |
| お名前 |
.中西さん |
| コメント |
. チヌ47p |
|
| |
|
 |
日 時 |
.7月22日木曜日 |
| お名前 |
.石原さん |
| コメント |
. |
|
| |
|
 |
日 時 |
.7月19日月曜日 |
| お名前 |
.岡本さん |
| コメント |
. 今日は朝から良い天気で風も程よく吹いて最高
必ずパラソル持ってきてね。
今日えさきちに行ったらえさきちパラソル売ってました
11000円やったかな? |
|
| |
|
 |
日 時 |
.7月17日土曜日 |
| お名前 |
.鬼頭さん |
| コメント |
. チヌ45p |
|
 |
|
 |
日 時 |
.7月17日土曜日 |
| お名前 |
.こうすけ |
| コメント |
. 真鯛55p |
|
| |
|
 |
日 時 |
.7月13日火曜日 |
| お名前 |
.小島さん |
| コメント |
. 大真鯛64p 60p 他の人も大真鯛バラシ |
|
| |
|
 |
日 時 |
.7月13日火曜日 |
| お名前 |
.岡崎さん |
| コメント |
. チヌ46p |
|
| |
|
 |
日 時 |
.7月13日火曜日 |
| お名前 |
.中村さん |
| コメント |
. |
|

鈴木主水 53p |
|
 |
日 時 |
.7月10日土曜日 |
| お名前 |
.鈴木主水 |
| コメント |
. チヌ53p
☆大チヌ撃沈! |
|
| |
|
 |
日 時 |
.7月10日土曜日 |
| お名前 |
.塚本さんと中西君 |
| コメント |
. これの倍釣ったけど、スカりから脱走! |
|
| |
|
 |
日 時 |
.7月6日火曜日 |
| お名前 |
.岡崎さん |
| コメント |
. |
|
| |
|
 |
日 時 |
.7月4日日曜日 |
| お名前 |
.丹賀さん |
| コメント |
. 大荒れで大変でした |
|
| |
|
 |
日 時 |
.7月3日土曜日 |
| お名前 |
.鈴木主水 |
| コメント |
. 大真鯛77p 大真鯛4回ブチぎられ |
|
| |
|
 |
日 時 |
.7月3日土曜日 |
| お名前 |
.牛島さん |
| コメント |
. 真鯛55p |
|
| |
|
 |
日 時 |
.6月26日土曜日 |
| お名前 |
.長谷川さん |
| コメント |
. 真鯛55p
2回ばらしか? |
|
| |
|
 |
日 時 |
.4月21日水曜日 |
| お名前 |
.岡本さん |
| コメント |
. チヌ50p
牡蠣チヌ
☆大チヌ撃沈! 橋の奥奥 |
|
| |
|
 |
日 時 |
.4月20日火曜日 |
| お名前 |
若林さん |
| コメント |
. 牡蠣チヌ |
|
| |
|
 |
日 時 |
.4月15日木曜日 |
| お名前 |
.木下さん |
| コメント |
. 牡蠣チヌ |
|
| |
|
 |
日 時 |
.4月15日木曜日 |
| お名前 |
.浅井さん |
| コメント |
. 牡蠣チヌ |
|

岡崎さん 57p |
|
 |
日 時 |
.4月12日月曜日 |
| お名前 |
.岡崎さん |
| コメント |
. チヌ57p
☆大チヌ撃沈! |
|
| |
|
 |
日 時 |
.4月11日日曜日 |
| お名前 |
.鈴木さん |
| コメント |
. チヌ53p
☆大チヌ撃沈! |
|
| |
|
 |
日 時 |
.4月11日日曜日 |
| お名前 |
.多頓会 若林さん |
| コメント |
. チヌ51p 50p 49.7p
☆大チヌ撃沈! |
|
| |
|
 |
日 時 |
.4月10日土曜日 |
| お名前 |
.村木さん |
| コメント |
. チヌ51p
☆大チヌ撃沈! |
|
| |
|
 |
日 時 |
.4月10日土曜日 |
| お名前 |
.丹所さん |
| コメント |
. |
|
| |
|
 |
日 時 |
.4月8日木曜日 |
| お名前 |
.丹賀さん |
| コメント |
. チヌ53p
☆大チヌ撃沈! |
|
| |
|
 |
日 時 |
.4月8日木曜日 |
| お名前 |
.岡本さん |
| コメント |
. |
|
| |
|
 |
日 時 |
.4月7日水曜日 |
| お名前 |
.金久さん |
| コメント |
. |
|
| |
|
 |
日 時 |
.4月4日日曜日 |
| お名前 |
.鈴鹿の伊藤さん |
| コメント |
. 牡蠣チヌ |
|
| |
|
 |
日 時 |
.4月3日土曜日 |
| お名前 |
.村木さん |
| コメント |
. 牡蠣チヌ |
|
| |
|
 |
日 時 |
.4月3日土曜日 |
| お名前 |
.塚本さん |
| コメント |
. 牡蠣チヌ |
|
| |
|
 |
日 時 |
.4月3日土曜日 |
| お名前 |
.松谷さん |
| コメント |
. 牡蠣チヌ |
|
| |
|
 |
日 時 |
.4月1日木曜日 |
| お名前 |
.こうすけ |
| コメント |
. 牡蠣チヌ 4時過ぎ〜よく当たりました |
|
  |
|
 |
日 時 |
.3月30日火曜日 |
| お名前 |
.鈴木さん 黒谷さん こんちゃん |
| コメント |
. |
|
| |
|
 |
日 時 |
.3月19日金曜日 |
| お名前 |
.登さん |
| コメント |
. 牡蠣チヌ |
|
| |
|
|
日 時 |
.3月18日木曜日 |
| お名前 |
.福嶋さん |
| コメント |
. チヌ2枚
牡蠣チヌ 18日の中日スポーツで浅井さんが
記事を載せてくれました 買ってくださいね |
|

金久さん 50p |
|
 |
日 時 |
.3月17日水曜日 |
| お名前 |
.金久さん |
| コメント |
. チヌ50p 48p
牡蠣チヌ
☆大チヌ撃沈! |
|
| |
|
 |
日 時 |
.3月16日火曜日 |
| お名前 |
.岡崎さん 佐藤さん |
| コメント |
. チヌ50.2p
牡蠣チヌ
☆大チヌ撃沈! |
|
| |
|
 |
日 時 |
.3月16日火曜日 |
| お名前 |
.登さん |
| コメント |
. 牡蠣チヌ |
|
| |
|
 |
日 時 |
.3月16日火曜日 |
| お名前 |
.小島さん |
| コメント |
. 牡蠣チヌ |
|
| |
|
 |
日 時 |
.3月16日月曜日 |
| お名前 |
.工藤さん |
| コメント |
. チヌ47p
牡蠣チヌ |
|
 |
|
 |
日 時 |
.3月13日土曜日 |
| お名前 |
.鬼頭さん 鈴木さん |
| コメント |
. 牡蠣チヌ 今日は昼からカセに乗ってもらいました |
|
| |
|
 |
日 時 |
.3月11日木曜日 |
| お名前 |
.カンピンタン しんちゃん |
| コメント |
. 牡蠣チヌ |
|
| |
|
 |
日 時 |
..3月11日木曜日 |
| お名前 |
.浅井さん |
| コメント |
. 牡蠣チヌ |
|
| |
|
 |
日 時 |
..3月11日木曜日 |
| お名前 |
.岡本さん |
| コメント |
. 牡蠣チヌ |
|
| |
|
 |
日 時 |
.3月7日日曜日 |
| お名前 |
.こうすけ |
| コメント |
. チヌ53p
牡蠣チヌ
☆大チヌ撃沈! |
|
| |
|
 |
日 時 |
.3月3日木曜日
|
| お名前 |
.丹賀さん |
| コメント |
. 牡蠣チヌ |
|
| |
|
|
日 時 |
.2月28日日曜日 |
| お名前 |
. |
| コメント |
. 今日は鈴木さん 45p 1枚でした
今度の日曜日は営業します
土曜日も空いてます 来てください! |
|
| |
|
 |
日 時 |
2月26日金曜日 |
| お名前 |
.登さん |
| コメント |
. チヌ44p
牡蠣チヌ |
|
| |
|
 |
日 時 |
.2月22日月曜日 |
| お名前 |
.嶋田さん |
| コメント |
. チヌ45p
牡蠣チヌ 今日は潮が動かなかったので、食いが悪かっ
た! |
|
| |
|
 |
日 時 |
.2月22日月曜日 |
| お名前 |
.内村さん |
| コメント |
. 牡蠣チヌ |
|
 |
|
 |
日 時 |
.2月20日土曜日 |
| お名前 |
.高木さん |
| コメント |
. 大真鯛67p
牡蠣チヌ |
|
 |
|
 |
日 時 |
..2月20日土曜日 |
| お名前 |
.舩橋さん |
| コメント |
. チヌ54p
牡蠣チヌ
☆大チヌ撃沈! 中型チヌ2枚も釣りました |
|
| |
|
 |
日 時 |
.2月19日金曜日 |
| お名前 |
.丹賀さん |
| コメント |
. チヌ47p
牡蠣チヌ |
|
| |
|
 |
日 時 |
.2月16日火曜日 |
| お名前 |
.岡崎さん 岩倉君 |
| コメント |
. 牡蠣チヌ |
|
| |
|
 |
日 時 |
.2月11日木曜日 |
| お名前 |
.カンピンタン |
| コメント |
. チヌ47p 47p
牡蠣チヌ 大風の中 頑張ってくれました |
|

木下さん 52p |
|
 |
日 時 |
.2月10日水曜日 |
| お名前 |
.木下さん |
| コメント |
. チヌ52p
牡蠣チヌ
☆大チヌ撃沈! |
|
| |
|
 |
日 時 |
.2月9日火曜日 |
| お名前 |
.門真の西村さん |
| コメント |
. チヌ54p
牡蠣チヌ |
|
| |
|
 |
日 時 |
.2月6日土曜日 |
| お名前 |
.右から |
| コメント |
. 工藤さん 44p
丹所さん 46p
岩佐さん 47p 全員釣果 |
|
| |
|
 |
日 時 |
.1月31日日曜日 |
| お名前 |
.鈴木さん |
| コメント |
. 牡蠣チヌ |
|
 |
|
 |
日 時 |
.1月26日火曜日 |
| お名前 |
.岡崎さん |
| コメント |
. 大真鯛73p
牡蠣チヌ |
|
| |
|
 |
日 時 |
.1月23日土曜日 |
| お名前 |
.多頓会 清水さん |
| コメント |
. チヌ43p
牡蠣チヌ
奇跡の1枚 |
|
| |
|
 |
日 時 |
.1月23日土曜日 |
| お名前 |
.鈴木さん |
| コメント |
. 牡蠣チヌ
奇跡の1枚 |
|
| |
|
 |
日 時 |
.1月16日土曜日 |
| お名前 |
.鈴木さん |
| コメント |
. チヌ47p
牡蠣チヌ |
|
| |
|
 |
日 時 |
.1月14日木曜日 |
| お名前 |
.丹賀さん |
| コメント |
. チヌ42p
牡蠣チヌ |
|
| |
|
 |
日 時 |
.1月11日月曜日 |
| お名前 |
.工藤さん |
| コメント |
. チヌ44p
牡蠣チヌ |
|
| |
|
 |
日 時 |
.1月11日月曜日 |
| お名前 |
.岡崎さん |
| コメント |
. チヌ43p
牡蠣チヌ |
|
| |
|
 |
日 時 |
.1月6日水曜日 |
| お名前 |
.木下さん |
| コメント |
. チヌ46p
牡蠣チヌ |
|
| |
|
 |
日 時 |
.1月4日月曜日 |
| お名前 |
.田口さん |
| コメント |
. チヌ45p
牡蠣チヌ 昼から全く当たらなかったようです
そんな時は団子か牡蠣ゴミで対処しましょう |
|
| |
|
 |
日 時 |
.12月30日水曜日 |
| お名前 |
.松谷さん |
| コメント |
. 巨大フグ38p 新年は4日〜営業再開 |
|
| |
|
 |
日 時 |
..12月30日水曜日 |
| お名前 |
.眞鍋3兄弟 |
| コメント |
. |
|
| |
|
 |
日 時 |
.12月27日日曜日 |
| お名前 |
.眞鍋3兄弟 |
| コメント |
. スズキ7匹 チヌは今日は駄目でした |
|
 |
|
 |
日 時 |
.12月26日土曜日 |
| お名前 |
.鈴木さん |
| コメント |
. 3種釣り |
|
 |
|
 |
日 時 |
.12月25日金曜日 |
| お名前 |
.高木さん |
| コメント |
. チヌ55p
牡蠣チヌ 登カセで釣りました
☆大チヌ撃沈! 工藤カセで釣りました |
|
| |
|
 |
日 時 |
.12月24日木曜日 |
| お名前 |
.登さん |
| コメント |
. |
|
| |
|
 |
日 時 |
.12月23日水曜日 |
| お名前 |
.門真の西村さん |
| コメント |
. |
|
| |
|
|
日 時 |
.12月22日火曜日 |
| お名前 |
. |
| コメント |
. 今度は良型イワシ入れ食い!
チヌも昨日と今日はバラシあり |
|
 |
|
 |
日 時 |
.12月21日月曜日 |
| お名前 |
.岡崎さん |
| コメント |
. 色んな釣り方をしてもらいました |
|
| |
|
 |
日 時 |
.12月20日日曜日 |
| お名前 |
.南さん |
| コメント |
. 牡蠣チヌ |
|

鯵と入れ替わりでイワシ入れ食い |
|
 |
日 時 |
..12月20日日曜日 |
| お名前 |
.鈴木さん |
| コメント |
. 番外 |
|
| |
|
 |
日 時 |
.12月19日土曜日 |
| お名前 |
.工藤さん |
| コメント |
. 牡蠣チヌでやってたけど、素張りに鯵が掛ったので
鯵釣りしたみたい 橋奥もチヌ2枚 |
|
| |
|
 |
日 時 |
.12月19日土曜日 |
| お名前 |
.船頭 |
| コメント |
. 鈴木84p アクアリザスター 4回バラシ |
|
| |
|
|
日 時 |
.12月19日土曜日 |
| お名前 |
. |
| コメント |
. 今日の中日スポーツの新聞に浅井さんの釣行記事が載ってます 牡蠣チヌです |
|
| |
|
|
日 時 |
.12月18日金曜日 |
| お名前 |
.丹賀さん |
| コメント |
. 今日は子チヌ1枚でした 日に日に食いが悪くなってます
団子も持ってきたほうが良いような気がしてきました |
|
| |
|
 |
日 時 |
.12月14日月曜日 |
| お名前 |
.岡崎さん 岩倉君 |
| コメント |
. 橋の奥 牡蠣チヌ |
|
| |
|
 |
日 時 |
.12月13日日曜日 |
| お名前 |
.小西さん |
| コメント |
. 鯵釣り |
|
 |
|
 |
日 時 |
.12月13日日曜日 |
| お名前 |
.塚本さんと中西君 |
| コメント |
. 鯵釣りと牡蠣チヌ |
|
| |
|
 |
日 時 |
.12月13日日曜日 |
| お名前 |
.長谷川さん |
| コメント |
. 牡蠣チヌ |
|
| |
|
 |
日 時 |
.12月12日土曜日 |
| お名前 |
.鈴木さん |
| コメント |
. 牡蠣チヌ 橋の奥 |
|
| |
|
 |
日 時 |
.12月10日木曜日 |
| お名前 |
.金久さん |
| コメント |
. 牡蠣チヌ |
|
| |
|
|
日 時 |
.12月12日土曜日 |
| お名前 |
. |
| コメント |
. 年末は牡蠣が忙しいので釣果はおろそかになります
今日は鈴木さん橋の奥で良型2枚でした
他のお客さんは子チヌ大漁の為放流したみたい |
|
| |
|
 |
日 時 |
.12月7日月曜日 |
| お名前 |
.浅井さん |
| コメント |
. 牡蠣チヌ 新聞に載せてくれるみたいです
土曜日空いてます |
|
| |
|
 |
日 時 |
.12月5日土曜日 |
| お名前 |
.多頓会
渡辺さん |
| コメント |
. チヌ50.2p
牡蠣チヌ
☆大チヌ撃沈! 鯵は昼1時半から入れ食い |
|
| |
|
 |
日 時 |
.12月5日土曜日 |
| お名前 |
.元西濃運輸の友達 |
| コメント |
. 鯵35p |
|
| |
|
 |
日 時 |
.12月5日土曜日 |
| お名前 |
.四日市の牛島さん |
| コメント |
. 牡蠣チヌ |
|
| |
|
 |
日 時 |
.12月5日土曜日 |
| お名前 |
.多頓会 清水さん |
| コメント |
. 牡蠣チヌ |
|
| |
|
 |
日 時 |
.12月4日金曜日 |
| お名前 |
.塚本さん |
| コメント |
. チヌ45p
牡蠣チヌ |
|
 
丹賀さん イガイでスズキ74p |
|
 |
日 時 |
.12月2日水曜日 |
| お名前 |
.丹賀さん |
| コメント |
. チヌ51p 49p 今日は潮が良かったみたい
牡蠣チヌ
☆大チヌ撃沈! 真鯛とスズキはイガイ |
|
| |
|
 |
日 時 |
.12月2日水曜日 |
| お名前 |
.水谷さん |
| コメント |
. チヌ47p
牡蠣チヌ |
|
| |
|
 |
日 時 |
.12月2日水曜日 |
| お名前 |
.中村さん |
| コメント |
. チヌ47p
牡蠣チヌ |
|
| |
|
 |
日 時 |
.12月2日水曜日 |
| お名前 |
.西尾の小島さん |
| コメント |
. 牡蠣チヌ 大チヌは掛かりませんでした |
|
| |
|
 |
日 時 |
.11月29日日曜日 |
| お名前 |
.塚本さん 中西君 |
| コメント |
. 鯵34p |
|
| |
|
 |
日 時 |
.11月28日土曜日 |
| お名前 |
.松谷さん |
| コメント |
. 牡蠣チヌ |
|
| |
|
 |
日 時 |
.11月25日水曜日 |
| お名前 |
.松波さん |
| コメント |
. 牡蠣チヌ |
|
| |
|
 |
日 時 |
.11月25日水曜日 |
| お名前 |
.金久さん |
| コメント |
. 牡蠣チヌ |
|
| |
|
 |
日 時 |
.11月18日水曜日 |
| お名前 |
.金久さん |
| コメント |
. チヌ45p
牡蠣チヌ |
|
| |
|
 |
日 時 |
.11月18日水曜日 |
| お名前 |
.水野さん2人 |
| コメント |
. 団子 |
|
| |
|
 |
日 時 |
.1月17日火曜日 |
| お名前 |
.ふくしまさん |
| コメント |
. 団子と牡蠣チヌ |
|
| |
|
 |
日 時 |
.11月16日月曜日 |
| お名前 |
.小島さん |
| コメント |
. 団子と牡蠣チヌ |
|
| |
|
 |
日 時 |
.11月16日月曜日 |
| お名前 |
.塚本さん |
| コメント |
. イガイ |
|
| |
|
 |
日 時 |
.11月16日月曜日 |
| お名前 |
.若林さん |
| コメント |
. 牡蠣チヌ |
|
| |
|
 |
日 時 |
.11月16日月曜日 |
| お名前 |
.岡田さん |
| コメント |
. 鯵釣り |
|
| |
|
 |
日 時 |
.11月15日日曜日 |
| お名前 |
.鈴木さん |
| コメント |
. 昼までイガイ 昼から鯵釣り |
|
| |
|
 |
日 時 |
.11月15日日曜日 |
| お名前 |
.前川さん |
| コメント |
. 昼からスイッチ入りました |
|
| |
|
 |
日 時 |
.11月14日土曜日 |
| お名前 |
.岡本さん |
| コメント |
. 牡蠣チヌ |
|
| |
|
 |
日 時 |
.11月14日土曜日 |
| お名前 |
.松谷さん |
| コメント |
. 牡蠣チヌ |
|
| |
|
 |
日 時 |
.11月13日金曜日 |
| お名前 |
.眞鍋の父ちゃん |
| コメント |
. 番外です |
|
| |
|
 |
日 時 |
.11月12日木曜日 |
| お名前 |
.金久さん |
| コメント |
. 牡蠣チヌ 1日中当たってました |
|
| |
|
 |
日 時 |
.11月12日木曜日 |
| お名前 |
.船頭 |
| コメント |
. 36p 牡蠣チヌ |
|
 |
|
 |
日 時 |
.11月10日火曜日 |
| お名前 |
.岡崎さん しゅーちゃん |
| コメント |
. 団子 |
|
 |
|
 |
日 時 |
.11月10日火曜日 |
| お名前 |
.小島さん |
| コメント |
. チヌ48p
団子 |
|
| |
|
 |
日 時 |
.11月8日日曜日 |
| お名前 |
.松谷さん |
| コメント |
. 1日中釣れてました 牡蠣チヌ |
|
| |
|
 |
日 時 |
.11月8日日曜日 |
| お名前 |
.高木さん |
| コメント |
. 牡蠣チヌ |
|
| |
|
 |
日 時 |
.11月7日土曜日 |
| お名前 |
.北名古屋市の伊藤さん |
| コメント |
. 牡蠣チヌ |
|
| |
|
 |
日 時 |
.11月7日土曜日 |
| お名前 |
.登さんの友達 |
| コメント |
. |
|
| |
|
 |
日 時 |
.11月7日土曜日 |
| お名前 |
.船頭 |
| コメント |
. 小田の浜で牡蠣チヌ 62p |
|
 |
|
 |
日 時 |
.11月6日金曜日 |
| お名前 |
.浅川さん |
| コメント |
. 牡蠣チヌ |
|
| |
|
 |
日 時 |
.11月6日金曜日 |
| お名前 |
.おぜきさん |
| コメント |
. 団子 |
|
| |
|
 |
日 時 |
.11月6日金曜日 |
| お名前 |
.船頭 |
| コメント |
.チヌ51p
牡蠣チヌ |
|
| |
|
 |
日 時 |
.11月5日木曜日 |
| お名前 |
.丹賀さん |
| コメント |
. |
|
| |
|
 |
日 時 |
.11月5日木曜日 |
| お名前 |
.塚本さん |
| コメント |
. 今日は鯵は釣れなかった
チヌ47p |
|
| |
|
 |
日 時 |
.11月4日水曜日 |
| お名前 |
.中村さん |
| コメント |
. 団子 1日中 風と波がえらかった |
|
| |
|
 |
日 時 |
..11月4日水曜日 |
| お名前 |
.門真の西村さん |
| コメント |
. チヌ46p
牡蠣チヌ 小田の浜 |
|
| |
|
 |
日 時 |
.11月1日日曜日 |
| お名前 |
.塚本さんと中西君 |
| コメント |
. 鯵35p
|
|
  |
|
|
日 時 |
..10月31日土曜日 |
| お名前 |
. 銀ピカクラブ4人で例会です |
| コメント |
. |
|
  |
|
 |
日 時 |
.10月31日土曜日 |
| お名前 |
.臼井さん 銀ピカクラブ4人で例会です |
| コメント |
. 鯵37p
他の人も34p 2匹釣ってました 伊勢海老 |
|
| |
|
 |
日 時 |
.10月31日土曜日 |
| お名前 |
.上田さん2人 |
| コメント |
. 100匹くらい 潮が変わったら 入れ食いでした |
|
| |
|
 |
日 時 |
.10月31日土曜日
|
| お名前 |
.丹所さん |
| コメント |
. 大チヌバラシました 伊勢海老残念
牡蠣チヌ |
|
  |
|
 |
日 時 |
.10月28日水曜日 |
| お名前 |
.幡豆の岡田さん |
| コメント |
. 団子 ウスバハギ50センチ |
|
| |
|
 |
日 時 |
..10月28日水曜日 |
| お名前 |
.丹賀さん |
| コメント |
. イガイ 大真鯛2回バラシ? |
|
 |
|
 |
日 時 |
.10月27日火曜日 |
| お名前 |
.岡崎さん |
| コメント |
. 団子 |
|
| |
|
 |
日 時 |
.10月27日火曜日 |
| お名前 |
.若林さん |
| コメント |
. イガイ 2回ばらしか? |
|
 |
|
 |
日 時 |
.10月26日月曜日 |
| お名前 |
.佐分利さん |
| コメント |
. 大真鯛77p |
|
 |
|
 |
日 時 |
.10月26日月曜日 |
| お名前 |
.馬場さん |
| コメント |
. 真鯛60p チヌ45,3p
イガイ 伊勢海老 |
|
| |
|
 |
日 時 |
.10月25日日曜日 |
| お名前 |
.塚本さんと中西君 |
| コメント |
. 鯵釣り |
|
| |
|
 |
日 時 |
..10月25日日曜日 |
| お名前 |
.鈴木さん |
| コメント |
. |
|
| |
|
|
日 時 |
.10月24日土曜日 |
| お名前 |
.お願い |
| コメント |
. 駐車場は自宅の前につけるよう
お願いします 旅館の隣はつけないようにお願いします |
|
| |
|
|
日 時 |
.10月21日水曜日 |
| お名前 |
. |
| コメント |
. 今日はウネリと南東の風が強かったです
若林さんは牡蠣チヌで2枚釣りました
金久さんは真鯛と大真鯛ぶちぎられ
牡蠣チヌのエサ取りは少ないです |
|
| |
|
 |
日 時 |
.10月20日火曜日 |
| お名前 |
.ちぬ子 |
| コメント |
. イガイ |
|
| |
|
 |
日 時 |
.10月19日月曜日 |
| お名前 |
.ちぬ子 |
| コメント |
. チヌ42p
イガイ |
|
| |
|
 |
日 時 |
.10月19日月曜日 |
| お名前 |
. |
| コメント |
. 団子 |
|

鈴木さん チヌ53p |
|
 |
日 時 |
.10月18日日曜日 |
| お名前 |
.鈴木さん |
| コメント |
. 大真鯛69p 67p チヌ53p
イガイと牡蠣
☆大チヌ撃沈! 伊勢海老 |
|
| |
|
|
日 時 |
.10月17日土曜日 |
| お名前 |
. |
| コメント |
. 今日は頑張ってもらったけど、寒さと雨にめげた
ようです。
19日の月曜日から牡蠣チヌします。牡蠣も買ってね! |
|
| |
|
 |
日 時 |
.10月15日木曜日 |
| お名前 |
.丹賀さん |
| コメント |
. チヌ44p2枚 |
|
| |
|
 |
日 時 |
.10月14日水曜日 |
| お名前 |
.幡豆の岡田さん |
| コメント |
. チヌ42p 鯵32p 今日はショウヤ君の10歳の誕生日
で14時に上がってもらいました |
|
 |
|
 |
日 時 |
.10月6日火曜日 |
| お名前 |
.若林さん |
| コメント |
. チヌ50p 45p
☆大チヌ撃沈! 伊勢海老2匹分 |
|
  |
|
 |
日 時 |
.10月4日日曜日 |
| お名前 |
.鈴木さん |
| コメント |
. チヌ56.5p 49p
イガイ
☆大チヌ撃沈! 伊勢海老2匹 |
|
| |
|
 |
日 時 |
.10月4日日曜日 |
| お名前 |
.塚本さん 中西君 |
| コメント |
. チヌ51p 鯵33p
☆大チヌ撃沈! 伊勢海老 |
|
| |
|
 |
日 時 |
.10月3日土曜日 |
| お名前 |
.長谷川さん |
| コメント |
. 真鯛60p 夕方少し牡蠣チヌしてもらったけど
何にも当たりませんでした |
|
| |
|
|
日 時 |
. |
| お名前 |
. |
| コメント |
.3日 土曜日 空いてます |
|
 |
|
 |
日 時 |
.10月1日木曜日 |
| お名前 |
.丹賀さん |
| コメント |
. 真鯛62p |
|
| |
|
 |
日 時 |
.10月1日木曜日 |
| お名前 |
.若林さん |
| コメント |
. チヌ40p前後 沢山バラシ |
|
  |
|
 |
日 時 |
.9月28日月曜日 |
| お名前 |
.小島さん |
| コメント |
. チヌ50p
☆大チヌ撃沈! 伊勢海老 |
|
| |
|
 |
日 時 |
.9月28日月曜日 |
| お名前 |
.幡豆の岡田さん夫婦 |
| コメント |
. 10時から15時まで |
|
 |
|
 |
日 時 |
.9月27日日曜日 |
| お名前 |
.塚本さん |
| コメント |
. チヌ55.5p 49p 49p 他
イガイと団子
☆大チヌ撃沈! 伊勢海老3匹分 |
|
| |
|
 |
日 時 |
.9月26日土曜日 |
| お名前 |
.牛島さん |
| コメント |
. チヌ55p
イガイ
☆大チヌ撃沈! 伊勢海老 |
|
| |
|
 |
日 時 |
.9月26日土曜日 |
| お名前 |
.中西君と中羽さん |
| コメント |
. 鯵80匹 |
|
| |
|
 |
日 時 |
9月26日土曜日 |
| お名前 |
.名古屋の山田さん |
| コメント |
. 団子で鯵釣り |
|
 |
|
 |
日 時 |
.9月21日月曜日 |
| お名前 |
.佐分利さん |
| コメント |
. 真鯛60p |
|
 |
|
 |
日 時 |
.9月20日日曜日 |
| お名前 |
.鈴木さん |
| コメント |
. チヌ52p
イガイ
☆大チヌ撃沈! 伊勢海老 |
|
| |
|
 |
日 時 |
.9月20日日曜日 |
| お名前 |
.小西さん |
| コメント |
. 鯵釣り |
|
| |
|
 |
日 時 |
.9月20日日曜日 |
| お名前 |
.工藤さん |
| コメント |
. イガイ |
|
 |
|
 |
日 時 |
.9月19日土曜日 |
| お名前 |
.児山さん |
| コメント |
. 大真鯛71p
チヌ45p
イガイ 伊勢海老 |
|
| |
|
 |
日 時 |
..9月19日土曜日 |
| お名前 |
.登さんら2人 |
| コメント |
. 大きい鯵は30p前後 |
|
 |
|
 |
日 時 |
.9月17日木曜日 |
| お名前 |
.奥田さん |
| コメント |
. チヌ50p
イガイ
☆大チヌ撃沈! 伊勢海老 |
|
| |
|
 |
日 時 |
.9月15日火曜日 |
| お名前 |
.木下さん |
| コメント |
. 真鯛62p |
|
| |
|
 |
日 時 |
.9月15日火曜日 |
| お名前 |
.丹賀さん |
| コメント |
. 真鯛52p
バラシあり |
|
| |
|
 |
日 時 |
.9月15日火曜日 |
| お名前 |
.岡崎さん |
| コメント |
. |
|
| |
|
|
日 時 |
.9月14日月曜日 |
| お名前 |
. |
| コメント |
. 22日 23日はお休みです! |
|
| |
|
 |
日 時 |
.9月13日日曜日 |
| お名前 |
.塚本さん 中西さん |
| コメント |
. |
|
| |
|
|
| |
|
 |
日 時 |
.9月13日日曜日 |
| お名前 |
.小西さん |
| コメント |
. 大鯵 |
|
| |
|
 |
日 時 |
.9月13日日曜日 |
| お名前 |
.ショウヤ君 |
| コメント |
. 鯵32p |
|
| |
|
 |
日 時 |
.9月12日土曜日 |
| お名前 |
.岩佐グループ |
| コメント |
. |
|
| |
|
 |
日 時 |
..9月12日土曜日
|
| お名前 |
.岩佐グループ |
| コメント |
. |
|
 |
|
 |
日 時 |
.9月10日木曜日 |
| お名前 |
.広瀬さん |
| コメント |
. 大真鯛72p
イガイ 2時上がり |
|
| |
|
 |
日 時 |
.9月10日木曜日 |
| お名前 |
.岩佐さん |
| コメント |
. |
|
| |
|
 |
日 時 |
.9月9日水曜日 |
| お名前 |
.工藤さん |
| コメント |
. チヌ46p
イガイ 伊勢海老 |
|
| |
|
|
日 時 |
.9月8日火曜日 |
| お名前 |
.岡崎さん |
| コメント |
. 真鯛3枚 チヌ2枚 鯵5匹くらい
3時上がりです 写真無し |
|
| |
|
|
日 時 |
.9月6日日曜日 |
| お名前 |
. |
| コメント |
. 今日は朝から晴れたり雨が降ったり 昼過ぎには
波浪警報が出ました。チヌの活性悪く 鯵はよく釣れます |
|
| |
|
 |
日 時 |
.9月5日土曜日 |
| お名前 |
.鈴木さん |
| コメント |
. イガイ |
|
| |
|
 |
日 時 |
..9月5日土曜日 |
| お名前 |
.鬼頭さん |
| コメント |
. |
|
| |
|
 |
日 時 |
..9月5日土曜日 |
| お名前 |
.工藤さん |
| コメント |
. イガイ |
|
| |
|
 |
日 時 |
.9月1日火曜日 |
| お名前 |
.丹賀さん |
| コメント |
. チヌ50p
イガイ
☆大チヌ撃沈! 伊勢海老 |
|
| |
|
 |
日 時 |
.9月1日火曜日 |
| お名前 |
.シューちゃん |
| コメント |
. 団子 |
|
 |
|
 |
日 時 |
.8月31日月曜日 |
| お名前 |
.小島さん |
| コメント |
. 真鯛59p |
|
| |
|
 |
日 時 |
.8月30日日曜日 |
| お名前 |
.塚本さん |
| コメント |
. 昼までイガイやったけど駄目でした
昼から団子で鯵の良いサイズが50匹くらい |
|
| |
|
 |
日 時 |
.8月28日金曜日 |
| お名前 |
.浅川さん |
| コメント |
. イガイ |
|
| |
|
|
日 時 |
.8月29日土曜日 |
| お名前 |
. |
| コメント |
. 今日は登さんイガイで挑戦しましたが
撃沈!でした。若潮なので
小西さんは鯵30匹くらい釣りました
けど今日の潮はめちゃくちゃ悪かった
台風も注意してください9月2日〜3日 |
|
 |
|
 |
日 時 |
.8月26日水曜日 |
| お名前 |
.熊崎さん |
| コメント |
. 鯵釣りは朝 爆釣でした 写真は明日 |
|
| |
|
 |
日 時 |
.8月24日月曜日 |
| お名前 |
.丹賀さん |
| コメント |
. 真鯛 クーラーボックスに1枚真鯛
イガイ 3回バラシ 馬場さんもバラシ |
|
| |
|
|
日 時 |
.8月20日木曜日 |
| お名前 |
. |
| コメント |
. 今日の1日は 朝の網上げで冷たい潮やなーと思ったけど
予想通り急激に下がってた!こんなことは初めて
青物も全く釣れなくなった 日によって変わるのが普通
黒潮の蛇行 |
|
| |
|
|
日 時 |
.8月17日月曜日 |
| お名前 |
. |
| コメント |
. 今日、朝桟橋からアクアリザスターで カンパチの子供
3枚釣りました。サバは跳ねてなかったです。
夕方に海女さんとしゃべってたら 牡蠣筏の後ろは潮が
流れてたけど、真ん中まで行ったら潮は止まっていた
そんな話 しました。潮が今日の14時くらいは上げ潮が
下げてました 黒潮の蛇行か? |
|
| |
|
|
日 時 |
.8月15日土曜日 |
| お名前 |
. |
| コメント |
. 今日は潮が悪かった! 鈴木さん大真鯛バラシ
鯵釣りの小西さんは10匹ちょっと!
朝一番で桟橋からアクアリザスターで鈴木さんよく当たりました |
|
| |
|
 |
日 時 |
.8月13日木曜日 |
| お名前 |
.丹賀さん |
| コメント |
.真鯛51p 1回ぶちぎられ
イガイ |
|
 
岡崎さんとナンチャン |
|
 |
日 時 |
.8月11日火曜日 |
| お名前 |
.ナンチャンと岡崎さん |
| コメント |
.チヌ49p 鯵も釣れた |
|
| |
|
 |
日 時 |
.8月9日日曜日 |
| お名前 |
.鈴鹿の伊藤さん |
| コメント |
. イガイ |
|
| |
|
 |
日 時 |
.8月9日日曜日 |
| お名前 |
.ショウヤ君 |
| コメント |
. 鯵釣り |
|
| |
|
 |
日 時 |
.8月9日日曜日 |
| お名前 |
.児山さん |
| コメント |
. イガイ 1枚は鈴木さんが釣りました |
|
| |
|
 |
日 時 |
.8月9日日曜日 |
| お名前 |
.鬼頭さん |
| コメント |
. イガイ |
|
| |
|
 |
日 時 |
.8月8日土曜日 |
| お名前 |
.児山さん |
| コメント |
. チヌ53p
イガイ
☆大チヌ撃沈! やっと年なし釣ってくれました |
|
| |
|
 |
日 時 |
.8月8日土曜日 |
| お名前 |
.登さん |
| コメント |
. イガイ |
|
| |
|
 |
日 時 |
.8月7日金曜日 |
| お名前 |
.舩橋さん |
| コメント |
. イガイ |
|
| |
|
 |
日 時 |
.8月7日金曜日 |
| お名前 |
.船頭 |
| コメント |
. 遊びで 鰆92p |
|
| |
|
 |
日 時 |
.8月1日土曜日 |
| お名前 |
.うえださん |
| コメント |
. 鯵釣り |
|
| |
|
 |
日 時 |
.8月1日土曜日 |
| お名前 |
.吉川さん |
| コメント |
. |
|
 |
|
 |
日 時 |
.7月28日火曜日 |
| お名前 |
.岡崎さん |
| コメント |
. 団子 鯵は なんぼでも釣れたみたい |
|
| |
|
 |
日 時 |
.7月27日月曜日 |
| お名前 |
.小島さん |
| コメント |
. 真鯛53p |
|
| |
|
 |
日 時 |
.7月26日日曜日 |
| お名前 |
.ショウヤ君と鯵釣り |
| コメント |
. アジ36p |
|
| |
|
 |
日 時 |
.7月25日土曜日 |
| お名前 |
.児山さん 鬼頭さん |
| コメント |
. イガイ |
|
| |
|
|
日 時 |
.7月22日水曜日 |
| お名前 |
. |
| コメント |
. この数日 水潮と大潮で牡蠣筏が下がったり
下げ潮が動かなかったり 変な潮でした
徐々に茶色の潮も透明になってきたようです |
|
| |
|
 |
日 時 |
.7月20日月曜日 |
| お名前 |
.しゅーちゃん |
| コメント |
. ヒラメ58p オキアミで 鯵7匹 |
|
| |
|
 |
日 時 |
.7月19日日曜日 |
| お名前 |
.工藤さん |
| コメント |
. チヌ44p
イガイ 他の人もイガイでバラシ |
|
 |
|
 |
日 時 |
.7月7日火曜日 |
| お名前 |
.岡崎さんとしゅーちゃん |
| コメント |
. チヌ48p 団子 |
|
| |
|
 |
日 時 |
.6月28日日曜日 |
| お名前 |
.中西君 |
| コメント |
. アジ31p 塚本さんはイガイで全く当たらなかった |
|
| |
|
 |
日 時 |
.6月27日土曜日 |
| お名前 |
.鬼頭さん |
| コメント |
. 団子とサバの泳がせ 他の人も釣ってました |
|
| |
|
 |
日 時 |
.6月27日土曜日 |
| お名前 |
.広瀬さん |
| コメント |
. サナギ |
|
| |
|
 |
日 時 |
.6月26日金曜日 |
| お名前 |
.高木さん |
| コメント |
. 舩橋さんも釣ってました 通り雨と雷で急遽撤収でした |
|
| |
|
 |
日 時 |
.6月13日土曜日 |
| お名前 |
.鈴木さん |
| コメント |
. 大真鯛69p
牡蠣チヌ サバがあふれてます |
|
| |
|
 |
日 時 |
.6月7日日曜日 |
| お名前 |
.山田さん |
| コメント |
. 団子 鯵は釣れませんでした |
|

真鍋さん 71p |
|
 |
日 時 |
.6月6日土曜日 |
| お名前 |
.眞鍋さん |
| コメント |
. 大真鯛71p 丹所さんヒラメ3回ぶちぎられ |
|
| |
|
|
日 時 |
.6月3日水曜日 |
| お名前 |
. |
| コメント |
. 今日ですべて 筏の移動は終わりました |
|
| |
|
|
日 時 |
.5月30日土曜日 |
| お名前 |
. |
| コメント |
. 今日で大村1線と2線の途中まで終わりました |
|
| |
|
 |
日 時 |
.5月18日月曜日 |
| お名前 |
. |
| コメント |
. 牡蠣チヌ |
|
| |
|
 |
日 時 |
..5月18日月曜日 |
| お名前 |
. |
| コメント |
. 団子で鯵ねらい |
|
| |
|
 |
日 時 |
.5月17日日曜日 |
| お名前 |
. |
| コメント |
. 鯵20匹くらい |
|
| |
|
 |
日 時 |
..5月17日日曜日 |
| お名前 |
. |
| コメント |
. チヌ47p |
|
| |
|
 |
日 時 |
..5月17日日曜日 |
| お名前 |
. |
| コメント |
. カワハギ37p |
|
| |
|
|
日 時 |
.5月16日土曜日 |
| お名前 |
. |
| コメント |
. 今日はチヌ釣れませんでした。
鯵は少ないけど、大型が釣れます
筏の移動は明日の移動でトヤ、小田の浜 納めます
大村は29日からです |
|
| |
|
 |
日 時 |
.5月13日水曜日 |
| お名前 |
. |
| コメント |
. チヌ52p
牡蠣チヌ |
|
| |
|
 |
日 時 |
.5月12日火曜日 |
| お名前 |
. |
| コメント |
. チヌ46p
牡蠣チヌ |
|
| |
|
 |
日 時 |
.5月12日火曜日 |
| お名前 |
. |
| コメント |
. 真鯛50p
牡蠣チヌ |
|
| |
|
 |
日 時 |
.5月10日日曜日 |
| お名前 |
. |
| コメント |
. チヌ51p
牡蠣チヌ |
|
| |
|
 |
日 時 |
.5月10日日曜日 |
| お名前 |
. |
| コメント |
. ショウヤ君 サビキ釣り |
|
| |
|
 |
日 時 |
.5月9日土曜日 |
| お名前 |
. |
| コメント |
. チヌ52p
牡蠣チヌ 今日も潮が早かった |
|
| |
|
 |
日 時 |
.5月9日土曜日 |
| お名前 |
. |
| コメント |
. チヌ48p |
|
| |
|
 |
日 時 |
.5月9日土曜日 |
| お名前 |
. |
| コメント |
. チヌ48p |
|
| |
|
 |
日 時 |
.5月8日金曜日 |
| お名前 |
. |
| コメント |
. 大真鯛69p チヌ48p
牡蠣チヌ |
|
| |
|
 |
日 時 |
.5月8日金曜日 |
| お名前 |
. |
| コメント |
. チヌ48p |
|
| |
|
 |
日 時 |
.5月7日木曜日 |
| お名前 |
. |
| コメント |
. チヌ47p
牡蠣チヌ |
|
| |
|
|
日 時 |
.5月1日金曜日 |
| お名前 |
. |
| コメント |
. 今日は暑かったです 小田の浜の2線もすべて
下げてきました。筏の移動が13日頃から始まります
分結はあちらこちらでやってる。釣りたいけど・・・・ |
|
| |
|
|
日 時 |
.4月29日水曜日 |
| お名前 |
. |
| コメント |
. 今日は1日気持ちの良い天気でした
小田の浜の2線の筏を下げてきました
又 小学校の休校も延期で嫌になってきます
観光の自粛も延期と違うかな? |
|
| |
|
|
日 時 |
.4月27日月曜日 |
| お名前 |
. |
| コメント |
. 分結も今日は多かった!今日は網とヒジキ狩り
で1日終わりました 地震が怖い |
|
| |
|
|
日 時 |
.4月26日日曜日 |
| お名前 |
. |
| コメント |
. 海の状態は変わってません チヌも薄いです
休業も延長しそうな感じ!
それよりも5月11日の地震が怖い |
|
| |
|
|
日 時 |
.4月24日金曜日 |
| お名前 |
. |
| コメント |
. 今日は大潮なので家族3人でヒジキ狩りに行ってきました
湾内静かで分結も少なく閑散としてました
他に何も無かった
地震も怖いです コロナも長引きそう |
|
| |
|
|
日 時 |
.4月20日月曜日 |
| お名前 |
. |
| コメント |
. 今日、急遽決まりました!
コロナウイルスの為、4月21日から
とりあえず5月6日まで休業します。
|
|
| |
|
 |
日 時 |
.4月19日日曜日 |
| お名前 |
.工藤さん |
| コメント |
. 牡蠣チヌ |
|
| |
|
 |
日 時 |
.4月19日日曜日 |
| お名前 |
.鬼頭さん |
| コメント |
. チヌ47p
牡蠣チヌ |
|
| |
|
 |
日 時 |
.4月18日土曜日 |
| お名前 |
.多頓会 清水さん 渡辺さん 清水さん年なしタモ入れ失敗 |
| コメント |
. 牡蠣チヌ スイッチ入ったけど・・・ |
|
| |
|
 |
日 時 |
.4月18日土曜日 |
| お名前 |
.船頭 |
| コメント |
. 桟橋の近くのカセ 15分で |
|
| |
|
|
日 時 |
.4月17日金曜日 |
| お名前 |
. |
| コメント |
. 今日はお客さん居なかったです
それよりコロナウイルスが大変です
それと地震も警戒してください
天気も落ち着きません 伊勢志摩も静かです |
|


丹賀さん 55.5p 54.5p 52p |
|
 |
日 時 |
.4月16日木曜日 |
| お名前 |
.丹賀さん |
| コメント |
. チヌ55.5p 54.5p 52p 48p
牡蠣チヌ
☆大チヌ撃沈! トリプル年なし |
|
| |
|
 |
日 時 |
.4月11日土曜日 |
| お名前 |
.牛島さん |
| コメント |
. チヌ51.5p
牡蠣チヌ
☆大チヌ撃沈! 今年の乗っ込みのスイッチは
入らないような気がしてきました |
|
| |
|
 |
日 時 |
.4月11日土曜日 |
| お名前 |
.長谷川さん |
| コメント |
. チヌ50.5p
牡蠣チヌ
☆大チヌ撃沈! |
|
| |
|
 |
日 時 |
.4月11日土曜日 |
| お名前 |
.鬼頭さん |
| コメント |
. チヌ47p
牡蠣チヌ |
|
| |
|
 |
日 時 |
.4月8日水曜日 |
| お名前 |
.黒谷さん |
| コメント |
. チヌ52.5p
牡蠣チヌ
☆大チヌ撃沈! 予定通り上げ潮の13時に釣れました |
|
| |
|
 |
日 時 |
.4月6日月曜日 |
| お名前 |
.丹賀さん |
| コメント |
. チヌ53p
牡蠣チヌ
☆大チヌ撃沈! 大風で潮が動かなくて最悪でした |
|

横幕さん 56.5p |
|
 |
日 時 |
.4月4日土曜日 |
| お名前 |
.横幕さん |
| コメント |
. チヌ56.5p
牡蠣チヌ
☆大チヌ撃沈! |
|
| |
|
 |
日 時 |
.4月3日金曜日 |
| お名前 |
.木下さん |
| コメント |
. 牡蠣チヌ 他の人も釣ってました
日曜日空いてます!! |
|
| |
|
 |
日 時 |
.4月3日金曜日 |
| お名前 |
.金久さん |
| コメント |
. 牡蠣チヌ |
|

高木さん 53.5p 50p |
|
 |
日 時 |
.4月2日木曜日 |
| お名前 |
.高木さん |
| コメント |
. チヌ53.5p 50p ダブル年なし
牡蠣チヌ
☆大チヌ撃沈! 大風の中 頑張ってくれました
どこでも釣れるようになってきました |
|
| |
|
 |
日 時 |
.4月1日水曜日 |
| お名前 |
.鈴鹿の伊藤さん |
| コメント |
. チヌ48p
牡蠣チヌ 橋の奥 |
|

岡崎さん 51p |
|
 |
日 時 |
.3月31日火曜日 |
| お名前 |
.岡崎さん |
| コメント |
. チヌ51p
牡蠣チヌ
☆大チヌ撃沈! |
|
| |
|
 |
日 時 |
.3月31日火曜日 |
| お名前 |
.門真の西村さん |
| コメント |
. チヌ50p
牡蠣チヌ
☆大チヌ撃沈! |
|

小島さん 52.5p |
|
 |
日 時 |
.3月30日月曜日 |
| お名前 |
.小島さん |
| コメント |
. チヌ52.5p
牡蠣チヌ
☆大チヌ撃沈! |
|

登さん 52p |
|
 |
日 時 |
.3月29日日曜日 |
| お名前 |
.登さん |
| コメント |
. チヌ52p
牡蠣チヌ
☆大チヌ撃沈! 大型2枚バラシの人もいました |
|
| |
|
 |
日 時 |
.3月29日日曜日 |
| お名前 |
.鈴木さん |
| コメント |
. 牡蠣チヌ 45pくらい 橋の奥 |
|
| |
|
 |
日 時 |
.3月29日日曜日 |
| お名前 |
.鬼頭さん |
| コメント |
.チヌ48p
牡蠣チヌ |
|

多頓会 清水さん 53.5p |
|
 |
日 時 |
.3月28日土曜日 |
| お名前 |
.清水さん |
| コメント |
. チヌ53.5p
牡蠣チヌ
☆大チヌ撃沈! ほかの2人もバラシあり |
|

多頓会 若林さん 55.5p |
|
 |
日 時 |
.3月26日木曜日 |
| お名前 |
.若林さん |
| コメント |
. チヌ55.5p
牡蠣チヌ
☆大チヌ撃沈! |
|
| |
|
 |
日 時 |
..3月26日木曜日 |
| お名前 |
.丹賀さん |
| コメント |
. チヌ45p
牡蠣チヌ |
|
| |
|
|
日 時 |
.3月23日月曜日 |
| お名前 |
. |
| コメント |
. 今日も船頭 試し釣りしました。
なかなかスイッチ入りません
|
|
| |
|
 |
日 時 |
.3月21日土曜日 |
| お名前 |
.193pの超人と |
| コメント |
. 22日は用事でお休みします |
|

熊崎さん 57p |
|
 |
日 時 |
.3月21日土曜日 |
| お名前 |
.熊崎さん |
| コメント |
. チヌ57p
牡蠣チヌ
☆大チヌ撃沈! |
|
| |
|
 |
日 時 |
.3月21日土曜日 |
| お名前 |
.江里口さん |
| コメント |
. チヌ47p
牡蠣チヌ |
|
| |
|
 |
日 時 |
.3月20日金曜日 |
| お名前 |
.登さん |
| コメント |
. チヌ56p
牡蠣チヌ
☆大チヌ撃沈! |
|
| |
|
 |
日 時 |
.3月19日木曜日 |
| お名前 |
. |
| コメント |
. チヌ52.5p
牡蠣チヌ |
|
| |
|
 |
日 時 |
.3月18日水曜日 |
| お名前 |
.刈谷の黒田さん |
| コメント |
. チヌ45p
牡蠣チヌ |
|
| |
|
 |
日 時 |
.3月15日日曜日 |
| お名前 |
.鈴木さん |
| コメント |
. チヌ52.5p
牡蠣チヌ
☆大チヌ撃沈! |
|
| |
|
 |
日 時 |
.3月9日月曜日 |
| お名前 |
.岩倉さん |
| コメント |
チヌ47p
牡蠣チヌ |
|
| |
|
 |
日 時 |
.3月9日月曜日 |
| お名前 |
.シューちゃん |
| コメント |
チヌ49.5p
牡蠣チヌ |
|
| |
|
 |
日 時 |
.3月3日火曜日 |
| お名前 |
.金久さん |
| コメント |
チヌ50p
牡蠣チヌ
☆大チヌ撃沈! |
|
| |
|
 |
日 時 |
.2月22日土曜日 |
| お名前 |
.工藤さん |
| コメント |
牡蠣チヌ |
|
| |
|
 |
日 時 |
.2月18日火曜日 |
| お名前 |
.高木さん |
| コメント |
巨大カワハギ34.5p チヌバラシ |
|
| |
|
|
日 時 |
.2月16日日曜日 |
| お名前 |
.鈴木さん |
| コメント |
赤灯台近くでアクアリザスターで
ブリ ぶちぎられました チヌもばらしか? |
|
| |
|
 |
日 時 |
.2月15日土曜日 |
| お名前 |
.舩橋さん |
| コメント |
牡蠣チヌ |
|
| |
|
 |
日 時 |
.2月15日土曜日 |
| お名前 |
.柴田さん |
| コメント |
牡蠣チヌ |
|
| |
|
 |
日 時 |
.2月12日水曜日 |
| お名前 |
.高木さん |
| コメント |
牡蠣チヌ 今日はお昼寝日和でした |
|
| |
|
 |
日 時 |
.2月11日火曜日 |
| お名前 |
. |
| コメント |
チヌ46p
牡蠣チヌ |
|
| |
|
 |
日 時 |
.2月10日月曜日 |
| お名前 |
.岡崎さん |
| コメント |
チヌ40p 45p
牡蠣チヌ |
|
| |
|
 |
日 時 |
.2月10日月曜日 |
| お名前 |
.岩佐さん |
| コメント |
牡蠣チヌ |
|
| |
|
 |
日 時 |
.2月4日火曜日 |
| お名前 |
. |
| コメント |
今日もアクアリザスターとチヌ釣りは
駄目でした |
|
| |
|
 |
日 時 |
.2月2日日曜日 |
| お名前 |
.鈴木さん |
| コメント |
今日はアクアリザスターもダメでした
昨日釣れた長谷川カセもチヌ釣れませんでした |
|

長谷川さん 51p |
|
 |
日 時 |
.2月1日土曜日 |
| お名前 |
.長谷川さん |
| コメント |
チヌ51p
牡蠣チヌ
☆大チヌ撃沈! 久しぶりの年なし |
|
| |
|
 |
日 時 |
.1月30日木曜日 |
| お名前 |
.丹賀さん |
| コメント |
チヌ47p
牡蠣チヌ |
|
| |
|
 |
日 時 |
.1月27日月曜日 |
| お名前 |
.登さん |
| コメント |
アクアリザスター |
|
| |
|
 |
日 時 |
.1月25日土曜日 |
| お名前 |
.鈴木さん |
| コメント |
アクアリザスター |
|
| |
|
 |
日 時 |
.1月20日月曜日 |
| お名前 |
.岡崎さん |
| コメント |
牡蠣チヌ |
|
| |
|
 |
日 時 |
.1月17日金曜日 |
| お名前 |
.津の後藤さん |
| コメント |
ミノー ワラサ?バラシ |
|
| |
|
 |
日 時 |
.1月15日水曜日 |
| お名前 |
.高木さん |
| コメント |
チヌ46p
牡蠣チヌ やっと釣ってくれました |
|
| |
|
 |
日 時 |
.1月13日月曜日 |
| お名前 |
.真鍋さん |
| コメント |
アクアリザスター 牡蠣チヌは釣れませんでした |
|
| |
|
 |
日 時 |
.1月12日日曜日 |
| お名前 |
.真鍋さん |
| コメント |
アクアリザスター ワラサ82p |
|
| |
|
 |
日 時 |
1月7日火曜日 |
| お名前 |
.岡崎さん |
| コメント |
チヌは釣れませんでした |
|
| |
|
 |
日 時 |
.1月6日月曜日 |
| お名前 |
.船頭 |
| コメント |
チヌ55p |
|
| |
|
 |
日 時 |
.1月4日土曜日 |
| お名前 |
.鈴木さん |
| コメント |
アクアリザスター 登さんも鰆釣りました |
|
| |
|
 |
日 時 |
.1月3日金曜日 |
| お名前 |
.鈴木さん 真鍋さん |
| コメント |
チヌ釣りのお客さんは駄目でした |
|
| |
|
 |
日 時 |
.1月2日木曜日 |
| お名前 |
.鈴木組 |
| コメント |
アクアリザスター |
|
| |
|
 |
日 時 |
.12月31日火曜日 |
| お名前 |
.門真の西村さん |
| コメント |
アクアリザスター |
|
| |
|
 |
日 時 |
.12月30日月曜日 |
| お名前 |
.眞鍋さん |
| コメント |
アクアリザスター |
|
| |
|
|
日 時 |
.12月29日日曜日 |
| お名前 |
.北名古屋市の伊藤さん |
| コメント |
写真が消えてしまいました。伊藤さんすいません
チヌ2枚 40センチくらい 牡蠣チヌ |
|
| |
|
 |
日 時 |
.12月29日日曜日 |
| お名前 |
.鈴木さん |
| コメント |
アクアリザスターでスズキ釣り
ぶり、鰆にぶちぎられた |
|
| |
|
 |
日 時 |
.12月22日日曜日 |
| お名前 |
.鈴木さん |
| コメント |
|
|
| |
|
 |
日 時 |
.12月22日日曜日 |
| お名前 |
.広瀬さん |
| コメント |
チヌ47p
もう1枚このチヌより大きいの水面バラシ 残念! |
|
| |
|
 |
日 時 |
.12月20日金曜日 |
| お名前 |
.眞鍋とーちゃん |
| コメント |
タイラバ |
|
| |
|
 |
日 時 |
.12月19日木曜日 |
| お名前 |
. |
| コメント |
|
|
| |
|
 |
日 時 |
.12月18日水曜日」 |
| お名前 |
.門真の西村さん |
| コメント |
2日目 3回ぶちぎられた |
|
| |
|
 |
日 時 |
.12月17日火曜日 |
| お名前 |
.門真の西村さん |
| コメント |
1日目 |
|
| |
|
 |
日 時 |
.12月16日月曜日 |
| お名前 |
.奥田さん |
| コメント |
|
|
 |
|
 |
日 時 |
.12月15日日曜日 |
| お名前 |
.眞鍋さん |
| コメント |
|
|
| |
|
 |
日 時 |
.12月14日土曜日 |
| お名前 |
.鈴木さん |
| コメント |
|
|
| |
|
 |
日 時 |
.12月14日土曜日 |
| お名前 |
.丹所さん |
| コメント |
牡蠣チヌ |
|
| |
|
 |
日 時 |
.12月5日木曜日 |
| お名前 |
.門真の西村さん |
| コメント |
チヌ56p
牡蠣チヌ
☆大チヌ撃沈! |
|
| |
|
 |
日 時 |
.12月3日火曜日 |
| お名前 |
.下呂の田口さん |
| コメント |
|
|
| |
|
 |
日 時 |
.11月30日土曜日 |
| お名前 |
.鈴木さんとショウヤ君 |
| コメント |
鯵釣り |
|
| |
|
 |
日 時 |
.11月29日金曜日 |
| お名前 |
.瑞穂の石黒さん |
| コメント |
牡蠣と団子で頑張ってくれました
鯵とカワハギが釣れました
サビキにオキアミを付けると
もっと釣れると言ってました
船頭は牡蠣が忙しいです
|
|
| |
|
|
日 時 |
.11月26日火曜日 |
| お名前 |
. |
| コメント |
今日のお客さんは牡蠣チヌで子チヌ
団子で良型鯵 でした。サビキで鯵も釣れました |
|
| |
|
 |
日 時 |
.11月23日土曜日 |
| お名前 |
.工藤さん |
| コメント |
鯵釣りと色々 |
|
| |
|
 |
日 時 |
.11月23日土曜日 |
| お名前 |
.小西さん |
| コメント |
鯵釣り |
|
 |
|
 |
日 時 |
.11月23日土曜日 |
| お名前 |
.岩佐さん |
| コメント |
半分牡蠣、半分鯵釣り |
|
| |
|
 |
日 時 |
.11月23日土曜日 |
| お名前 |
.中村さん |
| コメント |
牡蠣チヌ |
|
 |
|
 |
日 時 |
.11月17日日曜日 |
| お名前 |
.岩佐さん |
| コメント |
夕方鯵入れ食い |
|
| |
|
 |
日 時 |
.11月16日土曜日 |
| お名前 |
.工藤さん |
| コメント |
|
|
| |
|
 |
日 時 |
.11月16日土曜日 |
| お名前 |
.塚本さんと大西さん |
| コメント |
|
|
| |
|
 |
日 時 |
.11月13日水曜日 |
| お名前 |
.小西さん |
| コメント |
アジ120〜130匹 昼から4時半まで |
|
| |
|
 |
日 時 |
..11月13日水曜日 |
| お名前 |
.真鍋さん |
| コメント |
|
|
| |
|
 |
日 時 |
.11月11日月曜日 |
| お名前 |
.岐阜の小島さん |
| コメント |
牡蠣チヌ むいた牡蠣も売ってます |
|
| |
|
 |
日 時 |
.11月10日日曜日 |
| お名前 |
.ショウヤ君 |
| コメント |
1人で1時間くらい |
|
| |
|
 |
日 時 |
.11月8日金曜日 |
| お名前 |
.水谷さん |
| コメント |
牡蠣チヌ
広瀬さんも子チヌ20枚くらい即リリース |
|
| |
|
|
日 時 |
.11月6日水曜日 |
| お名前 |
.金久さん |
| コメント |
牡蠣チヌで小さいチヌ2枚
船頭は鯵釣り 入れ食い |
|
 |
|
 |
日 時 |
.11月5日火曜日 |
| お名前 |
.岡崎さん 3人 |
| コメント |
鯵は今しか釣れません チヌ13枚 |
|
| |
|
 |
日 時 |
.11月5日火曜日 |
| お名前 |
.下呂の田口さん |
| コメント |
牡蠣チヌ |
|
| |
|
|
日 時 |
.11月4日月曜日 |
| お名前 |
. |
| コメント |
今日はイガイのお客さんでしたが
見事に撃沈!でした。
ショウヤ君は神島に遊びに行って船頭が代わりに
鯵釣りに行って1時間で良型鯵100匹くらい釣りました
今だけ鯵が釣れるので、皆さん来てください |
|
| |
|
 |
日 時 |
.11月3日日曜日 |
| お名前 |
.鈴木さんとショウヤ君 |
| コメント |
昼1時〜4時まで |
|
 |
|
 |
日 時 |
.11月3日日曜日 |
| お名前 |
.宮崎さん |
| コメント |
今日はアジ釣りに来ました |
|
 |
|
 |
日 時 |
.11月2日土曜日 |
| お名前 |
.鈴木さんとショウヤ君 |
| コメント |
大鯵 3時間で100匹くらい
桶と船と合わせて
高野さんら4人で30p前後鯵沢山 |
|
 |
|
 |
日 時 |
.11月2日土曜日 |
| お名前 |
.真鍋さん |
| コメント |
タイラバ |
|
| |
|
 |
日 時 |
.11月1日金曜日 |
| お名前 |
.南さん |
| コメント |
牡蠣チヌで巨大カワハギ35p 大鯵も釣れてます |
|
| |
|
 |
日 時 |
.10月31日木曜日 |
| お名前 |
.塚本さん |
| コメント |
イガイと牡蠣チヌ |
|
| |
|
 |
日 時 |
10月30日4水曜日 |
| お名前 |
.若林さん |
| コメント |
チヌ48p
牡蠣チヌ |
|
| |
|
 |
日 時 |
.10月30日4水曜日 |
| お名前 |
.奈良の木下さん |
| コメント |
牡蠣チヌ |
|
| |
|
|
日 時 |
.10月28日月曜日 |
| お名前 |
. |
| コメント |
今日は佐分利さんバラシで終わりました
鯵は30p前後 よく釣れます
団子釣りもやってます |
|
| |
|
|
日 時 |
.10月24日木曜日 |
| お名前 |
. |
| コメント |
今日は朝から南東の風が吹いていました
小田の浜、大村島とも筏が揺れて牡蠣も上げることが
できませんでした。沖は凄くウネリがあって
台風が三重に来るみたいな海でした
ほとんど毎日釣りができません |
|
| |
|
 |
日 時 |
.10月23日水曜日 |
| お名前 |
.丹賀さん |
| コメント |
イガイ、牡蠣チヌ |
|
| |
|
 |
日 時 |
.10月22日火曜日 |
| お名前 |
. |
| コメント |
今日はお客さん延期してもらいました
けど天気が急速に回復!
船頭短時間で2枚 牡蠣チヌ
鯵は釣れませんでした
2か月スカりに入っていた鈴木さんのハリセンボン
海に放してやりました |
|
| |
|
|
日 時 |
.10月21日月曜日 |
| お名前 |
. |
| コメント |
今日は朝から段々と波が高くなってきました
11時に見に行ったときは時間の問題でした
昼12時半には強制撤収してもらいました
1時半には土砂降りの雨
1日最悪でした 牡蠣チヌで巨大カワハギ釣れてます |
|

塚本さん 69p |
|
 |
日 時 |
.10月20日日曜日 |
| お名前 |
.塚本さん |
| コメント |
大真鯛69p |
|
| |
|
|
日 時 |
.10月19日土曜日 |
| お名前 |
. |
| コメント |
やっと種差しも終わり 牡蠣上げが始まりました
イガイのお客さん何も当たらず、牡蠣チヌはすぐ釣れました
時間が変わりました |
|
| |
|
|
日 時 |
.10月16日水曜日 |
| お名前 |
. |
| コメント |
今日は金久さんに牡蠣チヌやってもらいました
巨大カワハギ2枚 大真鯛ぶちぎられ 残念! |
|
| |
|
|
日 時 |
.10月13日日曜日 |
| お名前 |
. |
| コメント |
今日は鈴木さんと2人の子供と鯵釣りを少しだけ
しました。小鯵も交じりながら大鯵も釣れて面白かったです
湾内は今日は茶色く濁ってました |
|
| |
|
|
日 時 |
.10月12日土曜日 |
| お名前 |
. |
| コメント |
今日の台風はすごかったです!
15時頃から少し静かになり、牡蠣いかだ
見に行きました。全然被害なく、 けど凄い風で
明日も大風の予報です
また釣りの状況も入れるので 見てください
牡蠣チヌは下旬頃からしたいです |
|
| |
|
 |
日 時 |
.10月7日月曜日 |
| お名前 |
.丹賀さん |
| コメント |
イガイ |
|
| |
|
 |
日 時 |
.10月6日日曜日 |
| お名前 |
.匠弥君 |
| コメント |
2時間鯵釣り入れ食いでした |
|
| |
|
 |
日 時 |
.10月5日土曜日 |
| お名前 |
.工藤さん |
| コメント |
大真鯛61.5p
イガイ 牡蠣チヌは10月中旬ごろです |
|
| |
|
 |
日 時 |
.10月5日土曜日 |
| お名前 |
.登さん |
| コメント |
大真鯛62p |
|

岡崎さん 50p |
|
 |
日 時 |
.10月1日火曜日 |
| お名前 |
.岡崎さん |
| コメント |
チヌ50p
イガイ
☆大チヌ撃沈! 牡蠣チヌは10月の中旬の予定です
皆さん釣りに来てね! |
|

佐分利さん 52.5p |
|
 |
日 時 |
.9月30日月曜日 |
| お名前 |
.佐分利さん |
| コメント |
チヌ52.5p 真鯛57p
イガイ
☆大チヌ撃沈! |
|
| |
|
 |
日 時 |
.9月30日月曜日 |
| お名前 |
.丹賀さん |
| コメント |
真鯛57p
イガイ |
|

伊藤さん 64p |
|
 |
日 時 |
.9月29日日曜日 |
| お名前 |
.鈴鹿の伊藤さん |
| コメント |
大真鯛64p
イガイ |
|

牛島さん 51p |
|
 |
日 時 |
.9月28日土曜日 |
| お名前 |
.牛島さん |
| コメント |
チヌ51p
イガイ
☆大チヌ撃沈! |
|

岩佐さん2人で |
|
 |
日 時 |
.9月28日土曜日 |
| お名前 |
.岩佐さん2人で |
| コメント |
20p〜30p |
|
| |
|
 |
日 時 |
.9月27日金曜日 |
| お名前 |
.水野さん |
| コメント |
イガイ |
|
| |
|
|
日 時 |
.9月23日月曜日 |
| お名前 |
. |
| コメント |
何の被害もなく良かったです。吹き返しの風も15時くらいで
収まり、べたべたになりました
また、チヌ、鯵もたくさん釣れたらいいのに! |
|
| |
|
|
日 時 |
.9月22日日曜日 |
| お名前 |
. |
| コメント |
土曜日の朝10時くらいからウネリが出てきて
今日は1日波が高かったです。夕方、石鏡に行ってきました
凄い波でした |
|
| |
|
|
日 時 |
.9月20日金曜日 |
| お名前 |
.鈴木さん |
| コメント |
今日はチヌ1 真鯛1でした。明日から3日間お客さん
日延べしてもらいました |
|
| |
|
 |
日 時 |
.9月19日木曜日 |
| お名前 |
.福山さん |
| コメント |
チヌ47p |
|
| |
|
 |
日 時 |
.9月19日木曜日 |
| お名前 |
.丹賀さん |
| コメント |
チヌ47p |
|
| |
|
 |
日 時 |
.9月17日火曜日 |
| お名前 |
.岐阜の小島さん |
| コメント |
船頭も鯵釣りで1匹も釣れませんでした |
|

鈴木さん 51.5p |
|
 |
日 時 |
.9月16日月曜日 |
| お名前 |
.鈴木さん |
| コメント |
チヌ51.5p
イガイ
☆大チヌ撃沈! 鯵も釣れます |
|
| |
|
 |
日 時 |
.9月15日日曜日 |
| お名前 |
.村上さん |
| コメント |
チヌ48p |
|
| |
|
 |
日 時 |
..9月15日日曜日 |
| お名前 |
.牛島さん |
| コメント |
イガイ |
|

岡崎さん 71p |
|
 |
日 時 |
.9月10日火曜日 |
| お名前 |
.岡崎さん |
| コメント |
大真鯛71p 今日も活性良かった |
|
| |
|
 |
日 時 |
..9月10日火曜日 |
| お名前 |
.けんちゃん |
| コメント |
鯵釣り |
|
| |
|
 |
日 時 |
.9月9日月曜日 |
| お名前 |
.佐分利さん |
| コメント |
大真鯛78p
イガイ 9月7日に岩佐さんチヌゲット! |
|

丹賀さん 70p |
|
 |
日 時 |
.9月6日金曜日 |
| お名前 |
.丹賀さん |
| コメント |
大真鯛70p 何回バラシたかは言いません |
|
| |
|
 |
日 時 |
.9月4日水曜日 |
| お名前 |
.塚本さん |
| コメント |
大真鯛78p 上げるのに10分くらいかかりました |
|
| |
|
 |
日 時 |
.9月1日日曜日 |
| お名前 |
.岐阜の小島さん |
| コメント |
|
|
| |
|
 |
日 時 |
.8月31日土曜日 |
| お名前 |
.岩佐さん |
| コメント |
|
|
| |
|
 |
日 時 |
.8月28日水曜日 |
| お名前 |
.鈴鹿の伊藤さん |
| コメント |
イガイ |
|
| |
|
 |
日 時 |
.8月27日火曜日 |
| お名前 |
.長谷川さん |
| コメント |
チヌ54p
イガイ
☆大チヌ撃沈! 今日は大真鯛掛かりませんでした |
|

岡崎さん 48p |
|
 |
日 時 |
..8月27日火曜日 |
| お名前 |
.岡崎さん |
| コメント |
団子 鯵狙いでした |
|
鯵 2時間で100匹くらい釣りました
船頭と匠弥君で |
|
 |
日 時 |
.8月25日日曜日 |
| お名前 |
.鈴木さん |
| コメント |
イガイ |
|
| |
|
 |
日 時 |
.8月25日日曜日 |
| お名前 |
.前川さん |
| コメント |
チヌ48.5p
イガイ |
|
 
ハリセンボン イガイ |
|
 |
日 時 |
.8月24日土曜日 |
| お名前 |
.鈴木さん |
| コメント |
イガイ 大真鯛ばらしか? |
|
| |
|
 |
日 時 |
.8月24日土曜日 |
| お名前 |
.岩佐さん |
| コメント |
イガイ |
|
| |
|
 |
日 時 |
.8月23日金曜日 |
| お名前 |
.後藤さん |
| コメント |
石鯛52.5p
イガイ 今日は石鯛を狙いに来ました |
|
| 大真鯛バラシ警報! |
|
 |
日 時 |
.8月18日日曜日 |
| お名前 |
.後藤さん |
| コメント |
大真鯛69p
イガイ ぶちぎられ |
|
| |
|
 |
日 時 |
.8月18日日曜日 |
| お名前 |
.塚本さん |
| コメント |
イガイ 3回ぶちぎられました |
|
| |
|
 |
日 時 |
.8月18日日曜日 |
| お名前 |
.鬼頭さん |
| コメント |
イガイ 児山さん3回ぶちぎられ |
|

岩佐さん 53.5p |
|
 |
日 時 |
.8月18日日曜日 |
| お名前 |
.岩佐さん |
| コメント |
チヌ53.5p
イガイ
☆大チヌ撃沈! |
|
| |
|
 |
日 時 |
.8月12日月曜日 |
| お名前 |
.岩佐さん |
| コメント |
イガイ |
|
| もう記録は抜かれることは無いでしょう! |
|
 |
日 時 |
.8月11日日曜日 |
| お名前 |
.鈴木さん |
| コメント |
大真鯛91p 1枚目 |
|
| |
|
 |
日 時 |
..8月11日日曜日 |
| お名前 |
.鈴木さん |
| コメント |
大真鯛68p 2枚目 |
|
| |
|
 |
日 時 |
.8月10日土曜日 |
| お名前 |
.工藤さん |
| コメント |
イガイ |
|
| |
|
 |
日 時 |
.8月7日水曜日 |
| お名前 |
.岡崎さん |
| コメント |
イガイ |
|
| |
|
 |
日 時 |
.8月7日水曜日 |
| お名前 |
.しゅーちゃん |
| コメント |
今日はアジ釣り |
|
| |
|
 |
日 時 |
.8月7日水曜日 |
| お名前 |
.けんちゃん |
| コメント |
今日はアジ釣り |
|
| |
|
 |
日 時 |
.8月4日日曜日 |
| お名前 |
.鈴木さんと真鍋さん |
| コメント |
イガイ |
|
| |
|
 |
日 時 |
.8月3日土曜日 |
| お名前 |
.鈴木さん |
| コメント |
チヌ50.5p
イガイ
☆大チヌ撃沈! |
|
| |
|
 |
日 時 |
.7月30日火曜日 |
| お名前 |
.近藤さん |
| コメント |
イガイ |
|
| |
|
 |
日 時 |
.7月29日月曜日 |
| お名前 |
.熊崎さん |
| コメント |
イガイ |
|
| |
|
 |
日 時 |
.7月28日日曜日 |
| お名前 |
.工藤さん |
| コメント |
チヌ50.2p
イガイ
☆大チヌ撃沈! ただいま大真鯛注意報が出ています |
|
| |
|
 |
日 時 |
.7月28日日曜日 |
| お名前 |
.登さん |
| コメント |
イガイ |
|
| |
|
 |
日 時 |
.7月24日水曜日 |
| お名前 |
.丹賀さん |
| コメント |
イガイ 今日は大真鯛は来ませんでした |
|
| |
|
 |
日 時 |
.7月23日火曜日 |
| お名前 |
.塚本さん |
| コメント |
大真鯛65p 3回ぶちぎられました
イガイ |
|
| |
|
 |
日 時 |
.7月21日日曜日 |
| お名前 |
.鈴木さん |
| コメント |
チヌ53.5p 53p
イガイ
☆大チヌ撃沈! 今日は大真鯛は掛かりませんでした |
|
| |
|
 |
日 時 |
.7月21日日曜日 |
| お名前 |
.岩佐さん |
| コメント |
|
|
| |
|
 |
日 時 |
.7月21日日曜日 |
| お名前 |
.鈴鹿の伊藤さん |
| コメント |
イガイ |
|
| |
|
 |
日 時 |
.7月20日土曜日 |
| お名前 |
.工藤さん |
| コメント |
.イガイ 大真鯛ぶちぎれました |
|
| |
|
 |
日 時 |
.7月20日土曜日 |
| お名前 |
.登さん |
| コメント |
.イガイ |
|
| |
|
|
日 時 |
.7月17日水曜日 |
| お名前 |
. |
| コメント |
.今日はお客さんアジが沢山釣れました |
|
| |
|
 |
日 時 |
.7月16日火曜日 |
| お名前 |
.けんいち君 |
| コメント |
. |
|
| |
|
 |
日 時 |
.7月16日火曜日 |
| お名前 |
.岡崎さん |
| コメント |
.イガイ |
|
| |
|
 |
日 時 |
7月14日日曜日 |
| お名前 |
伊藤さん |
| コメント |
チヌ54p
イガイ |
|
| |
|
 |
日 時 |
.7月8日月曜日 |
| お名前 |
.奥田さん |
| コメント |
. |
|
| |
|
 |
日 時 |
.7月7日日曜日 |
| お名前 |
.塚本さん 中西さん |
| コメント |
. |
|
| |
|
 |
日 時 |
.7月2日火曜日 |
| お名前 |
.岡崎さん |
| コメント |
.イガイ 船頭もアジ釣りで1時間で12匹 良型 |
|
| |
|
|
日 時 |
.7月1日月曜日 |
| お名前 |
. |
| コメント |
.松岡さんも今日はアジが沢山釣れました |
|
| |
|
 |
日 時 |
.6月30日日曜日 |
| お名前 |
.小島さん |
| コメント |
. |
|
| |
|
 |
日 時 |
.6月30日日曜日 |
| お名前 |
. |
| コメント |
. |
|
| |
|
 |
日 時 |
.6月22日土曜日 |
| お名前 |
.後藤さん |
| コメント |
.チヌ47p |
|
| |
|
 |
日 時 |
.6月22日土曜日 |
| お名前 |
.長谷川さん |
| コメント |
.オキアミ ヒラメはサバの泳がし |
|

伊藤さん |
|
 |
日 時 |
.6月16日日曜日 |
| お名前 |
.伊藤さん |
| コメント |
. |
|
| |
|
 |
日 時 |
.6月7日金曜日 |
| お名前 |
.西村さん |
| コメント |
.チヌ55p
牡蠣チヌ
☆大チヌ撃沈! 真鍋さんは1枚釣りました |
|

鈴木さん 55p |
|
 |
日 時 |
.6月4日火曜日 |
| お名前 |
.鈴木さん |
| コメント |
.チヌ55p
☆大チヌ撃沈! |
|
| |
|
 |
日 時 |
.5月25日土曜日
|
| お名前 |
.丹賀さん |
| コメント |
.チヌ48p
牡蠣チヌ |
|
| |
|
 |
日 時 |
.5月8日水曜日 |
| お名前 |
.丹賀さん |
| コメント |
.チヌ48.5p
牡蠣チヌ 58pくらいのチヌバラシました |
|

児山さん 52.5p |
|
 |
日 時 |
.5月4日土曜日 |
| お名前 |
.児山さん |
| コメント |
.チヌ52.5p
牡蠣チヌ
☆大チヌ撃沈! |
|
| |
|
|
日 時 |
.5月3日金曜日 |
| お名前 |
. |
| コメント |
.今日は全員撃沈!でした |
|

奥田さん 52p 50p |
|
 |
日 時 |
.5月2日木曜日 |
| お名前 |
.奥田さん |
| コメント |
.チヌ52p 50p
牡蠣チヌ
☆大チヌ撃沈! |
|
| |
|
|
日 時 |
.4月29日月曜日
|
| お名前 |
. |
| コメント |
.今日は全員撃沈!でした |
|

鈴木さん 56p |
|
 |
日 時 |
.4月28日日曜日 |
| お名前 |
.鈴木さん |
| コメント |
.チヌ56p
牡蠣チヌ
☆大チヌ撃沈! |
|
| |
|
 |
日 時 |
..4月28日日曜日 |
| お名前 |
.工藤さん |
| コメント |
.チヌ48p
牡蠣チヌ |
|
| |
|
 |
日 時 |
..4月28日日曜日 |
| お名前 |
.小西さん |
| コメント |
.真鯛67p
牡蠣チヌ |
|
 |
|
 |
日 時 |
.4月23日火曜日 |
| お名前 |
.コンちゃん |
| コメント |
.チヌ53p
牡蠣チヌ
☆大チヌ撃沈! 皆さん団子釣りはしないみたい!
大チヌ釣れるかも? |
|
| |
|
 |
日 時 |
.4月23日火曜日 |
| お名前 |
.岡崎さん |
| コメント |
.チヌ54p
牡蠣チヌ
☆大チヌ撃沈! |
|
 |
|
 |
日 時 |
.4月23日火曜日 |
| お名前 |
.佐藤さん |
| コメント |
.牡蠣チヌ
大チヌバラシ |
|

鈴木さん 50p |
|
 |
日 時 |
.4月22日月曜日 |
| お名前 |
.鈴木さん |
| コメント |
.チヌ50p
牡蠣チヌ
☆大チヌ撃沈! バラシ |
|
 |
|
 |
日 時 |
.4月22日月曜日 |
| お名前 |
.小島さん |
| コメント |
.チヌ49p
牡蠣チヌ |
|
| |
|
 |
日 時 |
.4月20日土曜日 |
| お名前 |
.岩佐さん |
| コメント |
.牡蠣チヌ |
|
| |
|
 |
日 時 |
..4月20日土曜日 |
| お名前 |
.柘植さん |
| コメント |
.牡蠣チヌ |
|
| |
|
 |
日 時 |
.4月19日金曜日 |
| お名前 |
.舩橋さん |
| コメント |
.牡蠣チヌ |
|

丹賀さん 52.5p 52p |
|
 |
日 時 |
.4月18日木曜日 |
| お名前 |
.丹賀さん |
| コメント |
.チヌ52.5p 52p
牡蠣チヌ
☆大チヌ撃沈! |
|
| |
|
 |
日 時 |
.4月18日木曜日 |
| お名前 |
.北岡さん |
| コメント |
.牡蠣チヌ |
|
| |
|
 |
日 時 |
.4月17日水曜日 |
| お名前 |
.しまださん |
| コメント |
.牡蠣チヌ 大きいのバラシか? |
|
| |
|
 |
日 時 |
.4月17日水曜日 |
| お名前 |
.木下さん |
| コメント |
.牡蠣チヌ |
|
| |
|
 |
日 時 |
.4月16日火曜日 |
| お名前 |
.岡崎さん |
| コメント |
.チヌ49p
牡蠣チヌ |
|
| |
|
|
日 時 |
.4月15日月曜日 |
| お名前 |
. |
| コメント |
.今日はお客さんいませんでした
暴風でした。 |
|
 |
|
 |
日 時 |
.4月14日日曜日 |
| お名前 |
.工藤さん |
| コメント |
.チヌ54p
牡蠣チヌ
☆大チヌ撃沈! |
|
 |
|
 |
日 時 |
.4月14日日曜日 |
| お名前 |
.登さん |
| コメント |
.チヌ50.5p
牡蠣チヌ
☆大チヌ撃沈! |
|
| |
|
 |
日 時 |
.4月14日日曜日 |
| お名前 |
.浅井さん |
| コメント |
.チヌ53p
牡蠣チヌ
☆大チヌ撃沈! |
|
| |
|
 |
日 時 |
.4月13日土曜日 |
| お名前 |
.後藤さん |
| コメント |
.牡蠣チヌ |
|
| |
|
 |
日 時 |
.4月13日土曜日 |
| お名前 |
.平野さん |
| コメント |
.牡蠣チヌ
チヌ49.5p |
|
| |
|
 |
日 時 |
.4月13日土曜日 |
| お名前 |
.鬼頭さん |
| コメント |
.牡蠣チヌ |
|

白仁田さん 50.5p |
|
 |
日 時 |
.4月12日金曜日 |
| お名前 |
.白仁田さん |
| コメント |
.ちぬ50.5p
牡蠣チヌ
☆大チヌ撃沈! 日によって釣れる場所が変わります
頑張って釣ってください |
|

鈴木さん 50p |
|
 |
日 時 |
.4月12日金曜日 |
| お名前 |
.鈴木さん |
| コメント |
.チヌ50p
牡蠣チヌ
☆大チヌ撃沈! |
|
 |
|
 |
日 時 |
.4月9日火曜日 |
| お名前 |
.しまださん |
| コメント |
.チヌ47.5p
牡蠣チヌ |
|
| |
|
 |
日 時 |
.4月9日火曜日 |
| お名前 |
.木下さん |
| コメント |
.牡蠣チヌ |
|

西村さん 55p |
|
 |
日 時 |
.4月8日月曜日 |
| お名前 |
.西村さん |
| コメント |
.チヌ55p
牡蠣チヌ
☆大チヌ撃沈! |
|
| |
|
 |
日 時 |
.4月7日日曜日 |
| お名前 |
.鈴木さん |
| コメント |
.牡蠣チヌ |
|
| |
|
 |
日 時 |
.4月7日日曜日 |
| お名前 |
.酒井さん |
| コメント |
.真鯛59p
牡蠣チヌ |
|
| |
|
 |
日 時 |
.4月7日日曜日 |
| お名前 |
.関さん |
| コメント |
.牡蠣チヌ |
|
| |
|
 |
日 時 |
.4月6日土曜日 |
| お名前 |
.村木さん |
| コメント |
.牡蠣チヌ |
|
| |
|
|
日 時 |
.4月4日、5日 |
| お名前 |
. |
| コメント |
.お休みします |
|
| |
|
|
日 時 |
.4月3日水曜日 |
| お名前 |
. |
| コメント |
.名人2人 頑張ってくれましたが、撃沈! |
|

岡崎さん 51p 51p |
|
 |
日 時 |
.4月2日火曜日 |
| お名前 |
.岡崎さん |
| コメント |
.チヌ51p 51p
牡蠣チヌ
☆大チヌ撃沈! バラシあり |
|

こんちゃん 50.5p |
|
 |
日 時 |
.4月2日火曜日 |
| お名前 |
.こんちゃん |
| コメント |
.チヌ50.5p
牡蠣チヌ
☆大チヌ撃沈! ちぬ子釣りで釣りました |
|
| |
|
|
日 時 |
.4月1日月曜日 |
| お名前 |
. |
| コメント |
.全員撃沈! すごく寒かった! |
|
| |
|
 |
日 時 |
.3月31日日曜日 |
| お名前 |
.真鍋さん |
| コメント |
.牡蠣チヌ 今日は凄く寒かったです。そして、チヌも
スイッチ入りません! |
|

ちぬ子 50p |
|
 |
日 時 |
.3月29日金曜日 |
| お名前 |
.ちぬ子 |
| コメント |
.チヌ50p
☆大チヌ撃沈! 今日の釣りは4月25日発売の
ちぬ倶楽部で掲載されます。 |
|
| |
|
 |
日 時 |
.3月29日金曜日 |
| お名前 |
.後藤さん |
| コメント |
.牡蠣チヌ |
|
| |
|
 |
日 時 |
.3月28日木曜日 |
| お名前 |
.丹賀さん |
| コメント |
.チヌ48p
牡蠣チヌ |
|
| |
|
 |
日 時 |
.3月27日水曜日 |
| お名前 |
.金久さん |
| コメント |
.真鯛57p
牡蠣チヌ |
|
| |
|
 |
日 時 |
.3月27日水曜日 |
| お名前 |
.鈴鹿の伊藤さん |
| コメント |
.チヌ47p
牡蠣チヌ |
|
| |
|
 |
日 時 |
.3月27日水曜日 |
| お名前 |
.中村さん |
| コメント |
.牡蠣チヌ |
|

クーラーボックスに入れてあったチヌ |
|
 |
日 時 |
.3月22日金曜日 |
| お名前 |
.澤田さん |
| コメント |
.チヌ50p
牡蠣チヌ
☆大チヌ撃沈! 夕方から爆風になりました |
|

奥田さん 55p |
|
 |
日 時 |
.3月20日水曜日 |
| お名前 |
.奥田さん |
| コメント |
.チヌ55p
牡蠣チヌ
☆大チヌ撃沈! |
|
| |
|
 |
日 時 |
..3月20日水曜日 |
| お名前 |
.鈴木さん |
| コメント |
.牡蠣チヌ |
|
| |
|
 |
日 時 |
..3月20日水曜日 |
| お名前 |
.黒谷さん |
| コメント |
.牡蠣チヌ |
|
| |
|
 |
日 時 |
.3月17日日曜日 |
| お名前 |
. |
| コメント |
.牡蠣チヌ |
|
| |
|
 |
日 時 |
.3月16日土曜日 |
| お名前 |
.浅川さん |
| コメント |
.牡蠣チヌ |
|

水野さん 50.5p |
|
 |
日 時 |
.3月15日金曜日 |
| お名前 |
.水野さん |
| コメント |
.チヌ50.5p
牡蠣チヌ
☆大チヌ撃沈! |
|

岡崎さん 50.5p |
|
 |
日 時 |
.3月12日水曜日 |
| お名前 |
.岡崎さん |
| コメント |
.チヌ50.5p
牡蠣チヌ
☆大チヌ撃沈! |
|
| |
|
 |
日 時 |
.3月12日水曜日 |
| お名前 |
.下呂の田口さん |
| コメント |
.牡蠣チヌ |
|
| |
|
 |
日 時 |
.3月12日水曜日 |
| お名前 |
.中家さん |
| コメント |
.牡蠣チヌ |
|
| |
|
 |
日 時 |
.3月12日水曜日 |
| お名前 |
.尾張黒鯛クラブ 野村さん |
| コメント |
.牡蠣チヌ |
|

鈴木さん 51.5p 50.5p |
|
 |
日 時 |
.3月10日日曜日 |
| お名前 |
.鈴木さん |
| コメント |
.チヌ51.5p 50.5p
牡蠣チヌ
☆大チヌ撃沈! |
|

秋田さん 50.3p |
|
 |
日 時 |
..3月10日日曜日
|
| お名前 |
.秋田さん |
| コメント |
.チヌ50.3p
牡蠣チヌ
☆大チヌ撃沈! |
|
| |
|
 |
日 時 |
.3月9日土曜日 |
| お名前 |
.若林さん |
| コメント |
.牡蠣チヌ |
|
| |
|
 |
日 時 |
.3月8日金曜日 |
| お名前 |
.西村さん |
| コメント |
.チヌ51p
牡蠣チヌ
☆大チヌ撃沈! |
|
| |
|
 |
日 時 |
.3月5日火曜日 |
| お名前 |
.下呂の田口さん |
| コメント |
.牡蠣チヌ |
|
| |
|
 |
日 時 |
.3月5日火曜日 |
| お名前 |
.金久さん |
| コメント |
.牡蠣チヌ |
|
| |
|
 |
日 時 |
.3月2日土曜日 |
| お名前 |
.丹所さん |
| コメント |
.牡蠣チヌ |
|
| |
|
 |
日 時 |
.2月28日木曜日 |
| お名前 |
.門真の西村さん |
| コメント |
.チヌ50p
牡蠣チヌ
☆大チヌ撃沈! 2日目 |
|
| |
|
 |
日 時 |
.2月27日水曜日 |
| お名前 |
.門真の西村さん |
| コメント |
.チヌ50.5p
牡蠣チヌ
☆大チヌ撃沈! |
|

金久さん 51.5p |
|
 |
日 時 |
.2月26日火曜日 |
| お名前 |
.金久さん |
| コメント |
.チヌ51.5p
牡蠣チヌ
☆大チヌ撃沈! |
|
| |
|
 |
日 時 |
..2月26日火曜日 |
| お名前 |
.下呂の田口さん |
| コメント |
.牡蠣チヌ |
|
 |
|
 |
日 時 |
.2月24日日曜日 |
| お名前 |
.工藤さん |
| コメント |
.チヌ49p 48p
牡蠣チヌ |
|

白仁田さん 51.5p |
|
 |
日 時 |
.2月23日土曜日 |
| お名前 |
.白仁田さん |
| コメント |
.チヌ51.5p
牡蠣チヌ
☆大チヌ撃沈! 1枚バラシ |
|

長谷川さん 51.5p |
|
 |
日 時 |
.2月22日金曜日 |
| お名前 |
.長谷川さん |
| コメント |
.チヌ51.5p
牡蠣チヌ
☆大チヌ撃沈! もう1匹ストリンガーから逃げました |
|
| |
|
 |
日 時 |
.2月18日月曜日 |
| お名前 |
.岡崎さん |
| コメント |
.牡蠣チヌ |
|
  |
|
 |
日 時 |
.2月13日水曜日 |
| お名前 |
. 吉田さん |
| コメント |
.牡蠣チヌ |
|
| |
|
 |
日 時 |
.2月12日火曜日 |
| お名前 |
.下呂の田口さん |
| コメント |
.チヌ46.5p
牡蠣チヌ 1枚バラシ |
|
  |
|
 |
日 時 |
.2月12日火曜日 |
| お名前 |
.真鍋とーちゃん |
| コメント |
.ぶり |
|

匠弥君が頑張って釣りました |
|
 |
日 時 |
.2月9日土曜日 |
| お名前 |
.落合さん |
| コメント |
.チヌ48p 47p
牡蠣チヌ |
|
| |
|
 |
日 時 |
..2月9日土曜日 |
| お名前 |
.市川さん |
| コメント |
.牡蠣チヌ 橋の奥 初めて牡蠣チヌ |
|

夕方30分 |
|
 |
日 時 |
.2月8日金曜日 |
| お名前 |
.船頭 |
| コメント |
.お客さんは残念ながら釣れませんでした |
|
| |
|
 |
日 時 |
.2月7日木曜日 |
| お名前 |
.北岡さん |
| コメント |
.チヌ45.5p
牡蠣チヌ |
|
| |
|
 |
日 時 |
.2月7日木曜日 |
| お名前 |
.伊藤さん |
| コメント |
.牡蠣チヌ |
|

岡崎さん 50.5p |
|
 |
日 時 |
.2月5日火曜日 |
| お名前 |
.岡崎さん |
| コメント |
.チヌ50.5p
牡蠣チヌ
☆大チヌ撃沈! |
|

田口さん 50p |
|
 |
日 時 |
.2月5日火曜日 |
| お名前 |
.下呂の田口さん |
| コメント |
.チヌ50p
牡蠣チヌ
☆大チヌ撃沈! 3回バラシ |
|
| |
|
 |
日 時 |
.2月3日日曜日 |
| お名前 |
.秋田さん |
| コメント |
.チヌ46.5p
牡蠣チヌ 1枚バラシ |
|
| |
|
 |
日 時 |
.2月2日土曜日 |
| お名前 |
.丹所さん |
| コメント |
.チヌ40p
牡蠣チヌ |
|
| |
|
 |
日 時 |
.1月29日火曜日 |
| お名前 |
.西村さん |
| コメント |
.チヌ48.5p
牡蠣チヌ |
|
| |
|
 |
日 時 |
.1月26日土曜日 |
| お名前 |
.長谷川さん |
| コメント |
.チヌ45p
牡蠣チヌ 雪が降る中、頑張ってくれました |
|

後藤さん 51.5p |
|
 |
日 時 |
.1月25日金曜日 |
| お名前 |
.後藤さん |
| コメント |
.チヌ51.5p
牡蠣チヌ
☆大チヌ撃沈! 頑張ってくれました |
|
| |
|
 |
日 時 |
.1月22日火曜日 |
| お名前 |
.下呂の田口さん |
| コメント |
.チヌ45.5p また来てね |
|

丹所さん 50.2p |
|
 |
日 時 |
.1月19日土曜日 |
| お名前 |
.丹所さん |
| コメント |
.チヌ50.2p
牡蠣チヌ
☆大チヌ撃沈! 今年初年無し |
|
| |
|
 |
日 時 |
.1月13日日曜日 |
| お名前 |
.北名古屋市の伊藤さん |
| コメント |
.大チヌバラシました |
|
| |
|
 |
日 時 |
.1月11日金曜日 |
| お名前 |
. |
| コメント |
.鰆84p 今日は丹賀さん46番で頑張ってくれたけど
フグだけでした |
|
| |
|
 |
日 時 |
.1月10日木曜日 |
| お名前 |
. |
| コメント |
.1時間くらい 70p |
|
| |
|
 |
日 時 |
.1月9日水曜日 |
| お名前 |
.船頭 |
| コメント |
.1時間くらい |
|
| |
|
 |
日 時 |
.1月8日火曜日 |
| お名前 |
.船頭 |
| コメント |
.1時間くらい |
|
| |
|
 |
日 時 |
.1月4日金曜日 |
| お名前 |
.登さん |
| コメント |
.牡蠣チヌ |
|
| |
|
 |
日 時 |
.12月31日月曜日 |
| お名前 |
.船頭 |
| コメント |
.朝1時間くらい |
|
| |
|
 |
日 時 |
.12月30日日曜日 |
| お名前 |
.鈴木さん、真鍋さん |
| コメント |
. |
|
  |
|
 |
日 時 |
.12月28日金曜日 |
| お名前 |
.落合さん、白仁田さん |
| コメント |
.風が強かったので、橋の下と橋の奥に乗りました |
|
| |
|
 |
日 時 |
.12月25日火曜日 |
| お名前 |
.塚本さん |
| コメント |
.チヌ46.5p
牡蠣チヌ |
|
| |
|
 |
日 時 |
.12月22日土曜日 |
| お名前 |
.北名古屋市 |
| コメント |
.伊藤さん |
|
| |
|
 |
日 時 |
. |
| お名前 |
. |
| コメント |
. |
|
| |
|
 |
日 時 |
. |
| お名前 |
. |
| コメント |
. |
|
| |
|
 |
日 時 |
.12月16日日曜日 |
| お名前 |
.立松さん |
| コメント |
.やっと46番に乗ることができました。 |
|
| |
|
 |
日 時 |
.12月15日土曜日 |
| お名前 |
.佐分利さん |
| コメント |
.チヌ43p 橋の奥 |
|
 |
|
 |
日 時 |
.12月12日水曜日 |
| お名前 |
.川島さん |
| コメント |
.チヌ49.7p
牡蠣チヌ 橋の下 |
|
| |
|
 |
日 時 |
.12月12日水曜日 |
| お名前 |
.村上さん |
| コメント |
.牡蠣チヌ 橋の奥 |
|
| |
|
 |
日 時 |
.12月7日金曜日 |
| お名前 |
.塚本さん |
| コメント |
.牡蠣チヌ 5日、6日の釣果は船頭ブログです
今日は暴風予報でしたがあまり吹きませんでした |
|
| |
|
 |
日 時 |
.12月2日日曜日 |
| お名前 |
.真鍋さん |
| コメント |
. |
|
| |
|
 |
日 時 |
.12月2日日曜日
|
| お名前 |
お客さん |
| コメント |
.牡蠣チヌで40p 初めて見ました |
|
| |
|
 |
日 時 |
.12月1日土曜日 |
| お名前 |
.北名古屋市の伊藤さん |
| コメント |
.牡蠣チヌ |
|

塚本さん 53.5p |
|
 |
日 時 |
.11月30日金曜日 |
| お名前 |
.塚本さん |
| コメント |
.チヌ53.5p
牡蠣チヌ
☆大チヌ撃沈! |
|
| |
|
 |
日 時 |
.11月30日金曜日 |
| お名前 |
.河野さん |
| コメント |
.チヌ47.5p
牡蠣チヌ |
|

岡崎さん 50.2p |
|
 |
日 時 |
.11月27日火曜日 |
| お名前 |
.岡崎さん |
| コメント |
.チヌ50.2p
牡蠣チヌ
☆大チヌ撃沈! |
|
| |
|
 |
日 時 |
.11月27日火曜日 |
| お名前 |
.しゅーちゃん |
| コメント |
. |
|
| |
|
 |
日 時 |
.11月25日日曜日 |
| お名前 |
.寺島さん |
| コメント |
.チヌ47p
牡蠣チヌ 相方も2回バラシ 灯台の回り好調!! |
|
| |
|
 |
日 時 |
.11月25日日曜日 |
| お名前 |
.藤原さん |
| コメント |
.牡蠣チヌ 49p |
|
| |
|
 |
日 時 |
.11月25日日曜日
|
| お名前 |
.塚本さん |
| コメント |
.牡蠣チヌ |
|
| |
|
 |
日 時 |
.11月24日土曜日 |
| お名前 |
.小川さん |
| コメント |
.チヌ52.5p
牡蠣チヌ
☆大チヌ撃沈! |
|
| |
|
 |
日 時 |
.11月24日土曜日
|
| お名前 |
.登さん |
| コメント |
.チヌ48p
牡蠣チヌ |
|
| |
|
 |
日 時 |
.11月18日日曜日 |
| お名前 |
.水谷さん |
| コメント |
.牡蠣チヌ |
|
| |
|
 |
日 時 |
.11月18日日曜日 |
| お名前 |
.工藤さん |
| コメント |
.牡蠣チヌ
カワハギ36p |
|
| |
|
 |
日 時 |
.11月17日土曜日 |
| お名前 |
.松原さん |
| コメント |
.団子 |
|
| |
|
 |
日 時 |
..11月17日土曜日 |
| お名前 |
.児山さん |
| コメント |
.アジ狙いで団子釣り |
|
| |
|
 |
日 時 |
.11月16日金曜日 |
| お名前 |
.ちぬ子 |
| コメント |
.牡蠣チヌ また来てね! |
|
| |
|
 |
日 時 |
.11月16日金曜日 |
| お名前 |
.大野さん |
| コメント |
.牡蠣チヌ また来てね! |
|
| |
|
 |
日 時 |
.11月15日木曜日 |
| お名前 |
.四日市の山田さん |
| コメント |
.チヌ2回バラシ
牡蠣チヌ |
|
 |
|
 |
日 時 |
.11月14日水曜日 |
| お名前 |
. |
| コメント |
.今日は鯵釣りのお客さんだけでした
2時間くらい入れ食いでした
3人で119匹釣れました |
|

岡崎さん 団子、チヌ竿で |
|
 |
日 時 |
.11月12日月曜日 |
| お名前 |
.岡崎さん |
| コメント |
.団子釣り 明日から時間変更になります |
|

塚本さん 52p |
|
 |
日 時 |
.11月11日日曜日 |
| お名前 |
.塚本さん |
| コメント |
.チヌ52p
牡蠣チヌ
☆大チヌ撃沈! |
|
| |
|
 |
日 時 |
.11月8日木曜日 |
| お名前 |
.金久さん |
| コメント |
.牡蠣チヌ |
|
| |
|
 |
日 時 |
.11月8日木曜日 |
| お名前 |
.下さん |
| コメント |
.アジ釣り |
|
| |
|

|
日 時 |
.11月8日木曜日 |
| お名前 |
.津の後藤さん |
| コメント |
.アジ釣り |
|
| |
|
 |
日 時 |
.11月6日火曜日 |
| お名前 |
.津の後藤さん |
| コメント |
.今日の最長のアジは28p (最高34p) |
|
| |
|
 |
日 時 |
.11月5日月曜日 |
| お名前 |
.名古屋の後藤さん |
| コメント |
.アジの引きが面白い |
|
| |
|
 |
日 時 |
.11月4日日曜日 |
| お名前 |
.匠弥君 |
| コメント |
.30pくらいのアジ 毎日釣れてます |
|
| |
|
 |
日 時 |
.11月3日土曜日 |
| お名前 |
.真鍋さん |
| コメント |
.チヌ50p
牡蠣チヌ
☆大チヌ撃沈! 大アジ釣れてます |
|
| |
|
 |
日 時 |
..11月3日土曜日 |
| お名前 |
.ぎんぴかクラブ |
| コメント |
. |
|
| |
|
 |
日 時 |
..11月3日土曜日 |
| お名前 |
.ぎんぴかクラブ |
| コメント |
. |
|
| |
|
 |
日 時 |
.11月1日木曜日 |
| お名前 |
.奥田さん |
| コメント |
. |
|

北岡さん 58p |
|
 |
日 時 |
.10月30日火曜日 |
| お名前 |
.北岡さん |
| コメント |
.牡蠣チヌ |
|
| |
|
 |
日 時 |
.10月29日月曜日 |
| お名前 |
.小川さん |
| コメント |
. |
|
| |
|
 |
日 時 |
.10月29日月曜日 |
| お名前 |
.丹賀さん |
| コメント |
. |
|

鈴木さん 50.2p |
|
 |
日 時 |
.10月28日日曜日 |
| お名前 |
.鈴木さん |
| コメント |
.チヌ50.2p
☆大チヌ撃沈! |
|
| |
|
 |
日 時 |
.10月28日日曜日 |
| お名前 |
.員弁の後藤さん |
| コメント |
. |
|
| |
|
 |
日 時 |
.10月27日土曜日 |
| お名前 |
.浅川さん |
| コメント |
. |
|
| |
|
 |
日 時 |
.10月27日土曜日
|
| お名前 |
.なんちゃん |
| コメント |
. |
|
| |
|
 |
日 時 |
.10月26日金曜日 |
| お名前 |
.塚本さん |
| コメント |
.チヌ48.5p |
|
| |
|
 |
日 時 |
.10月26日金曜日 |
| お名前 |
.奥田さん |
| コメント |
. |
|
| |
|
 |
日 時 |
.10月25日木曜日 |
| お名前 |
.福山さん |
| コメント |
. |
|
| |
|
 |
日 時 |
.10月24日水曜日 |
| お名前 |
.小島さん |
| コメント |
.真鯛53p チヌ47p |
|
| |
|
 |
日 時 |
.10月23日火曜日 |
| お名前 |
.岡崎さん |
| コメント |
.イガイ |
|

舩橋さん 52.5p |
|
 |
日 時 |
.10月22日月曜日 |
| お名前 |
.舩橋さん |
| コメント |
.チヌ52.5p
牡蠣チヌ
☆大チヌ撃沈!今季初の牡蠣チヌ年無し |
|
| |
|
 |
日 時 |
.10月21日日曜日 |
| お名前 |
.登さんと工藤さん |
| コメント |
.まだ大真鯛がいます |
|
| |
|
 |
日 時 |
.10月21日日曜日 |
| お名前 |
.鈴鹿の伊藤さん |
| コメント |
.牡蠣チヌ |
|
| |
|
 |
日 時 |
.10月16日火曜日 |
| お名前 |
.北岡さん |
| コメント |
.チヌ46p
牡蠣チヌ
大チヌバラシ |
|
| |
|
|
日 時 |
.10月15日月曜日 |
| お名前 |
. |
| コメント |
.今日は小田の浜で丹賀さん、牡蠣チヌで3枚 |
|
| |
|
 |
日 時 |
.10月14日日曜日 |
| お名前 |
.塚本さん |
| コメント |
.鈴木さん、真鍋さん チヌ7枚 |
|
| |
|
 |
日 時 |
.10月14日日曜日 |
| お名前 |
.名古屋の伊藤さん |
| コメント |
.牡蠣チヌ
チヌ47p 大チヌバラシ |
|
| |
|
 |
日 時 |
.10月14日日曜日
|
| お名前 |
.鈴鹿の伊藤さん |
| コメント |
. |
|
| |
|
 |
日 時 |
.10月13日土曜日 明日から時間変更です |
| お名前 |
.若林さん |
| コメント |
.昨日の若林さんの釣果です
今日は牛島さんが釣ってました
忙しくて写真は無しです
携帯もLINEもすべて復活しました |
|
| |
|
|
日 時 |
.10月12日 |
| お名前 |
. |
| コメント |
.今日の夕方、海に携帯を落としてしまいました
代替えの携帯なので2,3日間LINEができません
携帯番号は変わりません |
|
| |
|
 |
日 時 |
.10月9日火曜日 |
| お名前 |
.小島さん |
| コメント |
.牡蠣チヌ 今日は大真鯛バラシの人と大チヌバラシの
人がいました 船頭ブログも見てね |
|
| |
|
 |
日 時 |
.10月8日月曜日 |
| お名前 |
.奥田さん |
| コメント |
.船頭ブログも見てね! |
|

塚本さん 真鯛60p
|
|
 |
日 時 |
.10月8日月曜日
|
| お名前 |
.塚本さん |
| コメント |
.真鯛60p |
|
| |
|
 |
日 時 |
.10月7日日曜日 |
| お名前 |
.登さん |
| コメント |
.明日は鯵釣りのお客さんがいます |
|
| |
|
 |
日 時 |
.10月7日日曜日
|
| お名前 |
.奥田さん |
| コメント |
. |
|
| |
|
 |
日 時 |
.10月3日水曜日 |
| お名前 |
.若林さん |
| コメント |
.牡蠣チヌ 今季初めての牡蠣チヌの釣果 |
|
| |
|
 |
日 時 |
.9月28日金曜日 |
| お名前 |
.児山さん |
| コメント |
. |
|

塚本さん 56p |
|
 |
日 時 |
.9月23日日曜日 |
| お名前 |
.塚本さん |
| コメント |
.真鯛56p 牡蠣の水揚げが28日〜始まります
|
|
| |
|
 |
日 時 |
.9月23日日曜日 |
| お名前 |
.石本さん |
| コメント |
.チヌ2枚 |
|
| |
|
 |
日 時 |
.9月18日水曜日 |
| お名前 |
.こんちゃん |
| コメント |
. |
|

塚本さん 51.5p |
|
 |
日 時 |
.9月16日日曜日 |
| お名前 |
.塚本さん |
| コメント |
.チヌ51.5p 他の人の釣果は船頭ブログで
イガイ
☆大チヌ撃沈! 今季イガイで初年無し! |
|
| |
|
 |
日 時 |
.9月15日土曜日 |
| お名前 |
.工藤さん |
| コメント |
.真鯛60p 早上がり |
|
| |
|
|
日 時 |
.9月14日金曜日 |
| お名前 |
. |
| コメント |
.17日月曜日は爆釣祈願に行きますので、お休みします
今日は若林さん、鈴鹿の伊藤さん頑張ってくれました
1匹ずつでした カセはウネリがあって大変でした
牡蠣揚げは26日頃の予定です。すぐに牡蠣チヌを
したいと思います。挑戦してください |
|
| |
|
 |
日 時 |
.9月11日火曜日 |
| お名前 |
.岡崎さん |
| コメント |
. |
|

奥田さん 大真鯛76p
|
|
 |
日 時 |
.9月11日火曜日 |
| お名前 |
.奥田さん |
| コメント |
.大真鯛76p |
|
| |
|
 |
日 時 |
.9月9日日曜日 |
| お名前 |
.富田さん イガイ |
| コメント |
.バラシありました 団子でも釣れます |
|
| |
|
 |
日 時 |
..9月8日土曜日 |
| お名前 |
.児山さんと鬼頭さん |
| コメント |
.バラシあり |
|
 |
|
 |
日 時 |
.9月7日金曜日 |
| お名前 |
.塚本さん |
| コメント |
. |
|
| |
|
 |
日 時 |
.9月7日金曜日 |
| お名前 |
.中西さん |
| コメント |
. |
|
| |
|
 |
日 時 |
.9月2日日曜日 |
| お名前 |
.江本さん |
| コメント |
. |
|
| |
|
 |
日 時 |
..9月2日日曜日 |
| お名前 |
.鈴木さん |
| コメント |
. |
|
| |
|
 |
日 時 |
.8月31日金曜日 |
| お名前 |
.近藤さん |
| コメント |
. |
|
| |
|
 |
日 時 |
.8月29日水曜日 |
| お名前 |
. |
| コメント |
. |
|
| |
|
 |
日 時 |
.8月27日月曜日 |
| お名前 |
.鈴木さん |
| コメント |
. |
|
| |
|
 |
日 時 |
.8月26日日曜日 |
| お名前 |
.塚本さん |
| コメント |
.魔の日曜日! |
|
| |
|
 |
日 時 |
.8月25日土曜日 |
| お名前 |
.児山さん |
| コメント |
.ストリンガーからチヌ3枚脱走!大真鯛バラシ |
|
| |
|
 |
日 時 |
.8月25日土曜日 |
| お名前 |
.鬼頭さん |
| コメント |
.真鯛63pくらい |
|
| |
|
|
日 時 |
.8月23日 |
| お名前 |
. |
| コメント |
.湾内情報を船頭ブログに載せるので、見てください |
|

塚本さん 81p 74.5p |
|
 |
日 時 |
.8月17日金曜日 |
| お名前 |
.塚本さん |
| コメント |
.大真鯛81p 74.5p 盆と正月とゴールデンウィークがいっぺんに来ました! 船頭も嬉しい! |
|
| |
|
 |
日 時 |
.8月17日金曜日 |
| お名前 |
.児山さん |
| コメント |
.チヌ49p 他の方も釣ってました |
|
| |
|
 |
日 時 |
.8月14日火曜日 |
| お名前 |
.鈴木さん |
| コメント |
...急ですが、8月18日〜21日までお休みします
団子釣りでも沢山釣れると思います。来てね! |
|
| |
|
|
日 時 |
.8月13日月曜日 |
| お名前 |
. |
| コメント |
.今日の釣果は船頭ブログで・・・・ |
|
| |
|
 |
日 時 |
.8月12日日曜日 |
| お名前 |
.鈴木さん |
| コメント |
. |
|
| |
|
 |
日 時 |
.8月12日日曜日 |
| お名前 |
.工藤さん |
| コメント |
. |
|
| |
|
|
日 時 |
. |
| お名前 |
. |
| コメント |
.急ですが、8月18日〜21日までお休みします
団子釣りでも沢山釣れると思います。来てね! |
|
| |
|
 |
日 時 |
.8月9日木曜日 |
| お名前 |
.富田さん |
| コメント |
.今日は大真鯛は掛かりませんでした |
|
| |
|
 |
日 時 |
.8月7日火曜日 |
| お名前 |
.岡崎さん |
| コメント |
.真鯛61p 大真鯛やられました |
|
| |
|
 |
日 時 |
.8月6日月曜日 |
| お名前 |
.中野さん |
| コメント |
.たくさんバラシたようです |
|

村木さん 80p |
|
 |
日 時 |
.8月4日土曜日 |
| お名前 |
.村木さん |
| コメント |
.大真鯛80p |
|
| |
|
 |
日 時 |
.8月4日土曜日 |
| お名前 |
.児山さん |
| コメント |
.真鯛54p |
|
| |
|
 |
日 時 |
.8月3日金曜日 |
| お名前 |
.鈴木さん |
| コメント |
.真鯛57p |
|
| |
|
 |
日 時 |
.8月2日木曜日 |
| お名前 |
.熊崎さん |
| コメント |
.大真鯛66p 時々船頭ブログで報告します。見てね |
|

木下さん 58p |
|
 |
日 時 |
..8月2日木曜日 |
| お名前 |
.木下さん |
| コメント |
.真鯛58p |
|
| |
|
 |
日 時 |
..8月2日木曜日 |
| お名前 |
.金久さん |
| コメント |
. |
|
| |
|
 |
日 時 |
.7月31日火曜日 |
| お名前 |
. |
| コメント |
.3回バラシ |
|
| |
|
|
日 時 |
. |
| お名前 |
. |
| コメント |
.7月29日は台風報告をします
船頭ブログを見てください |
|
| |
|
 |
日 時 |
.7月25日水曜日 |
| お名前 |
.金久さん |
| コメント |
.丸貝 |
|
| |
|
 |
日 時 |
.7月23日月曜日 |
| お名前 |
.佐野さん |
| コメント |
. |
|
| |
|
 |
日 時 |
.7月23日月曜日 |
| お名前 |
.馬場さん |
| コメント |
. |
|
| |
|
 |
日 時 |
.7月20日金曜日 |
| お名前 |
.ちぬ子さん |
| コメント |
.大真鯛やられました |
|
| |
|
 |
日 時 |
.7月20日金曜日 |
| お名前 |
.後藤さん |
| コメント |
. |
|
| |
|
 |
日 時 |
.7月20日金曜日 |
| お名前 |
.大西さん |
| コメント |
. |
|
| |
|
 |
日 時 |
.7月19日木曜日 |
| お名前 |
.佐分利さん |
| コメント |
.大真鯛バラシ |
|
| |
|
 |
日 時 |
.7月18日水曜日 |
| お名前 |
. |
| コメント |
.今日も大真鯛2人バラシ バラシ警報! |
|
| |
|
 |
日 時 |
.7月17日火曜日 |
| お名前 |
.松岡さん |
| コメント |
.真鯛57p 大真鯛バラシ |
|
| |
|
 |
日 時 |
.7月16日月曜日 |
| お名前 |
.鈴木さん |
| コメント |
. |
|

浅川さん 83p |
|
 |
日 時 |
.7月14日土曜日 |
| お名前 |
.浅川さん |
| コメント |
.大真鯛83p 他2つバラシ |
|
| |
|
 |
日 時 |
.7月14日土曜日 |
| お名前 |
.真鍋さん |
| コメント |
.チヌ45p 大真鯛もバラシ |
|

佐分利さん 66p |
|
 |
日 時 |
.7月12日木曜日 |
| お名前 |
.佐分利さん |
| コメント |
.大真鯛66p |
|
| |
|
 |
日 時 |
.7月11日水曜日 |
| お名前 |
.奥田さん |
| コメント |
.他の方も釣ってました |
|
| |
|
 |
日 時 |
.7月11日水曜日 |
| お名前 |
.中村さん |
| コメント |
.大真鯛66p 大真鯛2回バラシ |
|
| |
|
 |
日 時 |
.7月1日日曜日 |
| お名前 |
.長谷川さん |
| コメント |
. |
|
| |
|
 |
日 時 |
.7月1日日曜日 |
| お名前 |
.奥田さん |
| コメント |
. |
|
| |
|
 |
日 時 |
.6月21日木曜日 |
| お名前 |
.佐分利さん |
| コメント |
.他に何回かひったくり ありました |
|
| |
|
 |
日 時 |
.6月7日木曜日 |
| お名前 |
.佐分利さん |
| コメント |
.牡蠣チヌ 久しぶりのお客さんでした。
大真鯛バラシ |
|
| |
|
 |
日 時 |
.5月26日土曜日 |
| お名前 |
.鈴木さん |
| コメント |
.大真鯛82p
牡蠣チヌ
☆大真鯛撃沈! |
|
| |
|
 |
日 時 |
.5月6日日曜日 |
| お名前 |
.水谷さん |
| コメント |
.チヌ43p
牡蠣チヌ |
|
| |
|
 |
日 時 |
.5月4日金曜日 |
| お名前 |
.鈴木さん |
| コメント |
.牡蠣チヌ |
|

岡崎じーちゃん 57.5p |
|
 |
日 時 |
.5月1日火曜日 |
| お名前 |
.岡崎じーちゃん |
| コメント |
.チヌ57.5p
牡蠣チヌ
☆大チヌ撃沈! 又、大型出ました。船頭最高です! |
|
| |
|
 |
日 時 |
.5月1日火曜日 |
| お名前 |
.なんちゃん |
| コメント |
.牡蠣チヌ |
|

鈴木さん 53p |
|
 |
日 時 |
.4月30日月曜日 |
| お名前 |
.鈴木さん |
| コメント |
.チヌ53p
牡蠣チヌ
☆大チヌ撃沈! |
|
| |
|
 |
日 時 |
.4月30日月曜日 |
| お名前 |
.鬼頭さん |
| コメント |
.牡蠣チヌ 他の人も巨大カワハギ釣ってました |
|

児山さん 53p |
|
 |
日 時 |
.4月29日日曜日 |
| お名前 |
.児山さん |
| コメント |
.チヌ53p 49p
牡蠣チヌ
☆大チヌ撃沈! |
|

後藤さん 51.5p |
|
 |
日 時 |
.4月27日金曜日 |
| お名前 |
.後藤さん |
| コメント |
.チヌ51.5p 49p
牡蠣チヌ
☆大チヌ撃沈! |
|

こんちゃん 51p |
|
 |
日 時 |
.4月24日火曜日 |
| お名前 |
.コンちゃん |
| コメント |
.チヌ51p
牡蠣チヌ
☆大チヌ撃沈! |
|
| |
|
 |
日 時 |
.4月24日火曜日 |
| お名前 |
.佐藤さん |
| コメント |
.チヌ47p
牡蠣チヌ たくさんバラシ |
|

真鍋さん 50.3p |
|
 |
日 時 |
.4月22日日曜日 |
| お名前 |
.真鍋さん |
| コメント |
.チヌ50.3p
牡蠣チヌ
☆大チヌ撃沈! |
|
| |
|
 |
日 時 |
.4月22日日曜日 |
| お名前 |
.清水さん |
| コメント |
.真鯛56.5p
牡蠣チヌ |
|
| |
|
 |
日 時 |
.4月22日日曜日 |
| お名前 |
.北岡さん |
| コメント |
.牡蠣チヌ |
|
| |
|
 |
日 時 |
.4月21日土曜日 |
| お名前 |
. |
| コメント |
.牡蠣チヌ |
|
| |
|
 |
日 時 |
.4月21日土曜日 |
| お名前 |
.前川さん |
| コメント |
.牡蠣チヌ |
|
| |
|
 |
日 時 |
.4月20日金曜日 |
| お名前 |
.舩橋さん |
| コメント |
.牡蠣チヌ |
|
| |
|
 |
日 時 |
.4月20日金曜日 |
| お名前 |
.若林さん |
| コメント |
牡蠣チヌ |
|

福田君 55p |
|
 |
日 時 |
.4月19日木曜日 |
| お名前 |
.福田君 |
| コメント |
.チヌ55p
牡蠣チヌ
☆大チヌ撃沈! |
|

木下さん 51p |
|
 |
日 時 |
.4月19日木曜日 |
| お名前 |
.木下さん |
| コメント |
.チヌ51p
牡蠣チヌ
☆大チヌ撃沈! |
|
| |
|
 |
日 時 |
.4月19日木曜日 |
| お名前 |
.金久さん |
| コメント |
.牡蠣チヌ |
|
| |
|
 |
日 時 |
.4月18日水曜日 |
| お名前 |
.鈴木さん |
| コメント |
.チヌ49.5p
牡蠣チヌ |
|
| |
|
 |
日 時 |
.4月17日火曜日 |
| お名前 |
.岡崎さん、けんいち君 |
| コメント |
.牡蠣チヌ 鈴木も釣れました |
|

北岡さん 57p 51.5p |
|
 |
日 時 |
.4月16日月曜日 |
| お名前 |
.北岡さん |
| コメント |
.チヌ57p、51.5p
牡蠣チヌ
☆大チヌ撃沈! |
|
| |
|
 |
日 時 |
.4月16日月曜日 |
| お名前 |
.馬場さん |
| コメント |
.チヌ49.5p
牡蠣チヌ |
|

小島さん 50.7p |
|
 |
日 時 |
.4月16日月曜日 |
| お名前 |
.小島さん |
| コメント |
.チヌ50.7p
牡蠣チヌ
☆大チヌ撃沈! |
|

佐野さん 51p |
|
 |
日 時 |
.4月16日月曜日 |
| お名前 |
.佐野さん |
| コメント |
.チヌ51p
牡蠣チヌ
☆大チヌ撃沈! |
|

塚本さん 54p 51p |
|
 |
日 時 |
.4月15日日曜日 |
| お名前 |
.塚本さん |
| コメント |
.チヌ54p 51p
牡蠣チヌ
☆大チヌ撃沈! 今日は1日暴風でした。 |
|

前川さん 52p |
|
 |
日 時 |
.4月14日土曜日 |
| お名前 |
.前川さん |
| コメント |
.チヌ52p
牡蠣チヌ
☆大チヌ撃沈! |
|
| |
|
 |
日 時 |
.4月14日土曜日 |
| お名前 |
.長谷川さん |
| コメント |
.牡蠣チヌ |
|

ちぬ子さん 51p |
|
 |
日 時 |
.4月13日金曜日 |
| お名前 |
.ちぬ子さん |
| コメント |
.チヌ51p
牡蠣チヌ
☆大チヌ撃沈! |
|
 
若林さん 63p若林さんの写真です |
|
 |
日 時 |
.4月13日金曜日 |
| お名前 |
.若林さん |
| コメント |
.チヌ55p、54p、52p 大真鯛63p
牡蠣チヌ
☆大真鯛、大チヌ撃沈! 写真ぼけてしまいました |
|
| |
|
 |
日 時 |
.4月13日金曜日 |
| お名前 |
.水谷さん |
| コメント |
.牡蠣チヌ |
|

坂本さん 50.3p |
|
 |
日 時 |
.4月12日木曜日 |
| お名前 |
.坂本さん |
| コメント |
.チヌ50.3p
牡蠣チヌ
☆大チヌ撃沈! バラシも沢山ありました |
|
| |
|
 |
日 時 |
.4月12日木曜日 |
| お名前 |
.たんがさん |
| コメント |
.牡蠣チヌ |
|
| |
|
 |
日 時 |
.4月12日木曜日 |
| お名前 |
.真鍋のとーちゃん |
| コメント |
.タイラバ |
|

小島さん 64p |
|
 |
日 時 |
.4月10日火曜日 |
| お名前 |
.小島さん |
| コメント |
.大真鯛64p
牡蠣チヌ
☆大真鯛撃沈! |
|

中村さん 51.5p |
|
 |
日 時 |
..4月10日火曜日 |
| お名前 |
.中村さん |
| コメント |
.チヌ51.5p
牡蠣チヌ
☆大チヌ撃沈! |
|
| |
|
 |
日 時 |
..4月10日火曜日 |
| お名前 |
.岡崎さん |
| コメント |
.牡蠣チヌ |
|

ゴトーさん 55.5p 51.3p
|
|
 |
日 時 |
.4月9日月曜日 |
| お名前 |
.ゴトーさん |
| コメント |
.チヌ55.5p 51.3p
牡蠣チヌ
☆大チヌ撃沈! |
|
| |
|
 |
日 時 |
.4月9日月曜日 |
| お名前 |
.金久さん |
| コメント |
.牡蠣チヌ |
|

北岡さん 51.5p |
|
 |
日 時 |
.4月8日日曜日 |
| お名前 |
.北岡さん |
| コメント |
.チヌ51.5p
牡蠣チヌ
☆大チヌ撃沈! |
|

土田さん 51p |
|
 |
日 時 |
.4月8日日曜日 |
| お名前 |
.土田さん |
| コメント |
.チヌ51p
牡蠣チヌ
☆大チヌ撃沈! |
|

真鍋さん 50.5p |
|
 |
日 時 |
.4月8日日曜日 |
| お名前 |
.真鍋さん |
| コメント |
.チヌ50.5p
牡蠣チヌ
☆大チヌ撃沈! |
|

工藤さん 51p 50.3p |
|
 |
日 時 |
.4月7日土曜日 |
| お名前 |
.工藤さん |
| コメント |
.チヌ51p 50.3p
牡蠣チヌ
☆大チヌ撃沈! 橋の下でも上がりだしました |
|

浅川さん 53.5p |
|
 |
日 時 |
.4月6日金曜日 |
| お名前 |
.浅川さん |
| コメント |
.チヌ53.5p
牡蠣チヌ
☆大チヌ撃沈! |
|
| |
|
 |
日 時 |
.4月6日金曜日 |
| お名前 |
.後藤さん |
| コメント |
.牡蠣チヌ |
|

たんがさん 51.7p |
|
 |
日 時 |
.4月4日水曜日 |
| お名前 |
.たんがさん |
| コメント |
.チヌ51.7p
牡蠣チヌ
☆大チヌ撃沈! |
|
| |
|
 |
日 時 |
.4月4日水曜日 |
| お名前 |
.福田さん |
| コメント |
.牡蠣チヌ 年なしが無かったので顔写真は無し |
|
| |
|
 |
日 時 |
.4月3日火曜日 |
| お名前 |
.黒谷さん |
| コメント |
.牡蠣チヌ |
|

木下さん 50.5p |
|
 |
日 時 |
.4月3日火曜日 |
| お名前 |
.木下さん |
| コメント |
.チヌ50.5p
牡蠣チヌ
☆大チヌ撃沈! |
|
| |
|
 |
日 時 |
.4月3日火曜日 |
| お名前 |
. |
| コメント |
.牡蠣チヌ |
|
| |
|
 |
日 時 |
.4月3日火曜日 |
| お名前 |
. |
| コメント |
.牡蠣チヌ |
|
| |
|
 |
日 時 |
.4月2日月曜日 |
| お名前 |
ゴトーさん |
| コメント |
.チヌ49p
牡蠣チヌ 大チヌ2回バラシ |
|
| |
|
 |
日 時 |
..4月2日月曜日 |
| お名前 |
.西村さん |
| コメント |
.チヌ49.3p
牡蠣チヌ |
|
| |
|
 |
日 時 |
..4月2日月曜日 |
| お名前 |
. |
| コメント |
.牡蠣チヌ |
|
| |
|
 |
日 時 |
.4月1日日曜日 |
| お名前 |
.松谷さん |
| コメント |
.真だい55p
牡蠣チヌ |
|
| |
|
 |
日 時 |
.3月31日土曜日 |
| お名前 |
.北岡さん |
| コメント |
.チヌ49p
牡蠣チヌ |
|
| |
|
 |
日 時 |
.3月31日土曜日 |
| お名前 |
.尾張黒鯛クラブ |
| コメント |
.チヌ49.5p
牡蠣チヌ |
|
| |
|
 |
日 時 |
.3月31日土曜日 |
| お名前 |
.後藤さん |
| コメント |
.牡蠣チヌ |
|
| |
|
 |
日 時 |
.3月30日金曜日 |
| お名前 |
.野村さん |
| コメント |
.牡蠣チヌ |
|
| |
|
 |
日 時 |
..3月30日金曜日 |
| お名前 |
.佐藤さん |
| コメント |
.牡蠣チヌ 橋の奥で牡蠣チヌ初めてでした |
|

白仁田さん 51p |
|
 |
日 時 |
.3月29日木曜日 |
| お名前 |
.白仁田さん |
| コメント |
.チヌ51p
牡蠣チヌ
☆親様撃沈! |
|
| |
|
 |
日 時 |
.3月29日木曜日 |
| お名前 |
.中家さん |
| コメント |
.牡蠣チヌ |
|
| |
|
 |
日 時 |
.3月29日木曜日 |
| お名前 |
.佐分利さん |
| コメント |
.牡蠣チヌ |
|
| |
|
 |
日 時 |
.3月28日水曜日 |
| お名前 |
.金久さん |
| コメント |
.牡蠣チヌ 今日はお二人さん、大チヌバラシ |
|
| |
|
 |
日 時 |
.3月28日水曜日 |
| お名前 |
.ゴトーさん |
| コメント |
牡蠣チヌ |
|
| |
|
 |
日 時 |
.3月28日水曜日 |
| お名前 |
.坂本さん |
| コメント |
.牡蠣チヌ |
|

たんがさん 55p 55p |
|
 |
日 時 |
.3月27日火曜日 |
| お名前 |
.たんがさん |
| コメント |
.チヌ55p 55p
牡蠣チヌ
☆親様撃沈! よく肥えてました。また来てね |
|

岡崎さん 50p |
|
 |
日 時 |
.3月27日火曜日 |
| お名前 |
.岡崎さん |
| コメント |
.チヌ50p
牡蠣チヌ
☆親様撃沈! |
|
| |
|
 |
日 時 |
.3月26日月曜日 |
| お名前 |
.尾張黒鯛クラブ |
| コメント |
.牡蠣チヌ |
|

立松さん 50.5p |
|
 |
日 時 |
.3月25日日曜日 |
| お名前 |
.立松さん |
| コメント |
.チヌ50.5p
牡蠣チヌ
☆親様撃沈! |
|
| |
|
 |
日 時 |
.3月25日日曜日 |
| お名前 |
.北岡さん |
| コメント |
.牡蠣チヌ |
|
| |
|
 |
日 時 |
.3月25日日曜日 |
| お名前 |
.真鍋さん |
| コメント |
.牡蠣チヌ |
|

後藤さん 53p |
|
 |
日 時 |
.3月24日土曜日 |
| お名前 |
.後藤さん |
| コメント |
.チヌ53p
牡蠣チヌ
☆親様撃沈! |
|

星野さん 51p |
|
 |
日 時 |
.3月24日土曜日 |
| お名前 |
.多頓会 星野さん |
| コメント |
.チヌ51p
牡蠣チヌ
☆親様撃沈! |
|
| |
|
 |
日 時 |
.3月24日土曜日 |
| お名前 |
.多頓会 |
| コメント |
.牡蠣チヌ |
|
| |
|
 |
日 時 |
.3月24日土曜日 |
| お名前 |
.多頓会 |
| コメント |
.牡蠣チヌ |
|
| |
|
 |
日 時 |
.3月24日土曜日 |
| お名前 |
.多頓会 |
| コメント |
.牡蠣チヌ |
|

若林さん 53.5p |
|
 |
日 時 |
.3月23日金曜日 |
| お名前 |
.若林さん |
| コメント |
.チヌ53.5p
牡蠣チヌ
☆親様撃沈! |
|

鈴木さん 59p |
|
 |
日 時 |
.3月22日木曜日 |
| お名前 |
.鈴木さん |
| コメント |
.チヌ59p 54p 51.5p 50p
牡蠣チヌ
☆大チヌ撃沈! 年無し1枚ストリンガーから逃げた |
|

奥田さん 50.5p |
|
 |
日 時 |
.3月22日木曜日 |
| お名前 |
.奥田さん |
| コメント |
.チヌ50.5p
牡蠣チヌ
☆大チヌ撃沈! 写真がぼけてしまいました |
|

佐分利さん 53p |
|
 |
日 時 |
.3月22日木曜日 |
| お名前 |
.佐分利さん |
| コメント |
.チヌ53p
牡蠣チヌ
☆大チヌ撃沈! |
|

登さん 56.8p 50.2p |
|
 |
日 時 |
.3月20日火曜日 |
| お名前 |
.登さん |
| コメント |
.チヌ56.8p 50.2p
牡蠣チヌ
☆大チヌ撃沈! |
|

岡崎さん 64p |
|
 |
日 時 |
..3月20日火曜日 |
| お名前 |
.岡崎さん |
| コメント |
.大真鯛64p |
|
| |
|
 |
日 時 |
..3月20日火曜日 |
| お名前 |
.けんいち君 |
| コメント |
.牡蠣チヌ |
|
| |
|
 |
日 時 |
.3月18日日曜日 |
| お名前 |
.白仁田さん |
| コメント |
.チヌ46p
牡蠣チヌ 名古屋から怨霊の電波が飛んできた |
|
| |
|
 |
日 時 |
.3月18日日曜日 |
| お名前 |
.若林さん |
| コメント |
.牡蠣チヌ |
|
| |
|
 |
日 時 |
.3月17日土曜日 |
| お名前 |
.高野さん |
| コメント |
.牡蠣チヌ 3人がバラシ 灯台が良かった |
|
| |
|
 |
日 時 |
.3月17日土曜日 |
| お名前 |
.深草さん |
| コメント |
..牡蠣チヌ |
|
| |
|
 |
日 時 |
.3月17日土曜日 |
| お名前 |
.登さん |
| コメント |
..牡蠣チヌ |
|
| |
|
 |
日 時 |
.3月17日土曜日 |
| お名前 |
.後藤さん |
| コメント |
..牡蠣チヌ |
|
| |
|
 |
日 時 |
.3月15日木曜日 |
| お名前 |
.中家さん |
| コメント |
.牡蠣チヌ 牡蠣チヌ初めてでした
10分講習で釣ってくれました |
|
| |
|
 |
日 時 |
.3月15日木曜日 |
| お名前 |
.佐分利さん |
| コメント |
.牡蠣チヌ |
|
| |
|
 |
日 時 |
.3月14日水曜日 |
| お名前 |
.金久さん |
| コメント |
.牡蠣チヌ |
|
| |
|
 |
日 時 |
.3月13日火曜日 |
| お名前 |
.コンちゃん |
| コメント |
.牡蠣チヌ |
|
| |
|
 |
日 時 |
.3月13日火曜日 |
| お名前 |
.佐藤さん |
| コメント |
.牡蠣チヌ 58pくらいのチヌバラシてしまいました |
|

城間さん 53.5p |
|
 |
日 時 |
.3月12日月曜日 |
| お名前 |
.城間さん |
| コメント |
.チヌ53.5p
牡蠣チヌ
☆大チヌ撃沈! |
|
| |
|
 |
日 時 |
.3月11日日曜日 |
| お名前 |
.尾張黒鯛クラブ 伊藤さん |
| コメント |
.チヌ49p
牡蠣チヌ |
|

水野さん 51.5p |
|
 |
日 時 |
.3月11日日曜日 |
| お名前 |
.水野さん |
| コメント |
.チヌ51.5p
牡蠣チヌ
☆大チヌ撃沈! |
|
| |
|
 |
日 時 |
.3月10日土曜日 |
| お名前 |
.児山さん |
| コメント |
.牡蠣チヌ 今日は大風 灯台 |
|
| |
|
 |
日 時 |
.3月10日土曜日 |
| お名前 |
.鬼頭さん |
| コメント |
.牡蠣チヌ |
|
| |
|
 |
日 時 |
.3月4日日曜日 |
| お名前 |
.秋田さん |
| コメント |
.牡蠣チヌ 今日は活性が悪かった べたべたすぎた
俺も梅見に行きたいなーーー |
|
| |
|
 |
日 時 |
.3月3日土曜日 |
| お名前 |
.工藤さん |
| コメント |
.牡蠣チヌ |
|
| |
|
 |
日 時 |
.3月3日土曜日 |
| お名前 |
.川崎さん |
| コメント |
.牡蠣チヌ 1回バラシ |
|

白仁田さん 55p |
|
 |
日 時 |
.3月2日金曜日 |
| お名前 |
.白仁田さん |
| コメント |
.チヌ55p 日曜日空いてます
牡蠣チヌ
☆大チヌ撃沈! 湾内 |
|
| |
|
 |
日 時 |
.3月2日金曜日 |
| お名前 |
.名前聞くの忘れました |
| コメント |
.橋の奥 大チヌは時間の問題 |
|
| |
|
 |
日 時 |
.2月27日火曜日 |
| お名前 |
.岡崎さん |
| コメント |
.牡蠣チヌ またこの大きい潮で動いたかな? |
|
| |
|
 |
日 時 |
.2月25日日曜日 |
| お名前 |
.真鍋さん |
| コメント |
.牡蠣チヌ |
|
| |
|
 |
日 時 |
.2月23日金曜日 |
| お名前 |
.金久さん |
| コメント |
.牡蠣チヌ 今回の潮は食いが悪い潮です |
|
| |
|
 |
日 時 |
.2月21日水曜日 |
| お名前 |
.鈴木さん |
| コメント |
.チヌ47p
牡蠣チヌ |
|
| |
|
 |
日 時 |
.2月17日土曜日 |
| お名前 |
.白仁田さん |
| コメント |
.牡蠣チヌ |
|
| |
|
 |
日 時 |
.2月16日金曜日 |
| お名前 |
. |
| コメント |
.牡蠣チヌ |
|
| |
|
 |
日 時 |
.2月16日金曜日 |
| お名前 |
.村上さん |
| コメント |
.牡蠣チヌ |
|
| |
|
 |
日 時 |
.2月16日金曜日 |
| お名前 |
.金久さん |
| コメント |
.牡蠣チヌ |
|
| |
|
 |
日 時 |
.2月15日木曜日 |
| お名前 |
.登さん |
| コメント |
.牡蠣チヌ |
|
| |
|
 |
日 時 |
.2月15日木曜日 |
| お名前 |
.工藤さん |
| コメント |
.牡蠣チヌ |
|
| |
|
 |
日 時 |
.2月14日水曜日 |
| お名前 |
.舩橋さん |
| コメント |
.牡蠣チヌ 1回バラシ |
|
| |
|
 |
日 時 |
.2月14日水曜日 |
| お名前 |
.匿名 |
| コメント |
.牡蠣チヌ 潮がおかしかった |
|

岡崎さん |
|
 |
日 時 |
.2月12日月曜日 |
| お名前 |
.岡崎さん |
| コメント |
.牡蠣チヌ |
|
| |
|
 |
日 時 |
.2月11日日曜日 |
| お名前 |
.伊藤さん |
| コメント |
.牡蠣チヌ |
|
| |
|
 |
日 時 |
.2月10日土曜日 |
| お名前 |
.鈴木さん |
| コメント |
.牡蠣チヌ |
|
| |
|
 |
日 時 |
.2月9日金曜日 |
| お名前 |
.匿名 |
| コメント |
.牡蠣チヌ 3回バラシ |
|

長谷川さん 50.5p |
|
 |
日 時 |
.2月8日木曜日 |
| お名前 |
.長谷川さん |
| コメント |
.チヌ50.5p
牡蠣チヌ
☆大チヌ撃沈! 3回バラシ! |
|
| |
|
|
日 時 |
. |
| お名前 |
. |
| コメント |
.国土交通省では関係法令を改正し、平成30年2月からすべての小型船舶の乗船者にライフジャケットの着用を義務化します
|
|
| |
|
 |
日 時 |
.1月28日日曜日 |
| お名前 |
.鈴木さん |
| コメント |
.牡蠣チヌ フグは沢山います |
|

秋田さん 52.5p |
|
 |
日 時 |
.1月21日日曜日 |
| お名前 |
.秋田さん |
| コメント |
.チヌ52.5p
牡蠣チヌ
☆大チヌ撃沈! 北岡さんも釣ってました |
|
| |
|
 |
日 時 |
..1月21日日曜日
|
| お名前 |
.真鍋さん |
| コメント |
.牡蠣チヌ |
|
| |
|
 |
日 時 |
.1月20日土曜日 |
| お名前 |
.佐分利さん |
| コメント |
.牡蠣チヌ |
|
| |
|
 |
日 時 |
.1月19日金曜日 |
| お名前 |
.水野さん |
| コメント |
.牡蠣チヌ |
|
| |
|
 |
日 時 |
.1月16日火曜日 |
| お名前 |
.伊藤さん |
| コメント |
.牡蠣チヌ |
|

真鍋さん 52p |
|
 |
日 時 |
.1月14日日曜日 |
| お名前 |
.真鍋さん |
| コメント |
.チヌ52p
牡蠣チヌ
☆大チヌ撃沈! |
|
| |
|
 |
日 時 |
.1月13日土曜日 |
| お名前 |
.鈴木さん |
| コメント |
.牡蠣チヌ |
|
| |
|
 |
日 時 |
.1月9日火曜日 |
| お名前 |
.西村さん |
| コメント |
.チヌ44p 40.5p
牡蠣チヌ 変わりに撮りました |
|
| |
|
 |
日 時 |
.1月8日月曜日 |
| お名前 |
.岡崎さん |
| コメント |
.牡蠣チヌ 夕方入れ食い状態、けど波が高かったので |
|
| |
|
 |
日 時 |
.1月7日日曜日 |
| お名前 |
.長谷川さん |
| コメント |
.チヌ46p
牡蠣チヌ |
|
| |
|
 |
日 時 |
.1月7日日曜日 |
| お名前 |
.ごとーさん |
| コメント |
.チヌ50p
牡蠣チヌ
☆大チヌ撃沈! |
|
| |
|
 |
日 時 |
.1月5日金曜日 |
| お名前 |
.白仁田さん |
| コメント |
.牡蠣チヌ |
|

真鍋さん 55.5p 50.5p |
|
 |
日 時 |
.12月30日土曜日 |
| お名前 |
.真鍋さん |
| コメント |
.チヌ55.5p 50.5p
牡蠣チヌ
☆大チヌ撃沈! 暴風の中、皆さん頑張ってくれました |
|
| |
|
 |
日 時 |
.12月30日土曜日 |
| お名前 |
.伊藤さん |
| コメント |
.チヌ48p
牡蠣チヌ |
|
| |
|
 |
日 時 |
.12月29日金曜日 |
| お名前 |
.後藤さん |
| コメント |
.牡蠣チヌ 昼から大風 |
|

鈴木さん 82.5p |
|
 |
日 時 |
.12月24日日曜日 |
| お名前 |
.鈴木さん |
| コメント |
.大真鯛82.5p
牡蠣チヌ 15分くらいかかりました |
|
| |
|
 |
日 時 |
.12月23日土曜日 |
| お名前 |
.藤原さん |
| コメント |
.牡蠣チヌ |
|
| |
|
 |
日 時 |
.12月22日金曜日 |
| お名前 |
.後藤さん |
| コメント |
.牡蠣チヌ |
|
| |
|
 |
日 時 |
.12月22日金曜日 |
| お名前 |
.北岡さん |
| コメント |
.牡蠣チヌ |
|
| |
|
 |
日 時 |
.12月20日水曜日 |
| お名前 |
.若林さん |
| コメント |
.牡蠣チヌ もう一人のお客さんはお化けに切られました |
|
| |
|
 |
日 時 |
.12月19日火曜日 |
| お名前 |
.岡崎さん |
| コメント |
.牡蠣チヌ |
|
| |
|
 |
日 時 |
.12月19日火曜日 |
| お名前 |
.杉谷さん |
| コメント |
.牡蠣チヌ |
|
| |
|
 |
日 時 |
.12月19日火曜日 |
| お名前 |
.徳ちゃん |
| コメント |
.牡蠣チヌ 正月のタコ釣りました |
|
| |
|
 |
日 時 |
.12月16日土曜日 |
| お名前 |
.藤原さん |
| コメント |
.牡蠣チヌ お化けに1回きられたか? |
|
| |
|
 |
日 時 |
.12月15日金曜日 |
| お名前 |
.北岡さん |
| コメント |
.牡蠣チヌ |
|
| |
|
 |
日 時 |
.12月15日金曜日 |
| お名前 |
.水野さん |
| コメント |
.牡蠣チヌ お化けに2回切られました |
|
| |
|
 |
日 時 |
.12月13日水曜日 |
| お名前 |
.西村さん |
| コメント |
.チヌ48p
牡蠣チヌ |
|
| |
|
 |
日 時 |
.12月10日日曜日 |
| お名前 |
.登さん |
| コメント |
.石だい67p
牡蠣チヌ |
|
| |
|
 |
日 時 |
.12月10日日曜日 |
| お名前 |
.塚本さん |
| コメント |
.牡蠣チヌ |
|
| |
|
 |
日 時 |
.12月9日土曜日 |
| お名前 |
.立松さん |
| コメント |
.チヌ49.5p
牡蠣チヌ 釣った時は51pありました |
|
| |
|
 |
日 時 |
.12月9日土曜日 |
| お名前 |
.児山さん |
| コメント |
.牡蠣チヌ |
|
| |
|
 |
日 時 |
.12月7日木曜日 |
| お名前 |
.後藤さん |
| コメント |
.牡蠣チヌ 他のお客さん、大真鯛ばらしか? |
|
| |
|
 |
日 時 |
.12月6日水曜日 |
| お名前 |
.木下さん |
| コメント |
.牡蠣チヌ 3回バラシました |
|
| |
|
 |
日 時 |
.12月5日火曜日 |
| お名前 |
.岡崎さん |
| コメント |
.牡蠣チヌ |
|
| |
|
 |
日 時 |
.12月3日日曜日 |
| お名前 |
.水野さん |
| コメント |
.牡蠣チヌ |
|
 |
|
 |
日 時 |
..12月3日日曜日 |
| お名前 |
.石田さん |
| コメント |
.チヌ47p
牡蠣チヌ |
|
| |
|
 |
日 時 |
..12月3日日曜日 |
| お名前 |
.塚本さん |
| コメント |
.牡蠣チヌ |
|
| |
|
 |
日 時 |
.12月2日土曜日 |
| お名前 |
.藤原さん |
| コメント |
.牡蠣チヌ 牡蠣チヌ初めての方も挑戦してね |
|
| |
|
 |
日 時 |
.11月29日水曜日 |
| お名前 |
.近藤さん |
| コメント |
.牡蠣チヌ、初挑戦で初チヌ |
|
| |
|
 |
日 時 |
..11月29日水曜日 |
| お名前 |
.小西さん |
| コメント |
.牡蠣チヌ |
|
| |
|
 |
日 時 |
.11月27日月曜日 |
| お名前 |
.野村さん |
| コメント |
.チヌも釣りました |
|
| |
|
 |
日 時 |
.11月27日月曜日 |
| お名前 |
.奥田さん |
| コメント |
. |
|
| |
|
 |
日 時 |
.11月26日日曜日 |
| お名前 |
.奥田さん |
| コメント |
.チヌ48p |
|
| |
|
 |
日 時 |
.11月25日土曜日 |
| お名前 |
.匠弥君 |
| コメント |
.大アジ アジ釣りできます |
|

鈴木さん 51p |
|
 |
日 時 |
..11月25日土曜日 |
| お名前 |
.鈴木さん |
| コメント |
.チヌ51p
牡蠣チヌ
☆大チヌ撃沈! |
|

立松さん 48p |
|
 |
日 時 |
..11月25日土曜日 |
| お名前 |
.立松さん |
| コメント |
.チヌ48p
牡蠣チヌ |
|
| |
|
 |
日 時 |
..11月25日土曜日 |
| お名前 |
.登さん |
| コメント |
.巨大カワハギ
牡蠣チヌ |
|
| |
|
 |
日 時 |
..11月25日土曜日 |
| お名前 |
.いとうさん |
| コメント |
.牡蠣チヌ |
|
| |
|
 |
日 時 |
.11月24日金曜日 |
| お名前 |
.白仁田さん |
| コメント |
.牡蠣チヌ |
|
| |
|
 |
日 時 |
.11月24日金曜日 |
| お名前 |
.横幕さん |
| コメント |
.チヌ47p
牡蠣チヌ |
|
| |
|
 |
日 時 |
.11月23日木曜日 |
| お名前 |
.黒霧軍団 星本さん |
| コメント |
.チヌ46p 45p
牡蠣チヌ 小田の浜 |
|
| |
|
 |
日 時 |
.11月23日木曜日
|
| お名前 |
.名古屋の後藤さん |
| コメント |
.アジ34p アジ釣りもやってます |
|

鈴木さん 51.5p |
|
 |
日 時 |
.11月22日水曜日 |
| お名前 |
.鈴木さん |
| コメント |
.チヌ51.5p
牡蠣チヌ
☆大チヌ撃沈! |
|
| |
|
 |
日 時 |
.11月20日月曜日 |
| お名前 |
.岡崎さん、けんいち君 |
| コメント |
.牡蠣チヌ |
|
| |
|
 |
日 時 |
.11月19日日曜日 |
| お名前 |
.鈴木さん |
| コメント |
.牡蠣チヌ |
|
| |
|
 |
日 時 |
..11月19日日曜日 |
| お名前 |
.伊藤さん |
| コメント |
.イガイ |
|
| |
|
 |
日 時 |
..11月19日日曜日
|
| お名前 |
.萩原さん |
| コメント |
.牡蠣チヌ また来てね |
|
| |
|
 |
日 時 |
.11がつ18にち土曜日 |
| お名前 |
. |
| コメント |
.風よけ設置しました |
|
| |
|
 |
日 時 |
.11月17日金曜日 |
| お名前 |
.多頓会 若林さん |
| コメント |
.チヌ52.5p
牡蠣チヌ
☆大チヌ撃沈! |
|
| |
|
 |
日 時 |
.11月16日木曜日 |
| お名前 |
.舩橋さん |
| コメント |
.チヌ4枚
牡蠣チヌ 写真は明日です 小島さんも釣ってました |
|
| |
|
 |
日 時 |
.11月15日水曜日 |
| お名前 |
.小島さん |
| コメント |
.チヌ48.5p 48.5p
牡蠣チヌ |
|
| |
|
 |
日 時 |
.11月15日水曜日 |
| お名前 |
.中村さん |
| コメント |
.牡蠣チヌ |
|
 |
|
 |
日 時 |
.11月14日 |
| お名前 |
.鈴木さん |
| コメント |
.牡蠣チヌ 大チヌ2回バラシ |
|

鈴木さん 50.5p |
|
 |
日 時 |
.11月12日日曜日 |
| お名前 |
.鈴木さん |
| コメント |
.チヌ50.5p
牡蠣チヌ
☆大チヌ撃沈! |
|
| |
|
 |
日 時 |
..11月12日日曜日 |
| お名前 |
.登さん |
| コメント |
.牡蠣チヌ |
|
| |
|
 |
日 時 |
..11月12日日曜日
|
| お名前 |
. |
| コメント |
.むき身も良くなってきました |
|
| |
|
 |
日 時 |
.11月10日金曜日 |
| お名前 |
.若林さん |
| コメント |
.チヌ50p 50p
牡蠣チヌ
☆大チヌ撃沈! |
|
| |
|
 |
日 時 |
.11月9日木曜日 |
| お名前 |
.ゴトーさん |
| コメント |
.チヌ56p
イガイ 牡蠣チヌ
☆大チヌ撃沈! |
|
| |
|
 |
日 時 |
.11月8日水曜日 |
| お名前 |
.広瀬さん |
| コメント |
.イガイ 鈴木カセで |
|
| |
|
 |
日 時 |
.11月8日水曜日 |
| お名前 |
.吉田さん |
| コメント |
.団子 たくさんバラシました |
|

舩橋さん 50p |
|
 |
日 時 |
.11月7日火曜日 |
| お名前 |
.舩橋さん |
| コメント |
.チヌ50p
イガイ、牡蠣チヌ
☆大チヌ撃沈! |
|
| |
|
 |
日 時 |
.11月7日火曜日 |
| お名前 |
.鈴木さん |
| コメント |
. |
|
| |
|
 |
日 時 |
.11月3日金曜日 |
| お名前 |
.深草さん |
| コメント |
.団子 |
|
| |
|
 |
日 時 |
..11月3日金曜日 |
| お名前 |
. |
| コメント |
.団子 |
|
| |
|
 |
日 時 |
..11月3日金曜日 |
| お名前 |
. |
| コメント |
.団子 |
|
| |
|
 |
日 時 |
..11月3日金曜日 |
| お名前 |
|
| コメント |
.牡蠣チヌ |
|
| |
|
 |
日 時 |
..11月3日金曜日 |
| お名前 |
. |
| コメント |
.牡蠣チヌ イガイ |
|
| |
|
 |
日 時 |
.11月2日木曜日 |
| お名前 |
.若林さん |
| コメント |
.チヌ49.5p
牡蠣チヌ |
|
| |
|
 |
日 時 |
.11月2日木曜日 |
| お名前 |
.伊藤さん |
| コメント |
.イガイ |
|

鈴木さん 52p |
|
 |
日 時 |
.11月1日水曜日 |
| お名前 |
.鈴木さん |
| コメント |
.チヌ52p
☆大チヌ撃沈! |
|
| |
|
 |
日 時 |
.10月24日火曜日 |
| お名前 |
.岡崎さん |
| コメント |
.イガイ 復旧作業の中、頑張ってくれました |
|
| |
|
 |
日 時 |
.10月19日木曜日 |
| お名前 |
.ゴトーさん |
| コメント |
.牡蠣チヌ |
|
| |
|
 |
日 時 |
.10月16日月曜日 |
| お名前 |
.ケンイチ君と岡崎さん |
| コメント |
チヌ48p
イガイ |
|
| |
|
 |
日 時 |
.10月12日木曜日 |
| お名前 |
.奥田さん |
| コメント |
.イガイ |
|
| |
|
 |
日 時 |
.10月12日木曜日 |
| お名前 |
.若林さん |
| コメント |
.牡蠣チヌ 3回くらい何かにこすれて切れました
エサ取りも少なかったです |
|

伊藤さん 51.5p |
|

 |
日 時 |
.10月11日水曜日 |
| お名前 |
.伊藤さん |
| コメント |
.チヌ51.5p
イガイ
☆大チヌ撃沈! 写真を撮るときに1枚海に逃げました |
|
| |
|
 |
日 時 |
.10月11日水曜日 |
| お名前 |
.中村さん |
| コメント |
.イガイ |
|
| |
|
 |
日 時 |
.10月11日水曜日 |
| お名前 |
.大久保さん |
| コメント |
.団子 |
|

鈴木さん 52p |
|

 |
日 時 |
.10月9日月曜日 |
| お名前 |
.鈴木主水 |
| コメント |
.チヌ52p
イガイ
☆大チヌ撃沈! |
|
| |
|
 |
日 時 |
.10月9日月曜日
|
| お名前 |
.真鍋さん |
| コメント |
. |
|

塚本さん 50.5p |
|
 |
日 時 |
.10月8日日曜日 |
| お名前 |
.塚本さん |
| コメント |
.チヌ50.5p
イガイ
☆大チヌ撃沈! |
|
| |
|
 |
日 時 |
.10月8日日曜日
|
| お名前 |
.匠弥君 |
| コメント |
.年無し |
|
| |
|
 |
日 時 |
.10月7日 |
| お名前 |
.名古屋の後藤さん |
| コメント |
.アジ釣り
イナダは今日は掛かりませんでした |
|
| |
|
 |
日 時 |
. |
| お名前 |
. |
| コメント |
.イガイの無いお客さん
これで釣ってください
今日のお客さんも釣れました 釣りに来てね
詳しいことは船頭まで。 |
|
| |
|
 |
日 時 |
.10月7日土曜日 |
| お名前 |
.鈴木さん |
| コメント |
.イガイ
チヌ49p |
|
| |
|
 |
日 時 |
.10月7日土曜日 |
| お名前 |
.児山さん |
| コメント |
.イガイ |
|
| |
|
 |
日 時 |
.10月7日土曜日 |
| お名前 |
.鬼頭さん |
| コメント |
.イガイ |
|
| |
|
 |
日 時 |
.10月3日火曜日 |
| お名前 |
.岡崎さん |
| コメント |
. |
|
| |
|
 |
日 時 |
.10月3日火曜日 |
| お名前 |
.ケンイチ君 |
| コメント |
. |
|
| |
|
 |
日 時 |
.10月2日月曜日 |
| お名前 |
.近藤さん |
| コメント |
. 小島さんありがとう 小田の浜 |
|
| |
|
 |
日 時 |
.10月1日日曜日 |
| お名前 |
.塚本さん |
| コメント |
. |
|
| |
|
 |
日 時 |
.10月1日日曜日 |
| お名前 |
.真鍋さん |
| コメント |
. |
|

児山さん 50.5p |
|
 |
日 時 |
.9月30日土曜日 |
| お名前 |
.児山さん |
| コメント |
.チヌ50.5p
イガイ
☆大チヌ撃沈! 桃取の神様被害は無かったようです |
|
| |
|
 |
日 時 |
.9月26日火曜日 |
| お名前 |
.伊藤さん |
| コメント |
. |
|
| |
|
 |
日 時 |
.9月25日月曜日 |
| お名前 |
.くぼさん |
| コメント |
.団子 大きいチヌバラシ |
|
| |
|
 |
日 時 |
.9月24日日曜日 |
| お名前 |
.真鍋さん |
| コメント |
. |
|
| |
|
 |
日 時 |
.9月23日土曜日 |
| お名前 |
.鈴木さん |
| コメント |
. |
|
| |
|
 |
日 時 |
.9月21日木曜日 |
| お名前 |
.フィッシング遊 |
| コメント |
.団子 また来てね |
|
| |
|
 |
日 時 |
.9月19日火曜日 |
| お名前 |
.岡崎さん |
| コメント |
.イガイ
チヌ49.5p 牡蠣の水揚げが9月24日〜始まります |
|
| |
|
 |
日 時 |
.9月19日火曜日 |
| お名前 |
.じーちゃん |
| コメント |
.団子 |
|
| |
|
 |
日 時 |
.9月18日月曜日 |
| お名前 |
.鈴木さん |
| コメント |
.イガイ |
|

富田さん 50.5p |
|
 |
日 時 |
.9月15日金曜日 |
| お名前 |
.富田さん |
| コメント |
.チヌ50.5p
☆大チヌ撃沈! アジでイナダ釣り7回切られました |
|
| |
|
 |
日 時 |
.9月14日木曜日 |
| お名前 |
.舩橋さん |
| コメント |
.もう1人のお客さんもバラシあり |
|
| |
|
 |
日 時 |
.9月13日水曜日 |
| お名前 |
.奥田さん |
| コメント |
.チヌ49.5p |
|
| |
|
 |
日 時 |
.9月13日水曜日 |
| お名前 |
.高木さん |
| コメント |
. |
|
| |
|
 |
日 時 |
.9月5日火曜日 |
| お名前 |
.こんちゃん |
| コメント |
. |
|

鈴木さん 54p |
|
 |
日 時 |
.9月3日日曜日 |
| お名前 |
.鈴木さん |
| コメント |
.チヌ54p
イガイ
☆大チヌ撃沈! |
|
| |
|
 |
日 時 |
.9月3日日曜日
|
| お名前 |
.杉浦さん |
| コメント |
.釣り方は船頭まで |
|
| |
|
 |
日 時 |
.9月2日土曜日 |
| お名前 |
.あさかわさん |
| コメント |
.今日は49番でたくさんばらしました |
|
| |
|
 |
日 時 |
.8月29日火曜日 |
| お名前 |
.岡崎さん |
| コメント |
. |
|
| |
|
 |
日 時 |
.8月29日火曜日 |
| お名前 |
.舩橋さん |
| コメント |
. |
|

長谷川さん 61.5p |
|
 |
日 時 |
.8月27日日曜日 |
| お名前 |
.長谷川さん |
| コメント |
.大真鯛61.5p モンスター大真鯛バラシ |
|
| |
|
 |
日 時 |
.8月27日日曜日 |
| お名前 |
.北岡さん |
| コメント |
.チヌ48p |
|
| |
|
 |
日 時 |
.8月26日土曜日 |
| お名前 |
.横幕さん |
| コメント |
.チヌ48p
イガイ |
|
| |
|
 |
日 時 |
.8月26日土曜日 |
| お名前 |
.鬼頭さん |
| コメント |
.イガイ |
|
| |
|
 |
日 時 |
.8月26日土曜日
|
| お名前 |
.児山さん |
| コメント |
.イガイ |
|

岡崎さん 54.3p |
|
 |
日 時 |
.8月23日水曜日 |
| お名前 |
.岡崎さん |
| コメント |
.チヌ54.3p
イガイ
☆大チヌ撃沈! |
|
| |
|
 |
日 時 |
.8月23日水曜日 |
| お名前 |
.中村さん |
| コメント |
.イガイ |
|
| |
|
 |
日 時 |
.8月23日水曜日 |
| お名前 |
.小島さん |
| コメント |
. |
|
| |
|
 |
日 時 |
.8月23日水曜日 |
| お名前 |
.なんちゃん |
| コメント |
. |
|

伊藤さん 52.5p 50.5p |
|
 |
日 時 |
.8月22日火曜日 |
| お名前 |
.伊藤さん |
| コメント |
.チヌ52.5p 50.5p
☆大チヌ撃沈! |
|

舩橋さん 51p |
|
 |
日 時 |
.8月21日月曜日 |
| お名前 |
.舩橋さん |
| コメント |
.チヌ51p
イガイ
☆大チヌ撃沈! |
|
| |
|
 |
日 時 |
.8月21日月曜日 |
| お名前 |
.馬場やん |
| コメント |
. |
|
| |
|
 |
日 時 |
.8月20日日曜日 |
| お名前 |
.登さん |
| コメント |
. |
|

田村さん 53p |
|
 |
日 時 |
.8月19日土曜日 |
| お名前 |
.田村さん |
| コメント |
.チヌ53p
イガイ
☆大チヌ撃沈! |
|

若林さん 50.5p |
|
 |
日 時 |
..8月19日土曜日 |
| お名前 |
.若林さん |
| コメント |
.チヌ50.5p
イガイ
☆大チヌ撃沈! |
|
| |
|
 |
日 時 |
..8月19日土曜日 |
| お名前 |
.塚本さん |
| コメント |
.イガイ |
|
| |
|
 |
日 時 |
..8月19日土曜日
|
| お名前 |
.青木さん |
| コメント |
.イガイ |
|
| |
|
 |
日 時 |
.8月17日木曜日 |
| お名前 |
.熊崎さん |
| コメント |
.真鯛58p
2日目 |
|
| |
|
 |
日 時 |
.8月16日水曜日 |
| お名前 |
.熊崎さん |
| コメント |
.大真鯛70p
イガイ |
|
| |
|
 |
日 時 |
.8月15日火曜日 |
| お名前 |
.岡崎さん |
| コメント |
.イガイ |
|

けんいち君 63p |
|
 |
日 時 |
.8月15日火曜日 |
| お名前 |
.けんいち君 |
| コメント |
.大真鯛63p イガイ |
|
| |
|
 |
日 時 |
.8月14日月曜日 |
| お名前 |
.鬼頭さん |
| コメント |
.イガイ 58p |
|
| |
|
 |
日 時 |
..8月14日月曜日 |
| お名前 |
.児山さん |
| コメント |
.イガイ 53p |
|
| |
|
 |
日 時 |
..8月14日月曜日 |
| お名前 |
.鈴木さん |
| コメント |
.イガイ |
|
| |
|
 |
日 時 |
.8月13日日曜日 |
| お名前 |
.鈴木さん |
| コメント |
.大真鯛62p
イガイ |
|
| |
|
 |
日 時 |
.8月12日土曜日 |
| お名前 |
.塚本さん |
| コメント |
.イガイ 今日は大真鯛掛かりませんでした |
|
| |
|
 |
日 時 |
.8月10日木曜日 |
| お名前 |
.馬場やん |
| コメント |
.イガイ たくさんバラシあり |
|
| |
|
 |
日 時 |
.8月9日水曜日 |
| お名前 |
.中村さん |
| コメント |
.真鯛53.5p |
|
| |
|
 |
日 時 |
.8月3日木曜日 |
| お名前 |
.小川さん |
| コメント |
.チヌ42p 小田の浜でも大真鯛かかりました |
|

小島さん 53p |
|
 |
日 時 |
.7月31日月曜日 |
| お名前 |
.小島さん |
| コメント |
.チヌ53p
☆大チヌ撃沈! 今日も大真鯛バラシありました |
|
| |
|
 |
日 時 |
.7月29日土曜日 |
| お名前 |
.長谷川さん |
| コメント |
.大真鯛62p もう1枚ばらしてしまいました |
|
 |
|
 |
日 時 |
.7月25日火曜日 |
| お名前 |
.岡崎さん しゅーちゃん |
| コメント |
. |
|
 |
|
 |
日 時 |
.7月18日火曜日 |
| お名前 |
.岡崎さん |
| コメント |
.イガイ |
|
| |
|
 |
日 時 |
.7月17日月曜日 |
| お名前 |
.鈴木さん |
| コメント |
.大真鯛61p
今日も大真鯛2回やられました |
|
| |
|
 |
日 時 |
.7月16日日曜日 |
| お名前 |
.後藤さん |
| コメント |
.大真鯛61p
この鯛はすんなり上がってきたけど、バラシたのは
デカかった |
|
| |
|
 |
日 時 |
.7月13日木曜日 |
| お名前 |
.伊藤さん |
| コメント |
.大真鯛61p これより大きいモンスターを中層まで
上げてきたけど、バレました |
|
| |
|
 |
日 時 |
.7月12日水曜日 |
| お名前 |
.ゴトーさん |
| コメント |
.イガイ |
|

小島さん 51p |
|
 |
日 時 |
.7月5日水曜日 |
| お名前 |
.小島さん |
| コメント |
.チヌ51p
イガイ
☆大チヌ撃沈! |
|
| |
|
 |
日 時 |
.7月5日水曜日 |
| お名前 |
.中村さん |
| コメント |
.今日は大真鯛5回バラシ |
|
| |
|
 |
日 時 |
.7月3日月曜日 |
| お名前 |
.富田さん |
| コメント |
.もう一人のお客さんも超大真鯛バラシ |
|
| |
|
 |
日 時 |
.7月2日日曜日 |
| お名前 |
.真鍋さん |
| コメント |
.今日も大真鯛は掛かりませんでした |
|
| |
|
 |
日 時 |
.7月1日土曜日 |
| お名前 |
.長谷川さん |
| コメント |
.今日は大真鯛現れませんでした |
|
| |
|
 |
日 時 |
..7月1日土曜日
|
| お名前 |
.藤原さん |
| コメント |
. |
|
| |
|
 |
日 時 |
.6月30日金曜日 |
| お名前 |
.高木さん |
| コメント |
.今日は大真鯛15分の格闘で水面でばらしてしまいました
腕が破壊されたみたい83pくらいでした |
|
| |
|
 |
日 時 |
.6月29日木曜日 |
| お名前 |
.奥田さん |
| コメント |
.イガイ |
|
| |
|
 |
日 時 |
.6月28日水曜日 |
| お名前 |
.舩橋さん |
| コメント |
.イガイ |
|
| |
|
 |
日 時 |
.6月27日火曜日 |
| お名前 |
.岡崎さん |
| コメント |
.ようやくイガイの季節が始まりました
大真鯛68p |
|
| |
|
 |
日 時 |
.5月25日木曜日 |
| お名前 |
.高木さん |
| コメント |
.チヌ47p 大真鯛バラシの人もいました |
|

佐野さん 52.5p |
|
 |
日 時 |
.5月15日月曜日 |
| お名前 |
.佐野さん |
| コメント |
.チヌ52.5p
牡蠣チヌ
☆大チヌ撃沈! 他の人はカワハギ、アイナメ、チヌ
釣ってました |
|

高木さん 54p |
|
 |
日 時 |
.5月10日水曜日 |
| お名前 |
.高木さん |
| コメント |
.チヌ54p
牡蠣チヌ
☆大チヌ撃沈! |
|
| |
|
 |
日 時 |
.5月6日土曜日 |
| お名前 |
.塚本さん |
| コメント |
.チヌ47p
牡蠣チヌ |
|

柴田さん 50.5p |
|
 |
日 時 |
.5月1日月曜日 |
| お名前 |
.柴田さん |
| コメント |
.チヌ50.5p
牡蠣チヌ
☆大チヌ撃沈! |
|
| |
|
 |
日 時 |
.5月1日月曜日 |
| お名前 |
. |
| コメント |
チヌ47p |
|
| |
|
 |
日 時 |
.4月29日土曜日 |
| お名前 |
.丸田さん |
| コメント |
.チヌ48p 今日はどこかでたくさんばらし
ありました |
|
| |
|
 |
日 時 |
.4月29日土曜日 |
| お名前 |
. |
| コメント |
. |
|
| |
|
 |
日 時 |
.4月29日土曜日 |
| お名前 |
. |
| コメント |
. |
|
| |
|
 |
日 時 |
.4月29日土曜日 |
| お名前 |
. |
| コメント |
. |
|

若林さん 51.5p |
|
 |
日 時 |
.4月28日金曜日 |
| お名前 |
.若林さん |
| コメント |
.チヌ51.5p
牡蠣チヌ
☆大チヌ撃沈! 今日は大チヌバラシ多かった |
|
| |
|
 |
日 時 |
.4月27日木曜日 |
| お名前 |
.舩橋さん |
| コメント |
.チヌ48p |
|
| |
|
 |
日 時 |
.4月26日水曜日 |
| お名前 |
.松岡さん |
| コメント |
.チヌ46p |
|

岡崎じーちゃん 57p |
|
 |
日 時 |
..4月25日火曜日 |
| お名前 |
.岡崎じーちゃん |
| コメント |
.チヌ57p
牡蠣チヌ
☆大チヌ撃沈! |
|

岡崎さん 50p |
|
 |
日 時 |
..4月25日火曜日 |
| お名前 |
.岡崎さん |
| コメント |
.チヌ50p
牡蠣チヌ
☆大チヌ撃沈! |
|

馬場さん 50.5p |
|
 |
日 時 |
.4月24日月曜日 |
| お名前 |
.馬場さん |
| コメント |
.チヌ50.5p
牡蠣チヌ
☆大チヌ撃沈! 鈴木さんが電波を飛ばしたので
潮が真逆になりました |
|
| |
|
 |
日 時 |
.4月24日月曜日 |
| お名前 |
.諏訪さん |
| コメント |
. |
|
| |
|
 |
日 時 |
.4月23日日曜日 |
| お名前 |
.松谷さん |
| コメント |
.チヌ49.5p |
|
| |
|
 |
日 時 |
.4月23日日曜日 |
| お名前 |
.北岡さん |
| コメント |
. |
|
| |
|
 |
日 時 |
.4月23日日曜日 |
| お名前 |
.松岡さん |
| コメント |
. |
|

後藤さん 56p 51p |
|
 |
日 時 |
.4月22日土曜日 |
| お名前 |
.後藤さん |
| コメント |
.チヌ56p 51p
牡蠣チヌ
☆大チヌ撃沈! 今日は皆さんよくばらしました |
|
| |
|
 |
日 時 |
.4月22日土曜日 |
| お名前 |
.佐分利さん |
| コメント |
. |
|
| |
|
 |
日 時 |
.4月22日土曜日 |
| お名前 |
.かずちゃん |
| コメント |
.チヌ53.5p 京都の吉田さんも釣ってました |
|
| |
|
 |
日 時 |
.4月21日金曜日 |
| お名前 |
.西村さん |
| コメント |
.橋の奥 |
|
| |
|
 |
日 時 |
.4月20日木曜日 |
| お名前 |
.北岡さん |
| コメント |
.チヌ49p 48p どこかにモンスターが |
|
| |
|
 |
日 時 |
..4月20日木曜日 |
| お名前 |
.若林さん |
| コメント |
.チヌ47p |
|
| |
|
 |
日 時 |
..4月20日木曜日 |
| お名前 |
.ゴトーさん |
| コメント |
. |
|

こんちゃん 55p |
|
 |
日 時 |
.4月19日水曜日 |
| お名前 |
.こんちゃん |
| コメント |
.チヌ55p
牡蠣チヌ
☆大チヌ撃沈! もう一人の方も大きいのばらしました。 |
|
| |
|
 |
日 時 |
.4月19日水曜日 |
| お名前 |
.舩橋さん |
| コメント |
.牡蠣チヌ |
|
| |
|
 |
日 時 |
.4月19日水曜日 |
| お名前 |
.ゴトーさん |
| コメント |
.チヌ52p
牡蠣チヌ |
|

高木さん 53p |
|
 |
日 時 |
.4月18日火曜日 |
| お名前 |
.高木さん |
| コメント |
.チヌ53p 45.5p
牡蠣チヌ
☆大チヌ撃沈! |
|

小島さん 57p |
|
 |
日 時 |
.4月17日月曜日 |
| お名前 |
.小島さん |
| コメント |
.チヌ57p
牡蠣チヌ
☆大チヌ撃沈! |
|
| |
|
 |
日 時 |
.4月17日月曜日 |
| お名前 |
.岡崎さん |
| コメント |
.ストリンガーから1枚逃げました みなさん釣ったら
スカりに入れましょう |
|
| |
|
 |
日 時 |
.4月16日日曜日 |
| お名前 |
. |
| コメント |
. |
|

後藤さん 55.3p 50.3p |
|
 |
日 時 |
.4月15日土曜日 |
| お名前 |
.後藤さん |
| コメント |
.チヌ55.3p 50.3p
牡蠣チヌ
☆大チヌ撃沈! ダブル年無し |
|
| |
|
 |
日 時 |
..4月15日土曜日
|
| お名前 |
.黒田さん |
| コメント |
.橋の奥 頑張ってくれました |
|

水野さん 55.5p |
|
 |
日 時 |
.4月14日金曜日 |
| お名前 |
.水野さん |
| コメント |
.チヌ55.5p
牡蠣チヌ
☆大チヌ撃沈! |
|
| |
|
 |
日 時 |
.4月14日金曜日 |
| お名前 |
.佐分利さん |
| コメント |
. |
|
| |
|
 |
日 時 |
.4月13日木曜日 |
| お名前 |
.多頓会 若林さん |
| コメント |
.チヌ49.5p |
|
| |
|
 |
日 時 |
.4月11日火曜日 |
| お名前 |
.川合さん |
| コメント |
.橋の奥 大荒れの中頑張ってくれました |
|
| |
|
 |
日 時 |
.4月9日日曜日 |
| お名前 |
.塚本さん |
| コメント |
.チヌ46p |
|
| |
|
 |
日 時 |
.4月8日土曜日 |
| お名前 |
.横幕さん |
| コメント |
.チヌ48p 大チヌバラシも |
|
| |
|
 |
日 時 |
.4月8日土曜日
|
| お名前 |
.村木さん |
| コメント |
.橋の奥 |
|
| |
|
 |
日 時 |
.4月5日水曜日 |
| お名前 |
.若林さん |
| コメント |
.チヌ43p |
|
| |
|


 |
日 時 |
.3月31日金曜日 |
| お名前 |
. |
| コメント |
帰ってからメジャーで計ったら
42 49 52.5でした
昼まで |
|
| |
|
 |
日 時 |
..3月25日土曜日 |
| お名前 |
.横幕さん |
| コメント |
.チヌ42p |
|
| |
|
 |
日 時 |
..3月25日土曜日 |
| お名前 |
.村木さん |
| コメント |
.チヌ45.5p |
|
| |
|
 |
日 時 |
.3月25日土曜日 |
| お名前 |
.後藤さん |
| コメント |
大きいのばらしました |
|
| |
|
 |
日 時 |
.3月17日金曜日 |
| お名前 |
.高木さん |
| コメント |
. |
|
| |
|
 |
日 時 |
.3月9日木曜日 |
| お名前 |
.舩橋さん |
| コメント |
. |
|
| |
|
 |
日 時 |
3月5日日曜日 |
| お名前 |
.真鍋さん |
| コメント |
.チヌ44p |
|
| |
|
 |
日 時 |
.3月4日土曜日 |
| お名前 |
.伊藤さん |
| コメント |
. |
|
| |
|
 |
日 時 |
.3月1日水曜日 |
| お名前 |
.舩橋さん |
| コメント |
. |
|
| |
|
 |
日 時 |
.3月1日水曜日 |
| お名前 |
.若林さん |
| コメント |
. |
|
| |
|
 |
日 時 |
.2月28日火曜日 |
| お名前 |
.舩橋さん |
| コメント |
. |
|
| |
|
 |
日 時 |
.2月4日土曜日 |
| お名前 |
. |
| コメント |
.釣れてきたので。急きょ風よけを作りました
釣りに来てね |
|
| |
|
 |
日 時 |
.2月3日金曜日 |
| お名前 |
.佐分利さん |
| コメント |
.一日大風でした
チヌ46p |
|
| |
|
 |
日 時 |
.2月2日木曜日 |
| お名前 |
.後藤さん |
| コメント |
.チヌ52p |
|
| |
|
 |
日 時 |
.1月31日火曜日 |
| お名前 |
.後藤さん |
| コメント |
.チヌ55.5p |
|
| |
|
 |
日 時 |
.1月26日木曜日 |
| お名前 |
.西村さん |
| コメント |
.楽しかった |
|
| |
|

 |
日 時 |
.1月7日 |
| お名前 |
. |
| コメント |
今日は若林さんに頑張ってもらいました
1枚で終わりました |
|
| |
|
 |
日 時 |
.12月21日水曜日 |
| お名前 |
.長谷川さん |
| コメント |
.牡蠣チヌ |
|
| |
|
 |
日 時 |
.12月18日日曜日 |
| お名前 |
.若林さん |
| コメント |
.牡蠣チヌ |
|
| |
|
 |
日 時 |
.12月18日日曜日 |
| お名前 |
.塚本さん |
| コメント |
.牡蠣チヌ |
|

後藤さん 53.5p |
|
 |
日 時 |
.12月17日土曜日 |
| お名前 |
.後藤さん |
| コメント |
.チヌ53.5p
牡蠣チヌ
☆年無し |
|
| |
|
 |
日 時 |
.12月17日土曜日 |
| お名前 |
.藤原さん、石田さん |
| コメント |
.チヌ45p
牡蠣チヌ |
|
| |
|
 |
日 時 |
.12月17日土曜日 |
| お名前 |
.市川さん |
| コメント |
.牡蠣チヌ |
|
| |
|
 |
日 時 |
.12月13日火曜日 |
| お名前 |
.ゴトーさんの友達 |
| コメント |
.牡蠣チヌ |
|
| |
|
 |
日 時 |
.12月9日金曜日 |
| お名前 |
.川合さん |
| コメント |
.牡蠣チヌ もう一人の人も釣ってました |
|
| |
|
 |
日 時 |
.12月4日日曜日 |
| お名前 |
.塚本さん |
| コメント |
.カワハギ36p
牡蠣チヌ |
|
| |
|
 |
日 時 |
.12月4日日曜日 |
| お名前 |
.匠弥君 |
| コメント |
.サビキ |
|
| |
|
 |
日 時 |
.12月3日土曜日 |
| お名前 |
.後藤さん |
| コメント |
牡蠣チヌ |
|
| |
|
 |
日 時 |
.11月29日火曜日 |
| お名前 |
.西村さん |
| コメント |
.チヌ50p
牡蠣チヌ |
|
| |
|
 |
日 時 |
.11月27日日曜日 |
| お名前 |
.真鍋さん |
| コメント |
.チヌ46p
牡蠣チヌ |
|
| |
|
 |
日 時 |
.11月25日金曜日 |
| お名前 |
.梶浦さん |
| コメント |
.牡蠣チヌ |
|
| |
|
 |
日 時 |
.11月24日木曜日 |
| お名前 |
.浅野さん |
| コメント |
.牡蠣チヌ |
|
| |
|
 |
日 時 |
..11月24日木曜日 |
| お名前 |
.粟田さん |
| コメント |
.牡蠣チヌ |
|
| |
|
 |
日 時 |
.11月23日水曜日 |
| お名前 |
. |
| コメント |
.チヌ51p よく引きました |
|
| |
|
 |
日 時 |
.11月22日火曜日 |
| お名前 |
.永田さん |
| コメント |
.チヌ46p
牡蠣チヌ 最終時間が変更になりました |
|
| |
|
 |
日 時 |
.11月22日火曜日 |
| お名前 |
.後藤さん |
| コメント |
.牡蠣チヌ |
|
| |
|
 |
日 時 |
.11月18日金曜日 |
| お名前 |
.若林さん |
| コメント |
牡蠣チヌ |
|
| |
|
 |
日 時 |
.11月12日土曜日 |
| お名前 |
.塚本さん |
| コメント |
.牡蠣チヌ |
|
| |
|
 |
日 時 |
.11月12日土曜日 |
| お名前 |
.石田さん、藤原さん |
| コメント |
.牡蠣チヌ |
|
| |
|
 |
日 時 |
.11月8日火曜日 |
| お名前 |
.こんちゃん |
| コメント |
.チヌ45.5p
牡蠣チヌ 6回くらいばらし |
|
| |
|
 |
日 時 |
..11月8日火曜日 |
| お名前 |
.舩橋さん |
| コメント |
.牡蠣チヌ 3回くらいばらし |
|
| |
|
 |
日 時 |
..11月8日火曜日 |
| お名前 |
.高木さん |
| コメント |
.牡蠣チヌ |
|
| |
|
 |
日 時 |
..11月8日火曜日 |
| お名前 |
.佐藤さん |
| コメント |
.団子 |
|
| |
|
 |
日 時 |
.11月5日土曜日 |
| お名前 |
.深草さん |
| コメント |
.団子 |
|

若林さん 53p |
|
 |
日 時 |
.11月4日金曜日 |
| お名前 |
.若林さん |
| コメント |
.チヌ53p
牡蠣チヌ
☆大チヌ撃沈! |
|
| |
|
 |
日 時 |
.11月2日水曜日 |
| お名前 |
.鈴木さん |
| コメント |
.アクアリザスター
小川さんこの間のやり方で、イナダが釣れますよ |
|
| |
|
 |
日 時 |
.11月2日水曜日 |
| お名前 |
.後藤さん一家 |
| コメント |
.鯵釣り |
|
| |
|
 |
日 時 |
.11月1日火曜日 |
| お名前 |
.岡崎さん |
| コメント |
.アクアリザスター |
|
| |
|
 |
日 時 |
.10月31日月曜日 |
| お名前 |
.小川さん |
| コメント |
.団子 |
|

真鍋さん 51p 51p |
|
 |
日 時 |
.10月30日日曜日 |
| お名前 |
.真鍋さん |
| コメント |
.チヌ51p 51p 牡蠣チヌ
アクアリザスター
☆大チヌ撃沈! |
|
| |
|
 |
日 時 |
.10月30日日曜日 |
| お名前 |
. |
| コメント |
.団子 |
|
| |
|
 |
日 時 |
.10月29日土曜日 |
| お名前 |
. |
| コメント |
.アクアリザスター |
|
| |
|
 |
日 時 |
.10月29日土曜日 |
| お名前 |
.ごとうさん |
| コメント |
. |
|
| |
|
 |
日 時 |
.10月28日金曜日 |
| お名前 |
. |
| コメント |
.アクアリザスター |
|
| |
|
 |
日 時 |
.10月27日木曜日 |
| お名前 |
. |
| コメント |
.アクアリザスター |
|
| |
|
 |
日 時 |
.10月24日月曜日 |
| お名前 |
.小島さん |
| コメント |
.イガイ |
|
| |
|
 |
日 時 |
.10月24日月曜日 |
| お名前 |
. |
| コメント |
.イガイ |
|
| |
|
 |
日 時 |
.10月23日日曜日 |
| お名前 |
.大久保さん |
| コメント |
.団子 |
|
| |
|
 |
日 時 |
.10月23日日曜日 |
| お名前 |
.真鍋さん |
| コメント |
.イガイ アクアリザスター |
|
| |
|
 |
日 時 |
.10月23日日曜日 |
| お名前 |
.愛知県の人 |
| コメント |
.牡蠣チヌ |
|
| |
|
 |
日 時 |
.10月22日土曜日 |
| お名前 |
. |
| コメント |
. |
|
| |
|
 |
日 時 |
..10月22日土曜日 |
| お名前 |
.村木さん |
| コメント |
.アクアリザスター |
|
| |
|
 |
日 時 |
..10月22日土曜日 |
| お名前 |
.鈴木さん |
| コメント |
.イガイ |
|
| |
|
 |
日 時 |
.10月21日金曜日 |
| お名前 |
.小川さん |
| コメント |
.真鯛50.5p
団子 |
|
| |
|
 |
日 時 |
.10月21日金曜日 |
| お名前 |
. |
| コメント |
.アクアリザスター |
|
| |
|
 |
日 時 |
.10月20日木曜日 |
| お名前 |
.小川さん |
| コメント |
.真鯛59.5p
団子 |
|
| |
|
 |
日 時 |
.10月20日木曜日 |
| お名前 |
.奥田さん |
| コメント |
.イガイ |
|
| |
|
 |
日 時 |
.10月14日金曜日 |
| お名前 |
.匠弥 |
| コメント |
.今日は6歳の誕生日 |
|
| |
|
 |
日 時 |
.10月13日木曜日 |
| お名前 |
.後藤さん |
| コメント |
.真鯛はイガイ イナダはアクアリザスター |
|
| |
|
 |
日 時 |
.10月13日木曜日 |
| お名前 |
.若林さん |
| コメント |
.イガイ |
|
| |
|
 |
日 時 |
.10月11日火曜日 |
| お名前 |
.岡崎さん |
| コメント |
.チヌ49.5p アクアリザスター |
|
| |
|
 |
日 時 |
.10月10日月曜日 |
| お名前 |
.真鍋さん |
| コメント |
.チヌ1枚 アクアリザスター |
|
| |
|
 |
日 時 |
.10月9日日曜日 |
| お名前 |
. |
| コメント |
.アクアリザスター 10分くらい |
|

佐々木さん 50p |
|
 |
日 時 |
.10月8日土曜日 |
| お名前 |
.佐々木さん |
| コメント |
.チヌ50p
イガイ
☆大チヌ撃沈! |
|
| |
|
 |
日 時 |
..10月8日土曜日 |
| お名前 |
.鈴木主水 |
| コメント |
.イガイ |
|
| |
|
 |
日 時 |
..10月8日土曜日 |
| お名前 |
.鈴木さん |
| コメント |
.アクアリザスター |
|
| |
|
 |
日 時 |
.10月7日金曜日 |
| お名前 |
.奥田さん |
| コメント |
.イガイ |
|
| |
|
 |
日 時 |
.10月7日金曜日 |
| お名前 |
.奥田さん |
| コメント |
.アクアリザスター |
|
| |
|
 |
日 時 |
.10月7日金曜日 |
| お名前 |
.後藤さん |
| コメント |
.アクアリザスター |
|

アクアリザスター |
|
 |
日 時 |
.10月6日木曜日 |
| お名前 |
. |
| コメント |
. |
|

アクアリザスター |
|
 |
日 時 |
.10月5日水曜日 |
| お名前 |
. |
| コメント |
. |
|

真鍋さん 50.1p |
|
 |
日 時 |
.10月2日日曜日 |
| お名前 |
.真鍋さん |
| コメント |
.チヌ50.1p
イガイ
☆大チヌ撃沈! 団子の人も釣果ありました |
|
| |
|
 |
日 時 |
.10月2日日曜日 |
| お名前 |
.鈴木さん |
| コメント |
.イガイ |
|
| |
|
 |
日 時 |
.10月2日日曜日 |
| お名前 |
.酒井さん |
| コメント |
.イガイ |
|
| |
|
 |
日 時 |
.10月1日土曜日 |
| お名前 |
.児山さん |
| コメント |
.イガイ |
|
| |
|
 |
日 時 |
.10月1日土曜日 |
| お名前 |
.塚本さん |
| コメント |
.イガイ |
|
| |
|
 |
日 時 |
.9月28日水曜日 |
| お名前 |
.小島さん |
| コメント |
.団子 |
|
| |
|
 |
日 時 |
.9月28日水曜日 |
| お名前 |
.中村さん |
| コメント |
.団子 |
|
| |
|
 |
日 時 |
. |
| お名前 |
. |
| コメント |
. |
|
| |
|
 |
日 時 |
. |
| お名前 |
. |
| コメント |
. |
|
| |
|
 |
日 時 |
. |
| お名前 |
. |
| コメント |
. |
|
| |
|
 |
日 時 |
. |
| お名前 |
. |
| コメント |
. |
|
| |
|
 |
日 時 |
. |
| お名前 |
. |
| コメント |
. |
|

岡崎さん 54p |
|
 |
日 時 |
.9月6日火曜日 |
| お名前 |
.岡崎さん |
| コメント |
.チヌ54p
イガイ
☆大チヌ撃沈! |
|
| |
|
 |
日 時 |
.9月6日火曜日 |
| お名前 |
.じーちゃん |
| コメント |
.団子 |
|
| |
|
 |
日 時 |
.9月6日火曜日 |
| お名前 |
.けんいち君 |
| コメント |
.イガイ |
|
| |
|
 |
日 時 |
.9月4日日曜日 |
| お名前 |
.塚本さん |
| コメント |
.イガイ |
|
| |
|
 |
日 時 |
.9月3日土曜日 |
| お名前 |
.北岡さん |
| コメント |
.チヌ48p
イガイ 今日もバラシ多かった |
|

舩橋さん 51.2p |
|
 |
日 時 |
.9月2日金曜日 |
| お名前 |
.舩橋さん |
| コメント |
.チヌ51.2p
イガイ
☆大チヌ撃沈! 今度来たときにステッカー渡します |
|

村木さん 50.5p |
|
 |
日 時 |
.8月27日土曜日 |
| お名前 |
.村木さん |
| コメント |
.チヌ50.5p
イガイ
☆大チヌ撃沈! |
|

城間さん 65.5p |
|
 |
日 時 |
.8月24日水曜日 |
| お名前 |
.城間さん |
| コメント |
.大真鯛65.5p
イガイ
☆大真鯛撃沈! |
|
| |
|
 |
日 時 |
.8月24日水曜日 |
| お名前 |
.中村さん |
| コメント |
.イガイ |
|

岡崎さん 73p |
|
 |
日 時 |
.8月23日火曜日 |
| お名前 |
.岡崎さん |
| コメント |
.大真鯛73p
イガイ
☆大真鯛撃沈! 全員釣果! |
|

しゅーちゃん 56.5p |
|
 |
日 時 |
..8月23日火曜日 |
| お名前 |
.しゅーちゃん |
| コメント |
.真鯛56.5p
イガイ |
|
| |
|
 |
日 時 |
..8月23日火曜日 |
| お名前 |
.けんいち君 |
| コメント |
.イガイ |
|
| |
|
 |
日 時 |
..8月23日火曜日 |
| お名前 |
.長谷川さん |
| コメント |
.チヌ48.5p
イガイ |
|
| |
|
 |
日 時 |
.8月22日月曜日 |
| お名前 |
.黒霧軍団 |
| コメント |
.イガイ たくさんバラシ |
|

熊崎 50p |
|
 |
日 時 |
.8月21日日曜日 |
| お名前 |
.熊崎さん |
| コメント |
.チヌ50p 49p
イガイ
☆大チヌ撃沈! |
|
| |
|
 |
日 時 |
..8月21日日曜日 |
| お名前 |
.鈴木さん |
| コメント |
.チヌ47p
イガイ |
|
| |
|
 |
日 時 |
.8月20日土曜日 |
| お名前 |
.北岡さん |
| コメント |
.チヌ45p
イガイ |
|
| |
|
 |
日 時 |
.8月16日火曜日 |
| お名前 |
.けんいちくん |
| コメント |
.チヌ47p
イガイ 大真鯛バラシ |
|
| |
|
 |
日 時 |
.8月15日月曜日 |
| お名前 |
.伊藤さん |
| コメント |
.大真鯛66p
イガイ |
|

酒井さん 51p |
|
 |
日 時 |
..8月15日月曜日 |
| お名前 |
.酒井さん |
| コメント |
.チヌ51p
イガイ
☆大チヌ撃沈! |
|
| |
|
 |
日 時 |
..8月15日月曜日 |
| お名前 |
.柴田さん |
| コメント |
.チヌ48.5p
イガイ |
|
| |
|
 |
日 時 |
.8月13日土曜日 |
| お名前 |
.大久保さん |
| コメント |
.イガイ 大真鯛バラシか? |
|
| |
|
 |
日 時 |
.8月10日水曜日 |
| お名前 |
.馬場やん |
| コメント |
.イガイ |
|
| |
|
 |
日 時 |
.8月8日月曜日 |
| お名前 |
.岡崎さん |
| コメント |
.イガイ またまた今日も釣れました
2線でも大真鯛ばらした |
|

鈴木さん 73.5p |
|
 |
日 時 |
.8月7日日曜日 |
| お名前 |
.鈴木主水 |
| コメント |
.大真鯛73.5p
イガイ
☆大真鯛撃沈! 今日も伊藤カセで大真鯛釣れた! |
|
| |
|
 |
日 時 |
.8月7日日曜日 |
| お名前 |
.真鍋さん |
| コメント |
.イガイ |
|
| |
|
 |
日 時 |
.8月6日土曜日 |
| お名前 |
. |
| コメント |
.大真鯛と大チヌバラシありました |
|

小島さん 82p |
|
 |
日 時 |
.8月3日水曜日 |
| お名前 |
.小島さん |
| コメント |
.大真鯛82p
イガイ
☆大真鯛撃沈! |
|

大久保さん 52p |
|
 |
日 時 |
.8月3日水曜日 |
| お名前 |
.大久保さん |
| コメント |
.チヌ52p
イガイ
☆大チヌ撃沈! |
|
| |
|
 |
日 時 |
.8月2日火曜日 |
| お名前 |
.西浦さん |
| コメント |
.イガイ |
|
| |
|
 |
日 時 |
.7月31日日曜日 |
| お名前 |
.塚本さん |
| コメント |
.イガイ |
|
| |
|
 |
日 時 |
.7月30日土曜日 |
| お名前 |
.柴田さん |
| コメント |
.チヌ47p
イガイ |
|
| |
|
 |
日 時 |
.7月28日木曜日 |
| お名前 |
.岡田さん |
| コメント |
.団子 |
|
| |
|
 |
日 時 |
.7月17日日曜日 |
| お名前 |
.鈴木さん |
| コメント |
.イガイ |
|
| |
|
 |
日 時 |
.7月16日土曜日 |
| お名前 |
.伊藤さん |
| コメント |
.イガイ |
|
| |
|
 |
日 時 |
.7月4日月曜日 |
| お名前 |
.小島さん |
| コメント |
.イガイ |
|

大久保さん 51p |
|
 |
日 時 |
.7月3日日曜日 |
| お名前 |
.大久保さん |
| コメント |
.チヌ51p
イガイ
☆大チヌ撃沈! |
|
| |
|
 |
日 時 |
.6月18日土曜日 |
| お名前 |
.浅川さん |
| コメント |
.真鯛52p
ようやく始動しました |
|

児山さん 51p |
|
 |
日 時 |
.4月30日土曜日 |
| お名前 |
.児山さん |
| コメント |
.チヌ51p
☆大チヌ撃沈! |
|

前川さん 50.5p |
|
 |
日 時 |
.4月30日土曜日 |
| お名前 |
.前川さん |
| コメント |
.チヌ50.5p
☆大チヌ撃沈! |
|
| |
|
 |
日 時 |
.4月30日土曜日 |
| お名前 |
.柴田さん |
| コメント |
. |
|
| |
|
 |
日 時 |
.4月30日土曜日 |
| お名前 |
.鬼頭さん |
| コメント |
. |
|
| |
|
 |
日 時 |
.4月27日水曜日 |
| お名前 |
.ゴトーさん |
| コメント |
. |
|
| |
|
 |
日 時 |
.4月26日火曜日 |
| お名前 |
.なんちゃん |
| コメント |
. |
|
| |
|
 |
日 時 |
..4月26日火曜日 |
| お名前 |
.岡崎さん |
| コメント |
.チヌ47p |
|
| |
|
 |
日 時 |
..4月26日火曜日 |
| お名前 |
.松波さん |
| コメント |
. |
|
| |
|
 |
日 時 |
.4月23日土曜日 |
| お名前 |
.村木さん |
| コメント |
. |
|
| |
|
 |
日 時 |
.4月23日土曜日 |
| お名前 |
.柴田さん |
| コメント |
. |
|
| |
|
 |
日 時 |
.4月23日土曜日 |
| お名前 |
.横幕さんと長谷川さん |
| コメント |
. |
|

若林さん 54p |
|
 |
日 時 |
.4月20日水曜日 |
| お名前 |
.若林さん |
| コメント |
.チヌ54p
☆大チヌ撃沈! |
|
| |
|
 |
日 時 |
.4月20日水曜日 |
| お名前 |
.北岡さん |
| コメント |
. |
|
| |
|
 |
日 時 |
.4月20日水曜日 |
| お名前 |
.松波さん |
| コメント |
. |
|
| |
|
 |
日 時 |
.4月20日水曜日 |
| お名前 |
.中村さん |
| コメント |
. |
|
| |
|
 |
日 時 |
.4月19日火曜日 |
| お名前 |
.舩橋さん |
| コメント |
. |
|

奥田さん 53p |
|
 |
日 時 |
.4月18日月曜日 |
| お名前 |
.奥田さん |
| コメント |
.チヌ53p
☆大チヌ撃沈! |
|
| |
|
 |
日 時 |
.4月18日月曜日 |
| お名前 |
.佐野さん |
| コメント |
. |
|
| |
|
 |
日 時 |
.4月18日月曜日 |
| お名前 |
.馬場さん |
| コメント |
. |
|
| |
|
 |
日 時 |
.4月18日月曜日 |
| お名前 |
.岡崎さん |
| コメント |
. |
|
| |
|
 |
日 時 |
.4月18日月曜日 |
| お名前 |
.小島さん |
| コメント |
. |
|
| |
|
 |
日 時 |
.4月17日日曜日 |
| お名前 |
.真鍋さん |
| コメント |
. |
|
| |
|
 |
日 時 |
.4月17日日曜日 |
| お名前 |
.藤原さん |
| コメント |
. |
|

土屋さん 52.5p |
|
 |
日 時 |
.4月16日土曜日 |
| お名前 |
.土屋さん |
| コメント |
.チヌ52.5p
☆大チヌ撃沈! |
|

晝河さん 50p |
|
 |
日 時 |
..4月16日土曜日 |
| お名前 |
.晝河さん |
| コメント |
.チヌ50p 49.5p
☆大チヌ撃沈! |
|
| |
|
 |
日 時 |
..4月16日土曜日 |
| お名前 |
.佐分利さん |
| コメント |
. |
|
| |
|
 |
日 時 |
..4月16日土曜日 |
| お名前 |
.伊藤さん |
| コメント |
. |
|
| |
|
 |
日 時 |
..4月16日土曜日 |
| お名前 |
.塚本さん |
| コメント |
. |
|

後藤さん 54p 53p |
|
 |
日 時 |
.4月14日木曜日 |
| お名前 |
.後藤さん |
| コメント |
.チヌ54p 53p
☆大チヌ撃沈! |
|
| |
|
 |
日 時 |
.4月14日木曜日 |
| お名前 |
.西村さん |
| コメント |
.チヌ53p 52p
☆大チヌ撃沈! |
|
| |
|
 |
日 時 |
.4月13日水曜日 |
| お名前 |
.小島さん |
| コメント |
. |
|
| |
|
 |
日 時 |
.4月13日水曜日 |
| お名前 |
.中村さん |
| コメント |
. |
|

若林さん 53p |
|
 |
日 時 |
.4月12日火曜日 |
| お名前 |
.若林さん |
| コメント |
.チヌ53p
☆大チヌ撃沈! |
|
| |
|
 |
日 時 |
.4月12日火曜日 |
| お名前 |
.岡崎さん |
| コメント |
. |
|
| |
|
 |
日 時 |
.4月12日火曜日 |
| お名前 |
.勢志さん |
| コメント |
. |
|

藤原さん 50.5p |
|
 |
日 時 |
.4月10日日曜日 |
| お名前 |
.藤原さん |
| コメント |
.チヌ50.5p
☆大チヌ撃沈! |
|
| |
|
 |
日 時 |
..4月10日日曜日 |
| お名前 |
.真鍋さん |
| コメント |
. |
|
| |
|
 |
日 時 |
..4月10日日曜日 |
| お名前 |
.中村さん |
| コメント |
. |
|
| |
|
 |
日 時 |
..4月10日日曜日 |
| お名前 |
.北岡さん |
| コメント |
. |
|

伊藤さん 50.5p |
|
 |
日 時 |
.4月9日土曜日 |
| お名前 |
.伊藤さん |
| コメント |
.チヌ50.5p
☆大チヌ撃沈! |
|
| |
|
 |
日 時 |
.4月9日土曜日 |
| お名前 |
.村木さん |
| コメント |
. |
|
| |
|
 |
日 時 |
.4月9日土曜日 |
| お名前 |
.横幕さん |
| コメント |
. |
|
| |
|
 |
日 時 |
.4月9日土曜日 |
| お名前 |
.長谷川さん |
| コメント |
. |
|
| |
|
 |
日 時 |
.4月9日土曜日 |
| お名前 |
.塚本さん |
| コメント |
. |
|

城間さん 55p 53p |
|
 |
日 時 |
.4月8日金曜日 |
| お名前 |
.城間さん |
| コメント |
.チヌ55p 53p
☆大チヌ撃沈! |
|
| |
|
 |
日 時 |
.4月8日金曜日 |
| お名前 |
.水谷さん |
| コメント |
. |
|
| |
|
 |
日 時 |
.4月8日金曜日 |
| お名前 |
.柘植さん |
| コメント |
.チヌ49.3p |
|

松岡さん 50.5p |
|
 |
日 時 |
.4月7日木曜日 |
| お名前 |
.松岡さん 川合さん |
| コメント |
.チヌ50.5p 48.5p
☆大チヌ撃沈! |
|
| |
|
 |
日 時 |
.4月6日水曜日 |
| お名前 |
.若林さん |
| コメント |
. |
|
| |
|
 |
日 時 |
.4月6日水曜日 |
| お名前 |
.鈴木さん |
| コメント |
. |
|
| |
|
 |
日 時 |
.4月6日水曜日 |
| お名前 |
.北岡さん |
| コメント |
. |
|
| |
|
 |
日 時 |
.4月5日火曜日 |
| お名前 |
.ゴトーさん |
| コメント |
. |
|

前川さん 52p |
|
 |
日 時 |
.4月3日日曜日 |
| お名前 |
.前川さん |
| コメント |
.チヌ52p
☆大チヌ撃沈! |
|
| |
|
 |
日 時 |
.4月3日日曜日 |
| お名前 |
.真鍋さん |
| コメント |
. |
|
| |
|
 |
日 時 |
.4月3日日曜日 |
| お名前 |
.晝河さん |
| コメント |
.チヌ48p |
|
| |
|
 |
日 時 |
.4月3日日曜日 |
| お名前 |
.石田さん |
| コメント |
. |
|
| |
|
 |
日 時 |
.4月3日日曜日 |
| お名前 |
.佐分利さん |
| コメント |
. |
|
| |
|
 |
日 時 |
.4月2日土曜日 |
| お名前 |
.伊藤さん |
| コメント |
. |
|
| |
|
 |
日 時 |
.4月2日土曜日 |
| お名前 |
.晝河さん |
| コメント |
. |
|
| |
|
 |
日 時 |
.4月2日土曜日 |
| お名前 |
.伊藤さん |
| コメント |
. |
|

黒谷さん 51.5p |
|
 |
日 時 |
.3月31日木曜日 |
| お名前 |
.黒谷さん |
| コメント |
.チヌ51.5p
☆大チヌ撃沈! |
|
| |
|
 |
日 時 |
.3月30日水曜日 |
| お名前 |
.かずま君 |
| コメント |
. |
|

石川さん 53.5p |
|
 |
日 時 |
.3月29日火曜日 |
| お名前 |
.石川さん 岡崎さん |
| コメント |
.チヌ53.5p
☆大チヌ撃沈! |
|
| |
|
 |
日 時 |
.3月28日月曜日 |
| お名前 |
. |
| コメント |
.チヌ45p |
|
| |
|
 |
日 時 |
.3月27日日曜日 |
| お名前 |
.晝河さん |
| コメント |
. |
|
| |
|
 |
日 時 |
.3月27日日曜日 |
| お名前 |
.稲垣さん |
| コメント |
. |
|
| |
|
 |
日 時 |
.3月26日土曜日 |
| お名前 |
.真鍋さん |
| コメント |
. |
|

横幕さん 51.5p 50.5p |
|
 |
日 時 |
.3月26日土曜日 |
| お名前 |
.横幕さん |
| コメント |
.チヌ51.5p 50.5p
☆大チヌ撃沈! |
|
| |
|
 |
日 時 |
.3月26日土曜日 |
| お名前 |
.伊藤さん |
| コメント |
. |
|
| |
|
 |
日 時 |
.3月26日土曜日
|
| お名前 |
.丸田さん |
| コメント |
. |
|
| |
|
 |
日 時 |
.3月25日金曜日 |
| お名前 |
.柘植さん |
| コメント |
. |
|
| |
|
 |
日 時 |
.3月25日金曜日 |
| お名前 |
.野村さん |
| コメント |
. |
|
| |
|
 |
日 時 |
.3月23日水曜日 |
| お名前 |
.黒谷さん |
| コメント |
.チヌ47.5p |
|
| |
|
 |
日 時 |
.3月22日火曜日 |
| お名前 |
.黒霧軍団 |
| コメント |
.チヌ49.5p |
|
| |
|
 |
日 時 |
.3月22日火曜日 |
| お名前 |
.岡崎さん |
| コメント |
. |
|
| |
|
 |
日 時 |
.3月17日木曜日 |
| お名前 |
.黒谷さん |
| コメント |
. |
|
| |
|
 |
日 時 |
.3月12日土曜日 |
| お名前 |
.尾張黒鯛クラブ 石原さん |
| コメント |
. |
|
| |
|
 |
日 時 |
.2月28日日曜日 |
| お名前 |
.伊藤さん |
| コメント |
チヌ48.5p 48.5p |
|
| |
|
 |
日 時 |
.1月11日月曜日 |
| お名前 |
.野村さん |
| コメント |
. |
|

伊藤さん 52.5p |
|
 |
日 時 |
.1月10日日曜日 |
| お名前 |
.伊藤さん |
| コメント |
.チヌ52.5p
☆大チヌ撃沈! |
|
| |
|
 |
日 時 |
.1月9日土曜日 |
| お名前 |
.横幕さん |
| コメント |
.番外 |
|
| |
|
 |
日 時 |
.1月9日土曜日 |
| お名前 |
.村木さん |
| コメント |
.番外 |
|

馬場さん 50p |
|
 |
日 時 |
.1月7日木曜日 |
| お名前 |
.馬場さん |
| コメント |
.チヌ50p
☆大チヌ撃沈! |
|
| |
|
 |
日 時 |
.1月7日木曜日 |
| お名前 |
. |
| コメント |
.番外 |
|
| |
|

 |
日 時 |
.1月5日火曜日 |
| お名前 |
. |
| コメント |
.番外 |
|
| |
|
 |
日 時 |
.1月5日火曜日 |
| お名前 |
.高岡さん |
| コメント |
. |
|
| |
|
 |
日 時 |
.1月4日月曜日 |
| お名前 |
. |
| コメント |
.番外 |
|
| |
|
 |
日 時 |
.1月3日日曜日 |
| お名前 |
. |
| コメント |
.番外 |
|
| 生浦カップ |
|
 |
日 時 |
.12月30日水曜日 |
| お名前 |
.伊藤さん |
| コメント |
.チヌ50.9p 48.5p |
|
| 生浦カップ |
|
 |
日 時 |
.12月30日水曜日 |
| お名前 |
.柴田さん |
| コメント |
.チヌ42.5p |
|
| 生浦カップ |
|
 |
日 時 |
.12月29日火曜日 |
| お名前 |
.柴田さん |
| コメント |
.チヌ47.7p |
|
| 生浦カップ |
|
 |
日 時 |
.12月28日月曜日 |
| お名前 |
.後藤英己さん |
| コメント |
.チヌ50.2p 44.1p |
|
| |
|
 |
日 時 |
.12月28日月曜日 |
| お名前 |
.登さん |
| コメント |
. |
|
| 生浦カップ |
|
 |
日 時 |
.12月27日日曜日 |
| お名前 |
.若林さん |
| コメント |
.チヌ49.5p 41.0p |
|
| 生浦カップ |
|
 |
日 時 |
.12月27日日曜日 |
| お名前 |
.真鍋さん |
| コメント |
.チヌ49.5p 38.3p |
|
| 生浦カップ |
|
 |
日 時 |
.12月26日土曜日 |
| お名前 |
.北岡さん |
| コメント |
.チヌ49.0p 48.8p |
|
| 生浦カップ |
|
 |
日 時 |
.12月26日土曜日 |
| お名前 |
.若林さん |
| コメント |
.チヌ47.1p 44.4p |
|
| 生浦カップ |
|
 |
日 時 |
.12月26日土曜日 |
| お名前 |
.佐分利さん |
| コメント |
.チヌ47.0p 34.0p |
|
| 生浦カップ |
|
 |
日 時 |
.12月26日土曜日 |
| お名前 |
.長谷川さん |
| コメント |
.チヌ39.1p 37.0p |
|
| 生浦カップ |
|
 |
日 時 |
.12月24日木曜日 |
| お名前 |
.塚本さん |
| コメント |
.チヌ45.0p 43.0p |
|
| 生浦カップ |
|
 |
日 時 |
.12月23日水曜日 |
| お名前 |
.真鍋さん |
| コメント |
.チヌ49.2p 49.0p |
|
| 生浦カップ |
|
 |
日 時 |
.12月23日水曜日 |
| お名前 |
.前川さん |
| コメント |
.チヌ52.2p 50.0p |
|
| 生浦カップ |
|
 |
日 時 |
.12月23日水曜日 |
| お名前 |
.後藤英己さん |
| コメント |
.チヌ42.5p 40.0p |
|
| 生浦カップ |
|
 |
日 時 |
.12月22日火曜日 |
| お名前 |
.若林さん |
| コメント |
.チヌ48.3p 44.9p |
|
| |
|
 |
日 時 |
.12月22日火曜日 |
| お名前 |
.粟田さん |
| コメント |
.チヌ50.5p |
|
| 生浦カップ |
|
 |
日 時 |
.12月22日火曜日 |
| お名前 |
.船橋さん |
| コメント |
.チヌ41.4p |
|
| 生浦カップ |
|
 |
日 時 |
.12月22日火曜日 |
| お名前 |
.松波さん |
| コメント |
.カワハギ31p |
|
| 生浦カップ |
|
 |
日 時 |
.12月21日月曜日 |
| お名前 |
.岡崎さん |
| コメント |
.チヌ45.9p 44.2p |
|
| 生浦カップ |
|
 |
日 時 |
..12月21日月曜日 |
| お名前 |
.後藤英己さん |
| コメント |
.チヌ49.5p 43.3p
アイナメ41.4p |
|
| 生浦カップ |
|
 |
日 時 |
..12月21日月曜日 |
| お名前 |
.昼河さん |
| コメント |
.チヌ50.1p 49.5p |
|
| 生浦カップ |
|
 |
日 時 |
.12月20日日曜日 |
| お名前 |
.鈴木さん |
| コメント |
.チヌ42.0p 37.8p |
|
| |
|
 |
日 時 |
..12月20日日曜日 |
| お名前 |
.石田さん |
| コメント |
. |
|
| 生浦カップ |
|
 |
日 時 |
..12月20日日曜日 |
| お名前 |
.昼河さん |
| コメント |
.チヌ41.1p |
|
| 生浦カップ |
|
 |
日 時 |
.12月19日土曜日 |
| お名前 |
.北岡さん |
| コメント |
.チヌ51.1p 49.2p |
|
| |
|
 |
日 時 |
.12月19日土曜日 |
| お名前 |
.酒井さん |
| コメント |
. |
|
| 生浦カップ |
|
 |
日 時 |
.12月19日土曜日 |
| お名前 |
.横幕さん |
| コメント |
.チヌ43.6p 43.5p |
|
| 生浦カップ |
|
 |
日 時 |
.12月19日土曜日 |
| お名前 |
.村木さん |
| コメント |
.チヌ43.5p 35.2p
アイナメ36.2p |
|
| 生浦カップ |
|
 |
日 時 |
.12月18日金曜日 |
| お名前 |
.後藤靖男さん |
| コメント |
.チヌ45.4p |
|
| 生浦カップ |
|
 |
日 時 |
.12月17日木曜日 |
| お名前 |
.勢志さん |
| コメント |
.チヌ50.9p 36.6p |
|
| 生浦カップ |
|
 |
日 時 |
.12月17日木曜日 |
| お名前 |
.若林さん |
| コメント |
.チヌ47.0p 43.6p |
|
| 生浦カップ |
|
 |
日 時 |
.12月16日水曜日 |
| お名前 |
..若林さん |
| コメント |
.チヌ41.7p |
|
| 生浦カップ |
|
 |
日 時 |
.12月15日火曜日 |
| お名前 |
.鈴木さん |
| コメント |
.チヌ53.0p 45.0p |
|
| 生浦カップ |
|
 |
日 時 |
.12月15日火曜日 |
| お名前 |
.後藤英己さん |
| コメント |
.チヌ46.6p 43.2p |
|
| 生浦カップ |
|
 |
日 時 |
.12月14日月曜日 |
| お名前 |
.富田さん |
| コメント |
.チヌ49.8p 45.8p |
|
| 生浦カップ |
|
 |
日 時 |
..12月14日月曜日 |
| お名前 |
.馬場さん |
| コメント |
.チヌ45.1p |
|
| 生浦カップ |
|
 |
日 時 |
..12月14日月曜日 |
| お名前 |
.岡崎さん |
| コメント |
.チヌ49.0p 49.0p |
|
| 生浦カップ |
|
 |
日 時 |
.12月13日日曜日 |
| お名前 |
.塚本さん |
| コメント |
.チヌ50.5p 48.0p |
|
| 生浦カップ |
|
 |
日 時 |
.12月13日日曜日 |
| お名前 |
.伊藤さん |
| コメント |
.チヌ46.0p 43.3p |
|
| 生浦カップ |
|
 |
日 時 |
.12月13日日曜日 |
| お名前 |
.昼河さん |
| コメント |
.チヌ39.7p |
|
| 生浦カップ |
|
 |
日 時 |
.12月12日土曜日 |
| お名前 |
.昼河さん |
| コメント |
.チヌ53.3p 44.6p |
|
| 生浦カップ |
|
 |
日 時 |
..12月12日土曜日 |
| お名前 |
.村木さん |
| コメント |
.チヌ46.0p 45.0p |
|
| 生浦カップ |
|
 |
日 時 |
..12月12日土曜日 |
| お名前 |
.横幕さん |
| コメント |
.チヌ47.8p 46.7p |
|
| 生浦カップ |
|
 |
日 時 |
.12月11日金曜日 |
| お名前 |
.柴田さん |
| コメント |
.チヌ46.0p 44.5p |
|
| 生浦カップ |
|
 |
日 時 |
.12月10日木曜日 |
| お名前 |
.北岡さん |
| コメント |
.チヌ48.1p 46.7p |
|
| 生浦カップ |
|
 |
日 時 |
..12月10日木曜日 |
| お名前 |
.若林さん |
| コメント |
.チヌ 43.3p 37.5p |
|
| 生浦カップ |
|
 |
日 時 |
..12月10日木曜日 |
| お名前 |
.勢志さん |
| コメント |
.チヌ48.7p 47.1p |
|
| 生浦カップ |
|
 |
日 時 |
.12月9日水曜日 |
| お名前 |
.勢志さん |
| コメント |
.チヌ47.0p 45.0p |
|
| 生浦カップ |
|
 |
日 時 |
.12月8日火曜日 |
| お名前 |
.岡崎さん |
| コメント |
.チヌ53.2p 47.3p |
|
| |
|
 |
日 時 |
.12月8日火曜日 |
| お名前 |
.やまもとさん |
| コメント |
. |
|
| 生浦カップ |
|
 |
日 時 |
.12月7日月曜日 |
| お名前 |
.富田さん |
| コメント |
.真鯛57.1p |
|
| 生浦カップ |
|
 |
日 時 |
..12月7日月曜日 |
| お名前 |
.馬場さん |
| コメント |
.チヌ50.0p 48.7p |
|
| 生浦カップ |
|
 |
日 時 |
..12月7日月曜日 |
| お名前 |
.後藤英己さん |
| コメント |
.チヌ47.6p 44.7p |
|
| 生浦カップ |
|
 |
日 時 |
.12月6日日曜日 |
| お名前 |
.真鍋さん |
| コメント |
.チヌ45.6p 44.2p |
|
| |
|
 |
日 時 |
..12月6日日曜日 |
| お名前 |
.藤原さん |
| コメント |
.チヌ45.8p 45.5p |
|
| |
|
 |
日 時 |
..12月6日日曜日 |
| お名前 |
.吉井さん |
| コメント |
.チヌ |
|
| 生浦カップ |
|
 |
日 時 |
..12月6日日曜日 |
| お名前 |
.伊藤さん |
| コメント |
.チヌ43.1p 41.5p |
|
| |
|
 |
日 時 |
.12月5日土曜日 |
| お名前 |
.稲垣さん |
| コメント |
.チヌ45.1p |
|
| 生浦カップ |
|
 |
日 時 |
..12月5日土曜日 |
| お名前 |
.村木さん |
| コメント |
.チヌ45.0p 44.3p |
|
| 生浦カップ |
|
 |
日 時 |
..12月5日土曜日 |
| お名前 |
.横幕さん |
| コメント |
.チヌ47.2p |
|
| 生浦カップ |
|
 |
日 時 |
.12月2日水曜日 |
| お名前 |
.勢志さん |
| コメント |
.チヌ50.0p 48.5p
イガイ |
|
| 生浦カップ |
|
 |
日 時 |
.12月2日水曜日 |
| お名前 |
.昼河さん |
| コメント |
.チヌ43.5p
イガイ |
|
| 生浦カップ |
|
 |
日 時 |
.12月1日火曜日 |
| お名前 |
.ふなばしさん |
| コメント |
.チヌ51.2p
イガイ |
|
| 生浦カップ |
|
 |
日 時 |
.12月1日火曜日 |
| お名前 |
.岡崎さん |
| コメント |
.チヌ44.7p 37.6p
イガイ |
|
| 生浦カップ |
|
 |
日 時 |
.11月30日月曜日 |
| お名前 |
.奥田さん |
| コメント |
.チヌ47.7p 44.1p
イガイ |
|
| 生浦カップ |
|
 |
日 時 |
.11月29日日曜日 |
| お名前 |
.奥田さん |
| コメント |
.チヌ51.4p 50.1p
イガイ |
|
| 生浦カップ |
|
 |
日 時 |
.11月29日日曜日 |
| お名前 |
.鈴木さん |
| コメント |
.チヌ50.4p 44.5p
イガイ |
|
| |
|
 |
日 時 |
.11月29日日曜日 |
| お名前 |
.小島さん |
| コメント |
.イガイ |
|
| 生浦カップ |
|
 |
日 時 |
.11月28日土曜日 |
| お名前 |
.伊藤さん |
| コメント |
.チヌ49.0p 44.8p
イガイ |
|
| 生浦カップ |
|
 |
日 時 |
.11月28日土曜日 |
| お名前 |
.塚本さん |
| コメント |
.チヌ 50.0p 44.1p
イガイ |
|
| 生浦カップ |
|
 |
日 時 |
.11月28日土曜日 |
| お名前 |
.奥田さん |
| コメント |
.チヌ54.3p 44.1p
イガイ |
|
| 生浦カップ |
|
 |
日 時 |
.11月27日金曜日 |
| お名前 |
.奥田さん |
| コメント |
.チヌ44.2p
イガイ |
|
| 生浦カップ |
|
 |
日 時 |
.11月27日金曜日 |
| お名前 |
.若林さん |
| コメント |
.チヌ47.2p 40.4p
イガイ |
|
| 生浦カップ |
|
 |
日 時 |
.11月26日木曜日 |
| お名前 |
.北岡さん |
| コメント |
.チヌ50.3p 46.8p
イガイ |
|
| 生浦カップ |
|
 |
日 時 |
.11月26日木曜日 |
| お名前 |
.奥田さん |
| コメント |
.チヌ49.2p 45.3p
イガイ |
|
| 生浦カップ |
|
 |
日 時 |
.11月25日水曜日 |
| お名前 |
.奥田さん |
| コメント |
.チヌ51.8p 50.7p
イガイ |
|
| 生浦カップ |
|
 |
日 時 |
.11月24日火曜日 |
| お名前 |
.富田さん |
| コメント |
.チヌ41.4p
イガイ |
|
| 生浦カップ |
|
 |
日 時 |
.11月24日火曜日 |
| お名前 |
.南さん |
| コメント |
.チヌ47.1p
イガイ |
|
| 生浦カップ |
|
 |
日 時 |
.11月23日月曜日 |
| お名前 |
.真鍋さん |
| コメント |
.チヌ47.1p 45.1p
イガイ |
|
| 生浦カップ |
|
 |
日 時 |
.11月23日月曜日 |
| お名前 |
.北岡さん |
| コメント |
.チヌ44.6p 44.6p
イガイ |
|
| 生浦カップ |
|
 |
日 時 |
.11月22日日曜日 |
| お名前 |
.後藤さん |
| コメント |
.チヌ46.7p 44.2p
イガイ |
|
| 生浦カップ |
|
 |
日 時 |
.11月21日土曜日 |
| お名前 |
.村木さん |
| コメント |
.チヌ47.0p 43.2p
イガイ |
|
| 生浦カップ |
|
 |
日 時 |
.11月21日土曜日 |
| お名前 |
.横幕さん |
| コメント |
.チヌ44.4p 35.0p
イガイ |
|
| 生浦カップ |
|
 |
日 時 |
.11月21日土曜日 |
| お名前 |
.伊藤さん |
| コメント |
.チヌ39.3p 34.4p
イガイ |
|
| 生浦カップ |
|
 |
日 時 |
.11月20日金曜日 |
| お名前 |
.佐分利さん |
| コメント |
.チヌ47.0p 37.6p
イガイ |
|
| 生浦カップ |
|
 |
日 時 |
.11月20日金曜日 |
| お名前 |
.松波さん |
| コメント |
.47.3p
イガイ |
|
| 生浦カップ |
|
 |
日 時 |
.11月19日木曜日 |
| お名前 |
.奥田さん |
| コメント |
.チヌ44.5p 42.7p
イガイ |
|
| 生浦カップ |
|
 |
日 時 |
.11月18日水曜日 |
| お名前 |
.昼河さん |
| コメント |
.チヌ52.0p 48.2p
イガイ |
|
| 生浦カップ |
|
 |
日 時 |
.11月18日水曜日 |
| お名前 |
.勢志さん |
| コメント |
.チヌ43.8p 41.3p
イガイ |
|
| 生浦カップ |
|
 |
日 時 |
.11月18日水曜日 |
| お名前 |
.後藤さん |
| コメント |
.チヌ47.1p 43.7p
イガイ |
|
| 生浦カップ |
|
 |
日 時 |
.11月18日水曜日 |
| お名前 |
.鈴木さん |
| コメント |
.チヌ44.8p
イガイ |
|
| |
|
 |
日 時 |
.11月18日水曜日 |
| お名前 |
.おざきさん |
| コメント |
.イガイ |
|
| 生浦カップ |
|
 |
日 時 |
.11月17日火曜日 |
| お名前 |
.岡崎さん |
| コメント |
.チヌ51.6p 50p
イガイ |
|
| 生浦カップ |
|
 |
日 時 |
..11月17日火曜日 |
| お名前 |
.鈴木さん |
| コメント |
.チヌ48.7p 46.3p
イガイ |
|
| |
|
 |
日 時 |
..11月17日火曜日 |
| お名前 |
.岡崎じーちゃん |
| コメント |
.チヌ48p
イガイ |
|
| 生浦カップ |
|
 |
日 時 |
..11月17日火曜日 |
| お名前 |
.後藤さん |
| コメント |
.チヌ45.6p 45p
イガイ |
|
| 生浦カップ |
|
 |
日 時 |
..11月17日火曜日 |
| お名前 |
.若林さん |
| コメント |
.チヌ45.6p 45.2p
イガイ |
|

佐野さん 52p |
|
 |
日 時 |
.11月16日月曜日 |
| お名前 |
.佐野さん |
| コメント |
.チヌ52p
イガイ
☆大チヌ撃沈! |
|
| 生浦カップ |
|
 |
日 時 |
.11月16日月曜日 |
| お名前 |
.富田さん |
| コメント |
.チヌ49.4p 48.4p
イガイ |
|
| 生浦カップ |
|
 |
日 時 |
.11月16日月曜日 |
| お名前 |
.馬場さん |
| コメント |
.チヌ47.2p 47.0p
イガイ |
|

藤原さん 54p |
|
 |
日 時 |
.11月15日日曜日 |
| お名前 |
.藤原さん |
| コメント |
.チヌ54p
イガイ
☆大チヌ撃沈! |
|
| 生浦カップ |
|
 |
日 時 |
.11月15日日曜日 |
| お名前 |
.塚本さん |
| コメント |
.チヌ48.7p 47.4p
イガイ |
|
| 生浦カップ |
|
 |
日 時 |
.11月15日日曜日 |
| お名前 |
.村木さん |
| コメント |
.チヌ49.2p 47.4p
イガイ |
|
| |
|
 |
日 時 |
.11月15日日曜日 |
| お名前 |
.吉井さん |
| コメント |
.イガイ |
|
| 生浦カップ |
|
 |
日 時 |
.11月13日金曜日 |
| お名前 |
.勢志さん |
| コメント |
.チヌ44.5p 43.5p
イガイ |
|
| 生浦カップ |
|
 |
日 時 |
.11月13日金曜日 |
| お名前 |
.柴田さん |
| コメント |
.チヌ44.2p
イガイ |
|
| |
|
 |
日 時 |
.11月12日木曜日 |
| お名前 |
.多頓会 若林さん |
| コメント |
.拓寸56p まるまる太ったチヌでした |
|
| 生浦カップ |
|
 |
日 時 |
.11月12日木曜日 |
| お名前 |
.多頓会 若林さん |
| コメント |
.チヌ53p 52.4p
イガイ |
|
| 生浦カップ |
|
 |
日 時 |
.11月12日木曜日 |
| お名前 |
.勢志さん |
| コメント |
.チヌ51.5p
イガイ |
|
| 生浦カップ |
|
 |
日 時 |
.11月12日木曜日 |
| お名前 |
.奥田さん |
| コメント |
.アイナメ |
|
| 生浦カップ |
|
 |
日 時 |
.11月12日木曜日 |
| お名前 |
.奥田さん |
| コメント |
.チヌ46.1p 45.1p
イガイ |
|
| 生浦カップ |
|
 |
日 時 |
.11月12日木曜日 |
| お名前 |
.北岡さん |
| コメント |
.チヌ48.1p 46p
イガイ |
|
| 生浦カップ |
|
 |
日 時 |
.11月12日木曜日 |
| お名前 |
.松波さん |
| コメント |
.チヌ45p
イガイ |
|
| 生浦カップ |
|
 |
日 時 |
.11月11日水曜日 |
| お名前 |
.奥田さん |
| コメント |
.チヌ49.6p 48.6p
イガイ |
|
| |
|
 |
日 時 |
.11月11日水曜日 |
| お名前 |
.西浦さん |
| コメント |
.イガイ |
|
| |
|
 |
日 時 |
.11月11日水曜日 |
| お名前 |
.中村さん |
| コメント |
.イガイ |
|
| |
|
 |
日 時 |
.11月9日月曜日 |
| お名前 |
.石川さん |
| コメント |
.チヌ50.5p
イガイ |
|
| 生浦カップ |
|
 |
日 時 |
.11月9日月曜日 |
| お名前 |
.岡崎さん |
| コメント |
.チヌ47.4p 45.0p
イガイ |
|
| |
|
 |
日 時 |
.11月8日日曜日 |
| お名前 |
.石川さん |
| コメント |
.イガイ |
|
| 生浦カップ |
|
 |
日 時 |
.11月8日日曜日 |
| お名前 |
.真鍋さん |
| コメント |
.チヌ48p
イガイ |
|
| |
|
 |
日 時 |
.11月8日日曜日 |
| お名前 |
.吉井さん |
| コメント |
.イガイ |
|
| 生浦カップ |
|
 |
日 時 |
.11月7日土曜日 |
| お名前 |
.鈴木さん |
| コメント |
.チヌ51.9p 48p 16.6kg
イガイ |
|
| 生浦カップ |
|
 |
日 時 |
..11月7日土曜日 |
| お名前 |
.奥田さん |
| コメント |
.チヌ51p 44.9p
イガイ |
|
| 生浦カップ |
|
 |
日 時 |
..11月7日土曜日 |
| お名前 |
.横幕さん |
| コメント |
.チヌ49.4p 46.8p
イガイ |
|
| 生浦カップ |
|

|
日 時 |
..11月7日土曜日 |
| お名前 |
.後藤さん |
| コメント |
.チヌ48.2p 43.1p
イガイ |
|
| 生浦カップ |
|
 |
日 時 |
..11月7日土曜日 |
| お名前 |
.前川さん |
| コメント |
.チヌ47p 44.6p
イガイ |
|
| 生浦カップ |
|
 |
日 時 |
.11月6日金曜日 |
| お名前 |
.奥田さん |
| コメント |
.チヌ48.4p 48p
イガイ |
|
| 生浦カップ |
|
 |
日 時 |
..11月6日金曜日 |
| お名前 |
.鈴木さん |
| コメント |
.チヌ43.1p 39.8p
イガイ |
|
| 生浦カップ |
|
 |
日 時 |
..11月6日金曜日 |
| お名前 |
.北岡さん |
| コメント |
.チヌ47.3p
イガイ |
|
| 生浦カップ |
|
 |
日 時 |
.11月5日木曜日 |
| お名前 |
.若林さん |
| コメント |
.チヌ48.4p 46.6p
イガイ |
|
| 生浦カップ |
|
 |
日 時 |
.11月5日木曜日 |
| お名前 |
.勢志さん |
| コメント |
.チヌ50.1p 47.1p
イガイ |
|
| 生浦カップ |
|
 |
日 時 |
.11月5日木曜日 |
| お名前 |
.後藤さん |
| コメント |
.49.2p 41.2p
イガイ |
|
| 生浦カップ |
|
 |
日 時 |
.11月4日水曜日 |
| お名前 |
.鈴木さん |
| コメント |
.チヌ52.2p 46.1p
イガイ |
|
| 生浦カップ |
|
 |
日 時 |
.11月4日水曜日 |
| お名前 |
.若林さん |
| コメント |
.チヌ47.2p 47p
イガイ |
|
| 生浦カップ |
|
 |
日 時 |
.11月1日日曜日 |
| お名前 |
.村木さん |
| コメント |
.チヌ47p 47p
イガイ |
|
| 生浦カップ |
|
 |
日 時 |
.11月1日日曜日 |
| お名前 |
.佐分利さん |
| コメント |
.チヌ49p 45p
イガイ |
|
| 生浦カップ |
|
 |
日 時 |
.11月1日日曜日 |
| お名前 |
.水野さん |
| コメント |
.チヌ44p
イガイ |
|
| 生浦カップ |
|
 |
日 時 |
.11月1日日曜日 |
| お名前 |
.後藤さん |
| コメント |
.チヌ44p 44p
イガイ |
|

天敵 53p |
|
 |
日 時 |
.10月30日金曜日 |
| お名前 |
.天敵 |
| コメント |
.チヌ53p
イガイ
☆大チヌ撃沈! |
|